Rhopalidae: taxon details and analytics
- Domain
- Kingdom
- Animalia
- Phylum
- Arthropoda
- Class
- Insecta
- Order
- Hemiptera
- Family
- Rhopalidae
- Genus
- Species
- Scientific Name
- Rhopalidae
Summary description from Wikipedia:
Rhopalidae
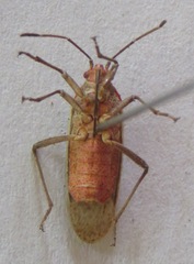
Rhopalidae, or scentless plant bugs, are a family of true bugs. In older literature, the family is sometimes called "Corizidae". They differ from the related coreids in lacking well-developed scent glands. They are usually light-colored and smaller than the coreids. Some are very similar to the orsilline lygaeids, but can be distinguished by the numerous veins in the membrane of the hemelytra. They live principally on weeds, but a few (including the boxelder bug) are arboreal. All are plant feeders. The type genus for the family is: Rhopalus. Currently 30 genera and over 240 species of rhopalids are known. The oldest fossil rhopalids described are from the Middle Jurassic of Inner Mongolia, discovered from the Haifanggou Formation. They are not considered economically important with a few species being pests of ornamental trees.
...Rhopalidae in languages:
- Bokmål
- randteger
- Chinese
- 姬緣蝽科
- Czech
- vroubenkovkovití
- Danish
- Kanttæger
- Dutch
- Knotswantsen
- English
- Scentless Plant Bugs
- Finnish
- ruskoluteet
- French
- Punaises inodores
- German
- Glasflügelwanzen
- Hebrew
- קוריזיים
- Japanese
- ヒメヘリカメムシ科
- Korean
- 잡초노린재과
- Lithuanian
- Netikrosios kampuotblakės
- Polish
- Wysysowate
- Russian
- Булавники
- Swedish
- smalkantskinnbaggar
- Thai
- มวนโรพาลิด
Images from inaturalist.org observations:
We recommend you sign up for this excellent, free service.































































































































































