Skip to the navigation
.
Skip to the content
.
BioSurveys.org
Surveying life, socially, locally.
places search
taxa search
Color
Sign In
Proctophantasta: taxon details and analytics
Domain
Kingdom
Animalia
Phylum
Arthropoda
Class
Insecta
Order
Hemiptera
Family
Acanthosomatidae
Genus
Proctophantasta
Species
Scientific Name
Proctophantasta
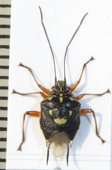
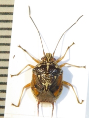
Images from inaturalist.org observations:
We recommend you sign up for this excellent, free service.
©Claas Damken, some rights reserved (CC-BY-SA)
©Claas Damken, some rights reserved (CC-BY-SA)
Parent Taxon
Acanthosomatidae
Sibling Taxa
Acanthosoma
Amphaces
Cyphostethus
Elasmostethus
Elasmucha
Eupolemus
Lindbergicoris
Microdeuterus
Oncacontias
Proctophantasta
Pseudosinopla
Rhopalimorpha
Sastragala
Top Observation Places
Share
Tweet
Back to Top
Biosurveys - Crowd Sourced Local Biogeography Login