Polididus: taxon details and analytics
- Domain
- Kingdom
- Animalia
- Phylum
- Arthropoda
- Class
- Insecta
- Order
- Hemiptera
- Family
- Reduviidae
- Genus
- Polididus
- Species
- Scientific Name
- Polididus
Summary description from Wikipedia:
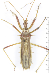
Images from inaturalist.org observations:
We recommend you sign up for this excellent, free service.
Parent Taxon
Sibling Taxa
- Acanthischium
- Acholla
- Agriosphodrus
- Agyrius
- Alcmena spinifex
- Ambastus
- Aprepolestes
- Arilus
- Aristathlus
- Astinus
- Atopozelus
- Atrachelus
- Australcmena
- Austrarcesius
- Austrovelinus
- Bequaertidea
- Biasticus
- Blapton
- Brassivola
- Breddinea
- Callilestes
- Callistodema
- Campsolomus
- Camptibia
- Castolus
- Catasphactes
- Cidoria
- Coilopus
- Coranopsis
- Coranus
- Corcia
- Cosmoclopius
- Cosmolestes
- Cutocoris
- Dalytra
- Debilia
- Diarthrotarsus
- Doldina
- Domnus
- Elongicoris
- Endochiella
- Endochus
- Epidaucus
- Epidaus
- Erbessus
- Euagoras
- Euagoropsis
- Eulyes
- Fitchia
- Flexitibia
- Gattonocoris
- Gminatellus
- Gminatus
- Gorareduvius
- Graptocleptes
- Haematochares
- Hagia
- Harpactor
- Harpagocoris
- Havinthus
- Hediocoris
- Helonotus
- Heza
- Hiranetis
- Igora
- Ischnoclopius
- Ischnolestes
- Isocondylus
- Isyndus
- Lamottellus
- Lerton
- Lindus
- Lingnania
- Macracanthopsis
- Maldonadocoris
- Margasus
- Marjoriana
- Mastigonomus
- Microcarenus
- Montina
- Motoperius
- Mucrolicter
- Myocoris
- Nagusta
- Nagustoides
- Neohavinthus
- Neotropiconyttus
- Neoveledella
- Nesocastolus
- Nicrus
- Notocyrtus
- Occamus
- Odontogonus
- Orbella
- Pahabengkakia
- Panthous
- Pantoleistes
- Parahiranetis
- Paramphibolus
- Parsialus
- Peprius
- Phonoctonus
- Phonolibes
- Piestolestes
- Pirnonota
- Pisilus
- Platerus
- Ploeogaster
- Pnirsus
- Poecilobdallus
- Poecilosphodrus
- Polididus
- Pristhesancus
- Pronozelus
- Pselliopus
- Pseudophonoctonus
- Pyrrhosphodrus
- Repipta
- Rhynocoris
- Ricolla
- Rihirbus
- Rocconota
- Saxitius
- Scipinia
- Sclomina
- Serendiba
- Sindala
- Sinea
- Sosius
- Sphedanolestes
- Stalireduvius
- Sycanus
- Trachylestes
- Ulpius
- Vachiria
- Vadimon
- Vatinius
- Veledella
- Velinus
- Vesbius
- Villanovanus
- Vitumnus
- Xystonyttus
- Yolinus
- Zamolxis
- Zelus





























































