Scuticaria tigrina: taxon details and analytics
- Domain
- Kingdom
- Animalia
- Phylum
- Chordata
- Class
- Actinopterygii
- Order
- Anguilliformes
- Family
- Muraenidae
- Genus
- Scuticaria
- Species
- Scuticaria tigrina
- Scientific Name
- Scuticaria tigrina
Summary description from Wikipedia:
Scuticaria tigrina
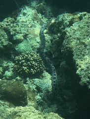
Scuticaria tigrina is a moray eel found in coral reefs in the Pacific and Indian Oceans. It is commonly known as the tiger reef-eel, tiger snake moray, tiger moray eel, tiger moray, tiger eel, spotted eel, or the spotted snake moray. It has distinctive black spots and stripes resembling tiger marks and is known to camouflage within the reef environment.
...Scuticaria tigrina in languages:
- Chinese
- 虎斑鞭尾鯙
- Chinese
- 虎斑鞭尾鱔
- Chinese
- 虎斑長圓鯙
- Chinese
- 錢鰻
- Chinese
- 薯鰻
- Chinese
- 虎鰻
- Chinese
- 糬鰻
- English
- Tiger Moray
- English
- Tiger Snake Moray
- English
- Tiger reef eel
- English
- Tiger Snakemoray
- French
- Murène tigre
- German
- Große Tigermuräne
- Italian
- Murena tigre
- Japanese
- モヨウキカイウツボ
Images from inaturalist.org observations:
We recommend you sign up for this excellent, free service.














































































































































