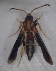
Podosesia aureocincta: taxon details and analytics
- Domain
- Kingdom
- Animalia
- Phylum
- Arthropoda
- Class
- Insecta
- Order
- Lepidoptera
- Family
- Sesiidae
- Genus
- Podosesia
- Species
- Podosesia aureocincta
- Scientific Name
- Podosesia aureocincta
Podosesia aureocincta in languages:
- English
- Banded Ash Borer Moth
- English
- Banded Ash Clearwing Borer
Images from inaturalist.org observations:
We recommend you sign up for this excellent, free service.






