Quercus deserticola: taxon details and analytics
- Domain
- Kingdom
- Plantae
- Phylum
- Tracheophyta
- Class
- Magnoliopsida
- Order
- Fagales
- Family
- Fagaceae
- Genus
- Quercus
- Species
- Quercus deserticola
- Scientific Name
- Quercus deserticola
Summary description from Wikipedia:
Quercus deserticola
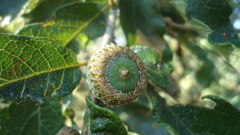
Quercus deserticola is a Mexican species of oaks in the beech family. It grows in central Mexico in the States of Guanajuato, Mexico, Hidalgo, Jalisco, Querétaro, Oaxaca, Sinaloa, Puebla, and Michoacán.
...Images from inaturalist.org observations:
We recommend you sign up for this excellent, free service.
Parent Taxon
Sibling Taxa
- Quercus aculcingensis
- Quercus ajoensis
- Quercus alba
- Quercus aliena
- Quercus alpescens
- Quercus ariifolia
- Quercus arizonica
- Quercus austrina
- Quercus barrancana
- Quercus berberidifolia
- Quercus berberidifolia × engelmannii
- Quercus berberidifolia × lobata
- Quercus bicolor
- Quercus boyntonii
- Quercus bumelioides
- Quercus canariensis
- Quercus carmenensis
- Quercus chapmanii
- Quercus chartacea
- Quercus chihuahuensis
- Quercus clivicola
- Quercus congesta
- Quercus convallata
- Quercus conzattii
- Quercus copeyensis
- Quercus cornelius-mulleri
- Quercus corrugata
- Quercus crispula
- Quercus dalechampii
- Quercus deliquescens
- Quercus dentata
- Quercus depressipes
- Quercus deserticola
- Quercus diversifolia
- Quercus douglasii
- Quercus dumosa
- Quercus durata
- Quercus edwardsiae
- Quercus engelmannii
- Quercus estremadurensis
- Quercus fabri
- Quercus faginea
- Quercus frainetto
- Quercus gambelii
- Quercus garryana
- Quercus germana
- Quercus glaucescens
- Quercus glaucoides
- Quercus greggii
- Quercus griffithii
- Quercus grisea
- Quercus hartwissiana
- Quercus havardii
- Quercus hinckleyi
- Quercus insignis
- Quercus intricata
- Quercus invaginata
- Quercus john-tuckeri
- Quercus laceyi
- Quercus laeta
- Quercus liebmannii
- Quercus lobata
- Quercus lobata × durata
- Quercus lusitanica
- Quercus lyrata
- Quercus macdougallii
- Quercus macranthera
- Quercus macrocarpa
- Quercus magnoliifolia
- Quercus mannifera
- Quercus manzanillana
- Quercus margaretiae
- Quercus melissae
- Quercus michauxii
- Quercus microphylla
- Quercus mohriana
- Quercus mongolica
- Quercus mongolicodentata
- Quercus montana
- Quercus monterreyensis
- Quercus muehlenbergii
- Quercus oblongata
- Quercus oblongifolia
- Quercus obtusata
- Quercus oglethorpensis
- Quercus opaca
- Quercus orocantabrica
- Quercus pacifica
- Quercus pauciradiata
- Quercus peduncularis
- Quercus perpallida
- Quercus petraea
- Quercus polymorpha
- Quercus porphyrogenita
- Quercus praeco
- Quercus pringlei
- Quercus prinoides
- Quercus protoroburoides
- Quercus pubescens
- Quercus pungens
- Quercus purulhana
- Quercus pyrenaica
- Quercus rekonis
- Quercus repanda
- Quercus robur
- Quercus rugosa
- Quercus sanchezcolinii
- Quercus sebifera
- Quercus segoviensis
- Quercus serrata
- Quercus similis
- Quercus sinuata
- Quercus stellata
- Quercus striatula
- Quercus supranitida
- Quercus tarahumara
- Quercus tinkhamii
- Quercus toumeyi
- Quercus toxicodendrifolia
- Quercus turbinella
- Quercus undata
- Quercus vallicola
- Quercus vaseyana
- Quercus verde
- Quercus vicentensis
- Quercus vulcanica
- Quercus welshii
- Quercus wutaishanica
- Quercus xylina
- Quercus × acutidens
- Quercus × alvordiana
- Quercus × andegavensis
- Quercus × basaseachicensis
- Quercus × beadlei
- Quercus × bebbiana
- Quercus × beckyae
- Quercus × bernardensis
- Quercus × bimundorum
- Quercus × byarsii
- Quercus × carrissoana
- Quercus × cerrioides
- Quercus × coutinhoi
- Quercus × deamii
- Quercus × diegoi
- Quercus × drummondii
- Quercus × eplingii
- Quercus × ewanii
- Quercus × faxonii
- Quercus × fernowii
- Quercus × gallaecica
- Quercus × grandidentata
- Quercus × guadalupensis
- Quercus × hillii
- Quercus × howellii
- Quercus × humidicola
- Quercus × introgressa
- Quercus × jackiana
- Quercus × jolonensis
- Quercus × macdonaldii
- Quercus × macnabiana
- Quercus × megaleia
- Quercus × munzii
- Quercus × organensis
- Quercus × pastorensis
- Quercus × pauciloba
- Quercus × rosacea
- Quercus × sargentii
- Quercus × saulii
- Quercus × schuettei
- Quercus × stelloides
- Quercus × sterretii
- Quercus × subconvexa
- Quercus × substellata
- Quercus × tottenii
- Quercus × townei
- Quercus × undulata
- Quercus × wagneri
- Quercus × warei
















































































































































