Scolopsis margaritifera: taxon details and analytics
- Domain
- Kingdom
- Animalia
- Phylum
- Chordata
- Class
- Actinopterygii
- Order
- Acanthuriformes
- Family
- Nemipteridae
- Genus
- Scolopsis
- Species
- Scolopsis margaritifera
- Scientific Name
- Scolopsis margaritifera
Summary description from Wikipedia:
Scolopsis margaritifera
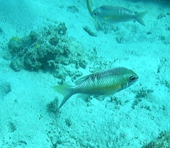
Scolopsis margaritifera, the pearly monocle bream or pearly spinecheek, is a species of marine ray-finned fish belonging to the family Nemipteridae, the threadfin breams. This fish is found in the marginally in the eastern Indian Ocean and in the western Pacific Ocean.
...Scolopsis margaritifera in languages:
- Chinese
- 珠斑眶棘鱸
- Chinese
- 珠斑赤尾冬
- Chinese
- 紅尾冬仔
- Czech
- špičatník perleťový
- English
- Pearly monocle bream
- English
- Pearly Spine-cheek
- English
- Pearly Spinecheek
- French
- Scolopsis nacré
- Italian
- Nemiptero perlato
- Japanese
- シンジュタマガシラ
- Russian
- Жемчужный сколопс
Images from inaturalist.org observations:
We recommend you sign up for this excellent, free service.
Parent Taxon
Sibling Taxa
- Scolopsis affinis
- Scolopsis aurata
- Scolopsis bilineata
- Scolopsis bimaculata
- Scolopsis ciliata
- Scolopsis curite
- Scolopsis frenata
- Scolopsis ghanam
- Scolopsis japonica
- Scolopsis lacrima
- Scolopsis lineata
- Scolopsis margaritifera
- Scolopsis meridiana
- Scolopsis monogramma
- Scolopsis taeniata
- Scolopsis taenioptera
- Scolopsis temporalis
- Scolopsis trilineata
- Scolopsis vosmeri
- Scolopsis xenochrous































































































































































