Skip to the navigation
.
Skip to the content
.
BioSurveys.org
Surveying life, socially, locally.
places search
taxa search
Color
Sign In
Robopus bastardoi: taxon details and analytics
Domain
Kingdom
Animalia
Phylum
Arthropoda
Class
Insecta
Order
Coleoptera
Family
Lampyridae
Genus
Robopus
Species
Robopus bastardoi
Scientific Name
Robopus bastardoi
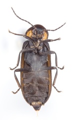
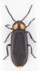
Images from inaturalist.org observations:
We recommend you sign up for this excellent, free service.
©prioninae_eu, some rights reserved (CC-BY-NC)
©prioninae_eu, some rights reserved (CC-BY-NC)
Parent Taxon
Robopus
Sibling Taxa
Robopus albicollis
Robopus bastardoi
Robopus branhami
Robopus cayeyensis
Robopus erythrolythris
Robopus kasikus
Robopus niger
Robopus roseicollis
Robopus roseinotatus
Robopus sublateralis
Robopus vittiger
Top Observation Places
Share
Tweet
Back to Top
Biosurveys - Crowd Sourced Local Biogeography Login