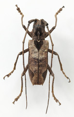
Potemnemus: taxon details and analytics
- Domain
- Kingdom
- Animalia
- Phylum
- Arthropoda
- Class
- Insecta
- Order
- Coleoptera
- Family
- Cerambycidae
- Genus
- Potemnemus
- Species
- Scientific Name
- Potemnemus
Parent Taxon
Sibling Taxa
- Acalolepta
- Achthophora
- Acridocephala
- Aethalodes
- Agnia
- Agniohammus
- Agnioides
- Agniolamia
- Agniomorpha
- Agniopsis
- Agnoderus
- Amechana
- Anamera
- Anameromorpha
- Anhammus
- Annamanum
- Anoplophora
- Anoplophoroides
- Aprionella
- Archidice
- Arctolamia
- Aristobia
- Batomena
- Bixadoides
- Bixadus
- Blepephaeopsis
- Blepephaeus
- Brachyhammus
- Brimidius
- Brimopsis
- Callipyrga
- Celosterna
- Cereopsius
- Cesonium
- Chyptodes
- Cinctohammus
- Combe
- Cordoxylamia
- Cornuscoparia
- Coscinesthes
- Cratotragus
- Cremnosterna
- Cribragapanthia
- Cribrihammus
- Cribrochamus
- Cribrohammus
- Crucihammus
- Cyanagapanthia
- Cyriotasiastes
- Decellia
- Deliathis
- Diallus
- Didyochamus
- Docohammus
- Docolamia
- Dohertyorsidis
- Dolichoprosopus
- Domitia
- Echinovelleda
- Echthistatodes
- Epepeotes
- Epicedia
- Eryalus
- Eupromus
- Eutaenia
- Euthyastus
- Gerania
- Gibbohammus
- Gnoma
- Goes
- Granulorsidis
- Hammatoderus
- Haplothrix
- Hebestola
- Hotarionomus
- Imantocera
- Lamia
- Lamiomimus
- Leprodera
- Lochmodocerus
- Macrochenus
- Macrospina
- Mecynippus
- Meges
- Melanopolia
- Metopides
- Microgoes
- Mimohammus
- Mimolochus
- Mimorsidis
- Mimothestus
- Monochamus
- Myagrus
- Nanohammus
- Nemophas
- Neoptychodes
- Nephelotus
- Nigrolamia
- Oriaethus
- Oxylamia
- Parabixadus
- Paradihammus
- Paraepepeotes
- Paragnia
- Paraleprodera
- Parapolytretus
- Parastathes
- Parathyastus
- Parepicedia
- Paroriaethus
- Paruraecha
- Peblephaeus
- Pelargoderus
- Peloconus
- Periaptodes
- Peribasis
- Pericycos
- Pharsalia
- Plectrodera
- Potemnemus
- Psacothea
- Pseudaristobia
- Pseudhammus
- Pseudomacrochenus
- Pseudomyagrus
- Pseudonemophas
- Pseudopsacothea
- Pseudostixis
- Pseudotaeniotes
- Ptychodes
- Sarothrocera
- Spinaristobia
- Sternohammus
- Stratioceros
- Taeniotes
- Thermonotus
- Tomolamia
- Trachystohamus
- Trachystola
- Trachystolodes
- Triammatus
- Uraecha
- Velleda
- Velledopsis
- Xenicotela
- Xenohammus


