Pyroderces apparitella: taxon details and analytics

Domain
Kingdom
Animalia
Phylum
Arthropoda
Class
Insecta
Order
Lepidoptera
Family
Cosmopterigidae
Genus
Pyroderces
Species
Pyroderces apparitella
Scientific Name
Pyroderces apparitella

Summary description from Wikipedia:

Pyroderces apparitella

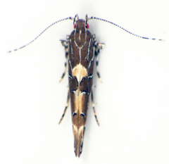
Pyroderces apparitella is a species of moth in the family Cosmopterigidae. It is endemic to New Zealand and has been observed in the North Island where it is regarded by some as being not common. The preferred habitat of this species is native forests and residential gardens. Adults are on the wing in December and January and the species is attracted to light.

...
 

Images from inaturalist.org observations:

We recommend you sign up for this excellent, free service.

Pyroderces apparitella
©Stephen Thorpe, some rights reserved (CC-BY)
Pyroderces apparitella
©Stephen Thorpe, some rights reserved (CC-BY)
Pyroderces apparitella
©Stephen Thorpe, some rights reserved (CC-BY)
Pyroderces apparitella
©Stephen Thorpe, some rights reserved (CC-BY)
Pyroderces apparitella
©Stephen Thorpe, some rights reserved (CC-BY)
Pyroderces apparitella
©Stephen Thorpe, some rights reserved (CC-BY)
Pyroderces apparitella
©Stephen Thorpe, some rights reserved (CC-BY)
Pyroderces apparitella
©Stephen Thorpe, some rights reserved (CC-BY)
Pyroderces apparitella
©Stephen Thorpe, some rights reserved (CC-BY)
Pyroderces apparitella
©commoncopper, some rights reserved (CC-BY-NC)
Pyroderces apparitella
©commoncopper, some rights reserved (CC-BY-NC)
Pyroderces apparitella
©Stephen Thorpe, some rights reserved (CC-BY)
Pyroderces apparitella
©Stephen Thorpe, some rights reserved (CC-BY)
Pyroderces apparitella
©Stephen Thorpe, some rights reserved (CC-BY)
Pyroderces apparitella
©Stephen Thorpe, some rights reserved (CC-BY)
Pyroderces apparitella
©Stephen Thorpe, some rights reserved (CC-BY)
Pyroderces apparitella
©Stephen Thorpe, some rights reserved (CC-BY)
Pyroderces apparitella
©Aimee Macarthur, some rights reserved (CC-BY)
Pyroderces apparitella
©Tom, some rights reserved (CC-BY)
Pyroderces apparitella
©commoncopper, some rights reserved (CC-BY-NC)
Pyroderces apparitella
©black_robin, some rights reserved (CC-BY-NC)
Pyroderces apparitella
©commoncopper, some rights reserved (CC-BY-NC)
Pyroderces apparitella
©Zachary Robertson, some rights reserved (CC-BY-NC)
Pyroderces apparitella
©Stephen Thorpe, some rights reserved (CC-BY)
Pyroderces apparitella
©Stephen Thorpe, some rights reserved (CC-BY)
Pyroderces apparitella
©Benjamin Wright, some rights reserved (CC-BY-NC)
Pyroderces apparitella
©Benjamin Wright, some rights reserved (CC-BY-NC)
Pyroderces apparitella
©Benjamin Wright, some rights reserved (CC-BY-NC)
Pyroderces apparitella
©Grey Smith, some rights reserved (CC-BY-NC)
Pyroderces apparitella
©Grey Smith, some rights reserved (CC-BY-NC)
Pyroderces apparitella
©Grey Smith, some rights reserved (CC-BY-NC)
Pyroderces apparitella
©Richard Littauer, some rights reserved (CC-BY-NC)
Pyroderces apparitella
©Richard Littauer, some rights reserved (CC-BY-NC)
Pyroderces apparitella
©Saryu Mae, some rights reserved (CC-BY)
Pyroderces apparitella
©Saryu Mae, some rights reserved (CC-BY)
Pyroderces apparitella
©Saryu Mae, some rights reserved (CC-BY)
Pyroderces apparitella
©Saryu Mae, some rights reserved (CC-BY)
Pyroderces apparitella
©Saryu Mae, some rights reserved (CC-BY)
Pyroderces apparitella
©Saryu Mae, some rights reserved (CC-BY)
Pyroderces apparitella
©Saryu Mae, some rights reserved (CC-BY)
Pyroderces apparitella
©Saryu Mae, some rights reserved (CC-BY)
Pyroderces apparitella
©Saryu Mae, some rights reserved (CC-BY)
Pyroderces apparitella
©Saryu Mae, some rights reserved (CC-BY)
Pyroderces apparitella
©Saryu Mae, some rights reserved (CC-BY)
Pyroderces apparitella
©Tony Steer, some rights reserved (CC-BY-SA)
Pyroderces apparitella
©Tony Steer, some rights reserved (CC-BY-SA)
Pyroderces apparitella
©Tony Steer, some rights reserved (CC-BY-SA)
Pyroderces apparitella
©Tony Steer, some rights reserved (CC-BY-SA)
Pyroderces apparitella
©Tony Steer, some rights reserved (CC-BY-SA)
Pyroderces apparitella
©Benjamin Wright, some rights reserved (CC-BY-NC)
Pyroderces apparitella
©Benjamin Wright, some rights reserved (CC-BY-NC)
Pyroderces apparitella
©Dave Holland, some rights reserved (CC-BY-NC)
Pyroderces apparitella
©Dave Holland, some rights reserved (CC-BY-NC)
Pyroderces apparitella
©Dave Holland, some rights reserved (CC-BY-NC)
Pyroderces apparitella
©Dave Holland, some rights reserved (CC-BY-NC)
Pyroderces apparitella
©Tom, some rights reserved (CC-BY)
Pyroderces apparitella
©Mike Bowie, some rights reserved (CC-BY-NC)
Pyroderces apparitella
©Mike Bowie, some rights reserved (CC-BY-NC)
Pyroderces apparitella
©Mike Bowie, some rights reserved (CC-BY-NC)
Pyroderces apparitella
©Mike Bowie, some rights reserved (CC-BY-NC)
Pyroderces apparitella
©Tony Steer, some rights reserved (CC-BY-SA)
Pyroderces apparitella
©jacobmusson, some rights reserved (CC-BY-NC)
Pyroderces apparitella
©jacobmusson, some rights reserved (CC-BY-NC)
Pyroderces apparitella
©sea-kangaroo, some rights reserved (CC-BY-NC-ND)
Pyroderces apparitella
©sea-kangaroo, some rights reserved (CC-BY-NC-ND)
Pyroderces apparitella
©Stephen Thorpe, some rights reserved (CC-BY-NC)
Pyroderces apparitella
©Stephen Thorpe, some rights reserved (CC-BY-NC)
Pyroderces apparitella
©Stephen Thorpe, some rights reserved (CC-BY-NC)
Pyroderces apparitella
©Stephen Thorpe, some rights reserved (CC-BY-NC)
Pyroderces apparitella
©Stephen Thorpe, some rights reserved (CC-BY-NC)
Pyroderces apparitella
©Maurice, some rights reserved (CC-BY-NC)
Pyroderces apparitella
©Maurice, some rights reserved (CC-BY-NC)
Pyroderces apparitella
©Phil Bendle, some rights reserved (CC-BY-NC)
Pyroderces apparitella
©Stephen Thorpe, some rights reserved (CC-BY-NC)
Pyroderces apparitella
©Stephen Thorpe, some rights reserved (CC-BY-NC)
Pyroderces apparitella
©David Wilson, some rights reserved (CC-BY-NC)
Pyroderces apparitella
©Phil Bendle, some rights reserved (CC-BY-NC)
Pyroderces apparitella
©Phil Bendle, some rights reserved (CC-BY-NC)
Pyroderces apparitella
©David Wilson, some rights reserved (CC-BY-NC)
Pyroderces apparitella
©Stephen Thorpe, some rights reserved (CC-BY-NC)
Pyroderces apparitella
©Stephen Thorpe, some rights reserved (CC-BY-NC)
Pyroderces apparitella
©Stephen Thorpe, some rights reserved (CC-BY-NC)
Pyroderces apparitella
©Stephen Thorpe, some rights reserved (CC-BY-NC)
Pyroderces apparitella
©Stephen Thorpe, some rights reserved (CC-BY-NC)
Pyroderces apparitella
©Stephen Thorpe, some rights reserved (CC-BY-NC)
Pyroderces apparitella
©Stephen Thorpe, some rights reserved (CC-BY-NC)
Pyroderces apparitella
©Stephen Thorpe, some rights reserved (CC-BY-NC)
Pyroderces apparitella
©Felix Fleck, some rights reserved (CC-BY-NC)
Pyroderces apparitella
©Neville Hudson, some rights reserved (CC-BY-NC)
Pyroderces apparitella
©Neville Hudson, some rights reserved (CC-BY-NC)
Pyroderces apparitella
©Neville Hudson, some rights reserved (CC-BY-NC)
Pyroderces apparitella
©Stephen Thorpe, some rights reserved (CC-BY-NC)
Pyroderces apparitella
©Stephen Thorpe, some rights reserved (CC-BY-NC)
Pyroderces apparitella
©Neville Hudson, some rights reserved (CC-BY-NC)
Pyroderces apparitella
©Jacqui Geux, some rights reserved (CC-BY)
Pyroderces apparitella
©Jacqui Geux, some rights reserved (CC-BY)
Pyroderces apparitella
©Jacqui Geux, some rights reserved (CC-BY)
Pyroderces apparitella
©Jacqui Geux, some rights reserved (CC-BY)
Pyroderces apparitella
©Jacqui Geux, some rights reserved (CC-BY)
Pyroderces apparitella
©Jacqui Geux, some rights reserved (CC-BY)
Pyroderces apparitella
©Tom, some rights reserved (CC-BY)
Pyroderces apparitella
©Stephen Thorpe, some rights reserved (CC-BY-NC)
Pyroderces apparitella
©Jacqui Geux, some rights reserved (CC-BY)
Pyroderces apparitella
©Jacqui Geux, some rights reserved (CC-BY)
Pyroderces apparitella
©Jacqui Geux, some rights reserved (CC-BY)
Pyroderces apparitella
©Stephen Thorpe, some rights reserved (CC-BY-NC)
Pyroderces apparitella
©Neville Hudson, some rights reserved (CC-BY-NC)
Pyroderces apparitella
©Dougal Townsend, some rights reserved (CC-BY-NC)
Pyroderces apparitella
©Dougal Townsend, some rights reserved (CC-BY-NC)
Pyroderces apparitella
©Dougal Townsend, some rights reserved (CC-BY-NC)
Pyroderces apparitella
©Dougal Townsend, some rights reserved (CC-BY-NC)
Pyroderces apparitella
©Kyle Bland, some rights reserved (CC-BY-NC)
Pyroderces apparitella
©Stephen Thorpe, some rights reserved (CC-BY-NC)
Pyroderces apparitella
©Stephen Thorpe, some rights reserved (CC-BY-NC)
Pyroderces apparitella
©riroriro, some rights reserved (CC-BY-NC)
Pyroderces apparitella
©Grey Smith, some rights reserved (CC-BY-NC)
Pyroderces apparitella
©Grey Smith, some rights reserved (CC-BY-NC)
Pyroderces apparitella
©Grey Smith, some rights reserved (CC-BY-NC)
Pyroderces apparitella
©Grey Smith, some rights reserved (CC-BY-NC)
Pyroderces apparitella
©Stephen Thorpe, some rights reserved (CC-BY-NC)
Pyroderces apparitella
©Grey Smith, some rights reserved (CC-BY-NC)
Pyroderces apparitella
©Grey Smith, some rights reserved (CC-BY-NC)
Pyroderces apparitella
©Christopher Stephens, some rights reserved (CC-BY-SA)
Pyroderces apparitella
©Christopher Stephens, some rights reserved (CC-BY-SA)
Pyroderces apparitella
©Christopher Stephens, some rights reserved (CC-BY-SA)
Pyroderces apparitella
©Christopher Stephens, some rights reserved (CC-BY-SA)
Pyroderces apparitella
©Christopher Stephens, some rights reserved (CC-BY-SA)
Pyroderces apparitella
©Simon Nicholas, some rights reserved (CC-BY-NC)
Pyroderces apparitella
©Simon Nicholas, some rights reserved (CC-BY-NC)
Pyroderces apparitella
©Christopher Stephens, some rights reserved (CC-BY-SA)
Pyroderces apparitella
©Christopher Stephens, some rights reserved (CC-BY-SA)
Pyroderces apparitella
©Christopher Stephens, some rights reserved (CC-BY-SA)
Pyroderces apparitella
©William Brockelsby, some rights reserved (CC-BY)
Pyroderces apparitella
©William Brockelsby, some rights reserved (CC-BY)
Pyroderces apparitella
©Christopher Stephens, some rights reserved (CC-BY-SA)
Pyroderces apparitella
©Christopher Stephens, some rights reserved (CC-BY-SA)
Pyroderces apparitella
©Christopher Stephens, some rights reserved (CC-BY-SA)
Pyroderces apparitella
©William Brockelsby, some rights reserved (CC-BY)
Pyroderces apparitella
©wild_wind, some rights reserved (CC-BY)
Pyroderces apparitella
©Christopher Stephens, some rights reserved (CC-BY-SA)
Pyroderces apparitella
©Christopher Stephens, some rights reserved (CC-BY-SA)
Pyroderces apparitella
©Christopher Stephens, some rights reserved (CC-BY-SA)
Pyroderces apparitella
©Christopher Stephens, some rights reserved (CC-BY-SA)
Pyroderces apparitella
©wild_wind, some rights reserved (CC-BY)
Pyroderces apparitella
©wild_wind, some rights reserved (CC-BY)
Pyroderces apparitella
©Stephen Thorpe, some rights reserved (CC-BY)
Pyroderces apparitella
©Stephen Thorpe, some rights reserved (CC-BY)
Pyroderces apparitella
©wild_wind, some rights reserved (CC-BY)
Pyroderces apparitella
©Grey Smith, some rights reserved (CC-BY-NC)
Pyroderces apparitella
©Grey Smith, some rights reserved (CC-BY-NC)
Pyroderces apparitella
©Christopher Stephens, some rights reserved (CC-BY-SA)
Pyroderces apparitella
©Christopher Stephens, some rights reserved (CC-BY-SA)
Pyroderces apparitella
©Grey Smith, some rights reserved (CC-BY-NC)
Pyroderces apparitella
©Grey Smith, some rights reserved (CC-BY-NC)
Pyroderces apparitella
©Matt SP, some rights reserved (CC-BY)
Pyroderces apparitella
©Lynnell Greer, some rights reserved (CC-BY-NC)
Pyroderces apparitella
©Lynnell Greer, some rights reserved (CC-BY-NC)
Pyroderces apparitella
©Mike Lusk, some rights reserved (CC-BY-NC)
Pyroderces apparitella
©Grey Smith, some rights reserved (CC-BY-NC)
Pyroderces apparitella
©Grey Smith, some rights reserved (CC-BY-NC)