Rhopalus: taxon details and analytics
- Domain
- Kingdom
- Animalia
- Phylum
- Arthropoda
- Class
- Insecta
- Order
- Hemiptera
- Family
- Rhopalidae
- Genus
- Rhopalus
- Species
- Scientific Name
- Rhopalus
Summary description from Wikipedia:
Rhopalos (Sohn des Herakles)
Rhopalos (altgriechisch Ῥόπαλος Rhópalos) ist in der griechischen Mythologie der Sohn des Herakles.
Während Eustathios von Thessalonike ihn als den Vater des Phaistos bezeichnet, berichtet Pausanias Phaistos sei ebenfalls ein Sohn des Herakles.
Photios I. sagt, dass Rhopalos der erste war, der seinem Vater Herakles wie einem Gott opferte, während Pausanias dies Phaistos zuschreibt.
...Rhopalus in languages:
- Danish
- Mosekanttæge
- Danish
- Rhopalus
- Korean
- 잡초노린재속
- Polish
- Wysys
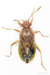
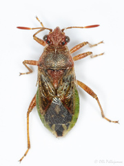
Images from inaturalist.org observations:
We recommend you sign up for this excellent, free service.































































































































































