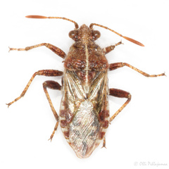
Rhopalus distinctus: taxon details and analytics
- Domain
- Kingdom
- Animalia
- Phylum
- Arthropoda
- Class
- Insecta
- Order
- Hemiptera
- Family
- Rhopalidae
- Genus
- Rhopalus
- Species
- Rhopalus distinctus
- Scientific Name
- Rhopalus distinctus
Images from inaturalist.org observations:
We recommend you sign up for this excellent, free service.








