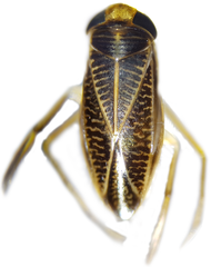
Sigara hellensii: taxon details and analytics
- Domain
- Kingdom
- Animalia
- Phylum
- Arthropoda
- Class
- Insecta
- Order
- Hemiptera
- Family
- Corixidae
- Genus
- Sigara
- Species
- Sigara hellensii
- Scientific Name
- Sigara hellensii
Summary description from Wikipedia:
Beeksigaar
De beeksigaar (Sigara hellensii) is een wants uit de familie van de Corixidae (Duikerwantsen). De soort werd het eerst wetenschappelijk beschreven door Carl Reinhold Sahlberg in 1819.
...Sigara hellensii in languages:
- Czech
- klešťanka žlutočárná
- Finnish
- puropikkumalluainen
- Russian
- Сигара Хелленса
- Swedish
- bäckbuksimmare

