Sagola pulchra: taxon details and analytics
- Domain
- Kingdom
- Animalia
- Phylum
- Arthropoda
- Class
- Insecta
- Order
- Coleoptera
- Family
- Staphylinidae
- Genus
- Sagola
- Species
- Sagola pulchra
- Scientific Name
- Sagola pulchra
Summary description from Wikipedia:
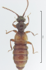
Images from inaturalist.org observations:
We recommend you sign up for this excellent, free service.
Parent Taxon
Sibling Taxa
- Sagola angulifera
- Sagola anisarthra
- Sagola arboricola
- Sagola aucklandensis
- Sagola auripila
- Sagola baiknami
- Sagola baylessae
- Sagola bifida
- Sagola bipunctata
- Sagola bituberata
- Sagola boonei
- Sagola boothi
- Sagola boudreauxae
- Sagola brookesi
- Sagola brouni
- Sagola brumfieldi
- Sagola buckleyi
- Sagola bullerensis
- Sagola butcherae
- Sagola canterburyensis
- Sagola castanea
- Sagola chandleri
- Sagola chathamensis
- Sagola choeunae
- Sagola clarkei
- Sagola clunieae
- Sagola convexa
- Sagola coromandelensis
- Sagola crawi
- Sagola cuvierensis
- Sagola deformipes
- Sagola denticollis
- Sagola dugdalei
- Sagola duplicata
- Sagola earlyi
- Sagola egmontensis
- Sagola embersoni
- Sagola eminens
- Sagola excavata
- Sagola fairburni
- Sagola ferroi
- Sagola fiordlandensis
- Sagola flavipes
- Sagola flemingensis
- Sagola furcata
- Sagola genalis
- Sagola gilae
- Sagola gimmeli
- Sagola gisbornensis
- Sagola gourlayi
- Sagola gyudongi
- Sagola hanae
- Sagola hectorii
- Sagola helmorei
- Sagola hirtalis
- Sagola horokakaensis
- Sagola humpridgensis
- Sagola hunterensis
- Sagola hunuaensis
- Sagola huvali
- Sagola ignota
- Sagola incisa
- Sagola insignis
- Sagola insueta
- Sagola jeongnamae
- Sagola kahurangiensis
- Sagola keejeongi
- Sagola kuscheli
- Sagola laticeps
- Sagola latistriata
- Sagola lescheni
- Sagola lewisensis
- Sagola mackenziensis
- Sagola major
- Sagola marlboroughensis
- Sagola marrisi
- Sagola mayae
- Sagola mercuryensis
- Sagola misella
- Sagola moehauensis
- Sagola monstrosa
- Sagola monticola
- Sagola muirae
- Sagola murchisonensis
- Sagola newtoni
- Sagola northlandensis
- Sagola notabilis
- Sagola nunni
- Sagola opercularis
- Sagola otagoensis
- Sagola otteai
- Sagola owensae
- Sagola parva
- Sagola pecki
- Sagola pertinax
- Sagola pittensis
- Sagola planipennis
- Sagola plentyensis
- Sagola poortmani
- Sagola prisca
- Sagola prowellae
- Sagola pulchra
- Sagola punctulata
- Sagola ramsayi
- Sagola ranatungae
- Sagola robustula
- Sagola rugicornis
- Sagola rugifrons
- Sagola rustica
- Sagola sharpi
- Sagola sheldoni
- Sagola snaresensis
- Sagola socia
- Sagola sokolovi
- Sagola solodovnikovi
- Sagola southlandensis
- Sagola spiniventris
- Sagola stewartensis
- Sagola strialis
- Sagola sulcator
- Sagola sunsookae
- Sagola taegyui
- Sagola taranakiensis
- Sagola tararuaensis
- Sagola taupoensis
- Sagola tekoauensis
- Sagola tenebrica
- Sagola tennysonensis
- Sagola terricola
- Sagola thayerae
- Sagola thorpei
- Sagola threekingsensis
- Sagola tishechkini
- Sagola townsendi
- Sagola triregia
- Sagola turretensis
- Sagola unuwhaoensis
- Sagola valida
- Sagola waikatoensis
- Sagola waipouaensis
- Sagola wairarapaensis
- Sagola walkerae
- Sagola watti
- Sagola weiri
- Sagola wellingtonensis










