Pseudozonitis marginata: taxon details and analytics
- Domain
- Kingdom
- Animalia
- Phylum
- Arthropoda
- Class
- Insecta
- Order
- Coleoptera
- Family
- Meloidae
- Genus
- Pseudozonitis
- Species
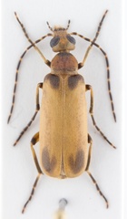
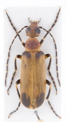
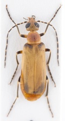
- Pseudozonitis marginata
- Scientific Name
- Pseudozonitis marginata
Images from inaturalist.org observations:
We recommend you sign up for this excellent, free service.





