Selenophorus discopunctatus: taxon details and analytics
- Domain
- Kingdom
- Animalia
- Phylum
- Arthropoda
- Class
- Insecta
- Order
- Coleoptera
- Family
- Carabidae
- Genus
- Selenophorus
- Species
- Selenophorus discopunctatus
- Scientific Name
- Selenophorus discopunctatus
Summary description from Wikipedia:
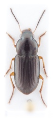
Selenophorus discopunctatus
Selenophorus discopunctatus is a species of ground beetle in the family Carabidae. It is found in North America.
...Parent Taxon
Sibling Taxa
- Celiamorphus
- Selenophorus adjunctus
- Selenophorus aeneopiceus
- Selenophorus aequinoctialis
- Selenophorus alternans
- Selenophorus assimilis
- Selenophorus blanchardi
- Selenophorus breviusculus
- Selenophorus chaparralus
- Selenophorus concinnus
- Selenophorus contractus
- Selenophorus cupreolus
- Selenophorus discoderoides
- Selenophorus discopunctatus
- Selenophorus ellipticus
- Selenophorus elongatus
- Selenophorus elytrostictus
- Selenophorus fabricii
- Selenophorus famulus
- Selenophorus fatuus
- Selenophorus flavipes
- Selenophorus fossulatus
- Selenophorus gagatinus
- Selenophorus galapagoensis
- Selenophorus granarius
- Selenophorus hepburni
- Selenophorus houstoni
- Selenophorus hylacis
- Selenophorus implicans
- Selenophorus integer
- Selenophorus intermedius
- Selenophorus laesus
- Selenophorus latior
- Selenophorus maritimus
- Selenophorus mexicanus
- Selenophorus municeps
- Selenophorus nanulus
- Selenophorus obscuricornis
- Selenophorus opalinus
- Selenophorus otiosus
- Selenophorus palliatus
- Selenophorus parumpunctatus
- Selenophorus parvus
- Selenophorus pedicularius
- Selenophorus planipennis
- Selenophorus punctatulus
- Selenophorus pyritosus
- Selenophorus riparius
- Selenophorus sallei
- Selenophorus schaefferi
- Selenophorus scolopaceus
- Selenophorus semirufus
- Selenophorus seriatoporus
- Selenophorus sinuaticollis
- Selenophorus splendidus
- Selenophorus striatopunctatus
- Selenophorus suavis
- Selenophorus subsinuatus
- Selenophorus subtropicus
- Selenophorus tarsalis
- Selenophorus trepidus
- Selenophorus tubericauda
- Selenophorus woodruffi
- Selenophorus yucatanus

