Schilbe intermedius: taxon details and analytics
- Domain
- Kingdom
- Animalia
- Phylum
- Chordata
- Class
- Actinopterygii
- Order
- Siluriformes
- Family
- Schilbeidae
- Genus
- Schilbe
- Species
- Schilbe intermedius
- Scientific Name
- Schilbe intermedius
Summary description from Wikipedia:
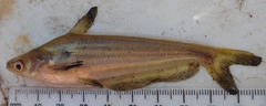
Schilbe intermedius
Schilbe intermedius or the silver butter catfish is a widespread species of African catfish. It seems closely related to Schilbe uranoscopus and these two species are sympatric over part of their ranges.
...Schilbe intermedius in languages:
- Czech
- sumčík prostřední
- English
- silver butter catfish
- English
- Silver Catfish
- English
- Butter Barbel
Images from inaturalist.org observations:
We recommend you sign up for this excellent, free service.
Parent Taxon
Sibling Taxa
- Schilbe angolensis
- Schilbe ansorgii
- Schilbe banguelensis
- Schilbe bocagii
- Schilbe brevianalis
- Schilbe congensis
- Schilbe depressirostris
- Schilbe djeremi
- Schilbe durinii
- Schilbe grenfelli
- Schilbe intermedius
- Schilbe laticeps
- Schilbe mandibularis
- Schilbe marmoratus
- Schilbe micropogon
- Schilbe moebiusii
- Schilbe multitaeniatus
- Schilbe mystus
- Schilbe nyongensis
- Schilbe tumbanus
- Schilbe uranoscopus
- Schilbe yangambianus
- Schilbe zairensis








































