Polistes rubiginosus: taxon details and analytics
- Domain
- Kingdom
- Animalia
- Phylum
- Arthropoda
- Class
- Insecta
- Order
- Hymenoptera
- Family
- Vespidae
- Genus
- Polistes
- Species
- Polistes rubiginosus
- Scientific Name
- Polistes rubiginosus
Summary description from Wikipedia:
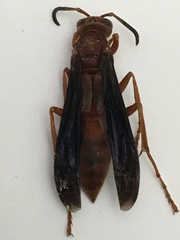
Polistes rubiginosus
Polistes rubiginosus is one of two species of red paper wasp found in the eastern United States (the other being Polistes carolina) and is noted for the coarser ridges on its propodeum. It is a social wasp (subfamily Polistinae) in the family Vespidae. Until taxonomic revision by Matthias Buck in 2012, P. rubiginosus was long known under the name P. perplexus. It occurs northernmost from Maryland, Pennsylvania to northern Ohio, south to Georgia, and from there west to central Illinois, Kansas, Oklahoma, and Texas and Arizona.
...Polistes rubiginosus in languages:
- English
- Coarse-backed Red Paper Wasp
Images from inaturalist.org observations:
We recommend you sign up for this excellent, free service.
Parent Taxon
Sibling Taxa
Top Observation Places
- Bartlett
- Silver Spring
- Jonesboro
- Norman
- Fayetteville
- Spring
- Philadelphia
- Center City
- Nashville
- Broken Arrow
- Huntsville
- Pearland
- Alief
- League City
- Sugar Land
- Missouri City
- San Antonio
- Dallas
- Fort Worth
- Arlington
- Plano
- Garland
- Irving
- Grand Prairie
- Frisco
- Carrollton
- Denton
- Richardson
- Lewisville
- Allen
- Flower Mound
- North Richland Hills
- Euless
- Grapevine
- Austin
- Round Rock
- Cedar Park
- Georgetown
- Pflugerville































































































































































