Pseudepipona sessilis: taxon details and analytics
- Domain
- Kingdom
- Animalia
- Phylum
- Arthropoda
- Class
- Insecta
- Order
- Hymenoptera
- Family
- Vespidae
- Genus
- Pseudepipona
- Species
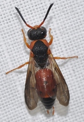
- Pseudepipona sessilis
- Scientific Name
- Pseudepipona sessilis
Summary description from Wikipedia:
Images from inaturalist.org observations:
We recommend you sign up for this excellent, free service.







