Scolopostethus thomsoni: taxon details and analytics

Domain
Kingdom
Animalia
Phylum
Arthropoda
Class
Insecta
Order
Hemiptera
Family
Rhyparochromidae
Genus
Scolopostethus
Species
Scolopostethus thomsoni
Scientific Name
Scolopostethus thomsoni

Summary description from Wikipedia:

 

Scolopostethus thomsoni in languages:

Czech
pozemka kopřivová
Danish
Jordbærfrøtæge
Dutch
Thomsons zaagpoot
English
Thomson's groundbug
Finnish
nokkoskirjolude
Japanese
コカスリナガカメムシ

Images from inaturalist.org observations:

We recommend you sign up for this excellent, free service.

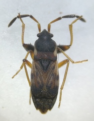
Scolopostethus thomsoni
©Rob Westerduijn, some rights reserved (CC-BY-NC)
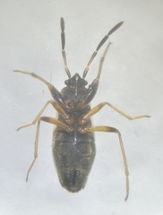
Scolopostethus thomsoni
©Rob Westerduijn, some rights reserved (CC-BY-NC)
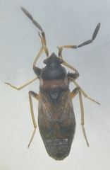
Scolopostethus thomsoni
©Rob Westerduijn, some rights reserved (CC-BY-NC)
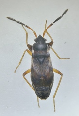
Scolopostethus thomsoni
©jfb22, some rights reserved (CC-BY-NC)
Scolopostethus thomsoni
©jfb22, some rights reserved (CC-BY-NC)
Scolopostethus thomsoni
©jfb22, some rights reserved (CC-BY-NC)
Scolopostethus thomsoni
©Rob Westerduijn, some rights reserved (CC-BY-NC)
Scolopostethus thomsoni
©Rob Westerduijn, some rights reserved (CC-BY-NC)
Scolopostethus thomsoni
©Rob Westerduijn, some rights reserved (CC-BY-NC)
Scolopostethus thomsoni
©Rob Westerduijn, some rights reserved (CC-BY-NC)
Scolopostethus thomsoni
©Rob Westerduijn, some rights reserved (CC-BY-NC)
Scolopostethus thomsoni
©Rob Westerduijn, some rights reserved (CC-BY-NC)
Scolopostethus thomsoni
©Rob Westerduijn, some rights reserved (CC-BY-NC)
Scolopostethus thomsoni
©Rob Westerduijn, some rights reserved (CC-BY-NC)
Scolopostethus thomsoni
©Rob Westerduijn, some rights reserved (CC-BY-NC)
Scolopostethus thomsoni
©karol_mackiewicz, some rights reserved (CC-BY-NC)
Scolopostethus thomsoni
©karol_mackiewicz, some rights reserved (CC-BY-NC)
Scolopostethus thomsoni
©karol_mackiewicz, some rights reserved (CC-BY-NC)
Scolopostethus thomsoni
©plissnrutscha2, some rights reserved (CC-BY-NC)
Scolopostethus thomsoni
©Rob Westerduijn, some rights reserved (CC-BY-NC)
Scolopostethus thomsoni
©Rob Westerduijn, some rights reserved (CC-BY-NC)
Scolopostethus thomsoni
©Rob Westerduijn, some rights reserved (CC-BY-NC)
Scolopostethus thomsoni
©jfb22, some rights reserved (CC-BY-NC)
Scolopostethus thomsoni
©jfb22, some rights reserved (CC-BY-NC)
Scolopostethus thomsoni
©jfb22, some rights reserved (CC-BY-NC)
Scolopostethus thomsoni
©adippe, some rights reserved (CC-BY-NC)
Scolopostethus thomsoni
©adippe, some rights reserved (CC-BY-NC)
Scolopostethus thomsoni
©Michel Langeveld, some rights reserved (CC-BY-SA)
Scolopostethus thomsoni
©Tina Ellegaard Poulsen, some rights reserved (CC-BY)
Scolopostethus thomsoni
©lucyna_bugiera, some rights reserved (CC-BY-NC)
Scolopostethus thomsoni
©Rob Westerduijn, some rights reserved (CC-BY-NC)
Scolopostethus thomsoni
©Rob Westerduijn, some rights reserved (CC-BY-NC)
Scolopostethus thomsoni
©Rob Westerduijn, some rights reserved (CC-BY-NC)
Scolopostethus thomsoni
©Rob Westerduijn, some rights reserved (CC-BY-NC)
Scolopostethus thomsoni
©Rob Westerduijn, some rights reserved (CC-BY-NC)
Scolopostethus thomsoni
©Rob Westerduijn, some rights reserved (CC-BY-NC)
Scolopostethus thomsoni
©Rob Westerduijn, some rights reserved (CC-BY-NC)
Scolopostethus thomsoni
©lyssxrose, some rights reserved (CC-BY-NC)
Scolopostethus thomsoni
©evgeniq_benihanov, some rights reserved (CC-BY)
Scolopostethus thomsoni
©Benjamin ZELVELDER, some rights reserved (CC-BY-NC)
Scolopostethus thomsoni
©Benjamin ZELVELDER, some rights reserved (CC-BY-NC)
Scolopostethus thomsoni
©Benjamin ZELVELDER, some rights reserved (CC-BY-NC)
Scolopostethus thomsoni
©Benjamin ZELVELDER, some rights reserved (CC-BY-NC)
Scolopostethus thomsoni
©Rob Westerduijn, some rights reserved (CC-BY-NC)
Scolopostethus thomsoni
©Rob Westerduijn, some rights reserved (CC-BY-NC)
Scolopostethus thomsoni
©Rob Westerduijn, some rights reserved (CC-BY-NC)
Scolopostethus thomsoni
©Rob Westerduijn, some rights reserved (CC-BY-NC)
Scolopostethus thomsoni
©Rob Westerduijn, some rights reserved (CC-BY-NC)
Scolopostethus thomsoni
©Rob Westerduijn, some rights reserved (CC-BY-NC)
Scolopostethus thomsoni
©Rob Westerduijn, some rights reserved (CC-BY-NC)
Scolopostethus thomsoni
©Yves Bas, some rights reserved (CC-BY)
Scolopostethus thomsoni
©Dina Nesterkova, some rights reserved (CC-BY-NC)
Scolopostethus thomsoni
©Rob Westerduijn, some rights reserved (CC-BY-NC)
Scolopostethus thomsoni
©Rob Westerduijn, some rights reserved (CC-BY-NC)
Scolopostethus thomsoni
©Rob Westerduijn, some rights reserved (CC-BY-NC)
Scolopostethus thomsoni
©Rob Westerduijn, some rights reserved (CC-BY-NC)
Scolopostethus thomsoni
©Rob Westerduijn, some rights reserved (CC-BY-NC)
Scolopostethus thomsoni
©Rob Westerduijn, some rights reserved (CC-BY-NC)
Scolopostethus thomsoni
©Rob Westerduijn, some rights reserved (CC-BY-NC)
Scolopostethus thomsoni
©Rob Westerduijn, some rights reserved (CC-BY-NC)
Scolopostethus thomsoni
©Rob Westerduijn, some rights reserved (CC-BY-NC)
Scolopostethus thomsoni
©Rob Westerduijn, some rights reserved (CC-BY-NC)
Scolopostethus thomsoni
©Rob Westerduijn, some rights reserved (CC-BY-NC)
Scolopostethus thomsoni
©Иван Матершев, some rights reserved (CC-BY-NC)
Scolopostethus thomsoni
©Иван Матершев, some rights reserved (CC-BY-NC)
Scolopostethus thomsoni
©jfb22, some rights reserved (CC-BY-NC)
Scolopostethus thomsoni
©jfb22, some rights reserved (CC-BY-NC)
Scolopostethus thomsoni
©jfb22, some rights reserved (CC-BY-NC)
Scolopostethus thomsoni
©Dina Nesterkova, some rights reserved (CC-BY-NC)
Scolopostethus thomsoni
©karol_mackiewicz, some rights reserved (CC-BY-NC)
Scolopostethus thomsoni
©Barbara Klenner, some rights reserved (CC-BY-NC)
Scolopostethus thomsoni
©Barbara Klenner, some rights reserved (CC-BY-NC)
Scolopostethus thomsoni
©karol_mackiewicz, some rights reserved (CC-BY-NC)
Scolopostethus thomsoni
©jfb22, some rights reserved (CC-BY-NC)
Scolopostethus thomsoni
©jfb22, some rights reserved (CC-BY-NC)
Scolopostethus thomsoni
©jfb22, some rights reserved (CC-BY-NC)
Scolopostethus thomsoni
©karol_mackiewicz, some rights reserved (CC-BY-NC)
Scolopostethus thomsoni
©karol_mackiewicz, some rights reserved (CC-BY-NC)
Scolopostethus thomsoni
©Nikolai Vladimirov, some rights reserved (CC-BY-NC)
Scolopostethus thomsoni
©Michael Bakker Paiva, some rights reserved (CC-BY)
Scolopostethus thomsoni
©Michael Bakker Paiva, some rights reserved (CC-BY)
Scolopostethus thomsoni
©Nikolai Vladimirov, some rights reserved (CC-BY-NC)
Scolopostethus thomsoni
©Nikolai Vladimirov, some rights reserved (CC-BY-NC)
Scolopostethus thomsoni
©Herman Berteler, some rights reserved (CC-BY-NC)
Scolopostethus thomsoni
©formicacid, some rights reserved (CC0)
Scolopostethus thomsoni
©formicacid, some rights reserved (CC0)
Scolopostethus thomsoni
©formicacid, some rights reserved (CC0)
Scolopostethus thomsoni
©formicacid, some rights reserved (CC0)
Scolopostethus thomsoni
©Rob Westerduijn, some rights reserved (CC-BY-NC)
Scolopostethus thomsoni
©Rob Westerduijn, some rights reserved (CC-BY-NC)
Scolopostethus thomsoni
©Barry Walter, some rights reserved (CC-BY)
Scolopostethus thomsoni
©Barry Walter, some rights reserved (CC-BY)
Scolopostethus thomsoni
©formicacid, some rights reserved (CC0)
Scolopostethus thomsoni
©formicacid, some rights reserved (CC0)
Scolopostethus thomsoni
©formicacid, some rights reserved (CC0)
Scolopostethus thomsoni
©Barry Walter, some rights reserved (CC-BY)
Scolopostethus thomsoni
©Barry Walter, some rights reserved (CC-BY)
Scolopostethus thomsoni
©Barry Walter, some rights reserved (CC-BY)
Scolopostethus thomsoni
©Markus Krieger, some rights reserved (CC-BY)
Scolopostethus thomsoni
©Markus Krieger, some rights reserved (CC-BY)
Scolopostethus thomsoni
©knuttutgut, some rights reserved (CC-BY-NC)
Scolopostethus thomsoni
©Ryzhkov Oleg, some rights reserved (CC-BY-NC)
Scolopostethus thomsoni
©jfb22, some rights reserved (CC-BY-NC)
Scolopostethus thomsoni
©jfb22, some rights reserved (CC-BY-NC)
Scolopostethus thomsoni
©jfb22, some rights reserved (CC-BY-NC)
Scolopostethus thomsoni
©jfb22, some rights reserved (CC-BY-NC)
Scolopostethus thomsoni
©Olli Pihlajamaa, some rights reserved (CC-BY-NC)
Scolopostethus thomsoni
©Thorsten Usée, some rights reserved (CC-BY-NC)
Scolopostethus thomsoni
©Thorsten Usée, some rights reserved (CC-BY-NC)
Scolopostethus thomsoni
©Thorsten Usée, some rights reserved (CC-BY-NC)
Scolopostethus thomsoni
©Thorsten Usée, some rights reserved (CC-BY-NC)
Scolopostethus thomsoni
©Thorsten Usée, some rights reserved (CC-BY-NC)
Scolopostethus thomsoni
©Thorsten Usée, some rights reserved (CC-BY-NC)
Scolopostethus thomsoni
©Thorsten Usée, some rights reserved (CC-BY-NC)
Scolopostethus thomsoni
©Francis Birlenbach, some rights reserved (CC-BY-NC)
Scolopostethus thomsoni
©Francis Birlenbach, some rights reserved (CC-BY-NC)
Scolopostethus thomsoni
©robertweeden, some rights reserved (CC-BY-NC)
Scolopostethus thomsoni
©robertweeden, some rights reserved (CC-BY-NC)
Scolopostethus thomsoni
©robertweeden, some rights reserved (CC-BY-NC)
Scolopostethus thomsoni
©robertweeden, some rights reserved (CC-BY-NC)
Scolopostethus thomsoni
©Felix Riegel, some rights reserved (CC-BY-NC)
Scolopostethus thomsoni
©Felix Riegel, some rights reserved (CC-BY-NC)
Scolopostethus thomsoni
©Francis Birlenbach, some rights reserved (CC-BY-NC)
Scolopostethus thomsoni
©Francis Birlenbach, some rights reserved (CC-BY-NC)
Scolopostethus thomsoni
©Kevin Huntley, some rights reserved (CC-BY-NC)
Scolopostethus thomsoni
©Kevin Huntley, some rights reserved (CC-BY-NC)
Scolopostethus thomsoni
©Kevin Huntley, some rights reserved (CC-BY-NC)
Scolopostethus thomsoni
©Kevin Huntley, some rights reserved (CC-BY-NC)
Scolopostethus thomsoni
©John H. Bratton, some rights reserved (CC-BY-NC)
Scolopostethus thomsoni
©John H. Bratton, some rights reserved (CC-BY-NC)
Scolopostethus thomsoni
©John H. Bratton, some rights reserved (CC-BY-NC)
Scolopostethus thomsoni
©John H. Bratton, some rights reserved (CC-BY-NC)
Scolopostethus thomsoni
©Rob Westerduijn, some rights reserved (CC-BY-NC)
Scolopostethus thomsoni
©Rob Westerduijn, some rights reserved (CC-BY-NC)
Scolopostethus thomsoni
©Rob Westerduijn, some rights reserved (CC-BY-NC)
Scolopostethus thomsoni
©Bernard Noguès, some rights reserved (CC-BY-NC)
Scolopostethus thomsoni
©Bernard Noguès, some rights reserved (CC-BY-NC)
Scolopostethus thomsoni
©Rob Westerduijn, some rights reserved (CC-BY-NC)
Scolopostethus thomsoni
©Rob Westerduijn, some rights reserved (CC-BY-NC)
Scolopostethus thomsoni
©Rob Westerduijn, some rights reserved (CC-BY-NC)
Scolopostethus thomsoni
©jfb22, some rights reserved (CC-BY-NC)
Scolopostethus thomsoni
©jfb22, some rights reserved (CC-BY-NC)
Scolopostethus thomsoni
©jfb22, some rights reserved (CC-BY-NC)
Scolopostethus thomsoni
©Mia Petersen, some rights reserved (CC-BY-NC)
Scolopostethus thomsoni
©Mia Petersen, some rights reserved (CC-BY-NC)
Scolopostethus thomsoni
©Rob Westerduijn, some rights reserved (CC-BY-NC)
Scolopostethus thomsoni
©Rob Westerduijn, some rights reserved (CC-BY-NC)
Scolopostethus thomsoni
©Rob Westerduijn, some rights reserved (CC-BY-NC)
Scolopostethus thomsoni
©Rob Westerduijn, some rights reserved (CC-BY-NC)
Scolopostethus thomsoni
©Rob Westerduijn, some rights reserved (CC-BY-NC)
Scolopostethus thomsoni
©Rob Westerduijn, some rights reserved (CC-BY-NC)
Scolopostethus thomsoni
©Rob Westerduijn, some rights reserved (CC-BY-NC)
Scolopostethus thomsoni
©Rob Westerduijn, some rights reserved (CC-BY-NC)
Scolopostethus thomsoni
©Rob Westerduijn, some rights reserved (CC-BY-NC)
Scolopostethus thomsoni
©Rob Westerduijn, some rights reserved (CC-BY-NC)
Scolopostethus thomsoni
©Rob Westerduijn, some rights reserved (CC-BY-NC)
Scolopostethus thomsoni
©Rob Westerduijn, some rights reserved (CC-BY-NC)
Scolopostethus thomsoni
©Rob Westerduijn, some rights reserved (CC-BY-NC)
Scolopostethus thomsoni
©Rob Westerduijn, some rights reserved (CC-BY-NC)
Scolopostethus thomsoni
©Rob Westerduijn, some rights reserved (CC-BY-NC)