Romna pallida: taxon details and analytics

Domain
Kingdom
Animalia
Phylum
Arthropoda
Class
Insecta
Order
Hemiptera
Family
Miridae
Genus
Romna
Species
Romna pallida
Scientific Name
Romna pallida

Summary description from Wikipedia:

Romna pallida

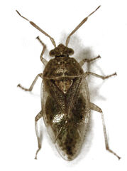
Romna pallida is a species of plant bug. It is endemic to New Zealand. It has been found in both the North Island and the South Island. It is found on plants of the genus Sophora.

...
 

Images from inaturalist.org observations:

We recommend you sign up for this excellent, free service.

Romna pallida
©Stephen Thorpe, some rights reserved (CC-BY)
Romna pallida
©Stephen Thorpe, some rights reserved (CC-BY)
Romna pallida
©Stephen Thorpe, some rights reserved (CC-BY)
Romna pallida
©Stephen Thorpe, some rights reserved (CC-BY)
Romna pallida
©Stephen Thorpe, some rights reserved (CC-BY)
Romna pallida
©Stephen Thorpe, some rights reserved (CC-BY)
Romna pallida
©Stephen Thorpe, some rights reserved (CC-BY)
Romna pallida
©Stephen Thorpe, some rights reserved (CC-BY)
Romna pallida
©Stephen Thorpe, some rights reserved (CC-BY)
Romna pallida
©Stephen Thorpe, some rights reserved (CC-BY)
Romna pallida
©Stephen Thorpe, some rights reserved (CC-BY)
Romna pallida
©Stephen Thorpe, some rights reserved (CC-BY-NC)
Romna pallida
©Stephen Thorpe, some rights reserved (CC-BY-NC)
Romna pallida
©Stephen Thorpe, some rights reserved (CC-BY-NC)
Romna pallida
©Stephen Thorpe, some rights reserved (CC-BY-NC)
Romna pallida
©Stephen Thorpe, some rights reserved (CC-BY-NC)
Romna pallida
©Stephen Thorpe, some rights reserved (CC-BY-NC)
Romna pallida
©Stephen Thorpe, some rights reserved (CC-BY-NC)
Romna pallida
©Stephen Thorpe, some rights reserved (CC-BY-NC)
Romna pallida
©Stephen Thorpe, some rights reserved (CC-BY-NC)
Romna pallida
©Stephen Thorpe, some rights reserved (CC-BY-NC)
Romna pallida
©Stephen Thorpe, some rights reserved (CC-BY-NC)
Romna pallida
©Stephen Thorpe, some rights reserved (CC-BY-NC)
Romna pallida
©Stephen Thorpe, some rights reserved (CC-BY-NC)
Romna pallida
©Stephen Thorpe, some rights reserved (CC-BY)
Romna pallida
©Stephen Thorpe, some rights reserved (CC-BY)
Romna pallida
©Stephen Thorpe, some rights reserved (CC-BY-NC)
Romna pallida
©Stephen Thorpe, some rights reserved (CC-BY-NC)
Romna pallida
©Stephen Thorpe, some rights reserved (CC-BY-NC)
Romna pallida
©Stephen Thorpe, some rights reserved (CC-BY-NC)
Romna pallida
©Stephen Thorpe, some rights reserved (CC-BY-NC)
Romna pallida
©Stephen Thorpe, some rights reserved (CC-BY-NC)