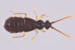
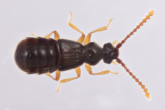
Sonoma mayori: taxon details and analytics
- Domain
- Kingdom
- Animalia
- Phylum
- Arthropoda
- Class
- Insecta
- Order
- Coleoptera
- Family
- Staphylinidae
- Genus
- Sonoma
- Species
- Sonoma mayori
- Scientific Name
- Sonoma mayori
Parent Taxon
Sibling Taxa
- Sonoma agitator
- Sonoma baylessae
- Sonoma cardiac
- Sonoma carltoni
- Sonoma cascadia
- Sonoma cataloochee
- Sonoma caterinoi
- Sonoma cavifrons
- Sonoma chandleri
- Sonoma chouljenkoi
- Sonoma cobra
- Sonoma colberti
- Sonoma conifera
- Sonoma corticina
- Sonoma cuneata
- Sonoma cygnus
- Sonoma dilopha
- Sonoma dolabra
- Sonoma gimmeli
- Sonoma hespera
- Sonoma holmesi
- Sonoma humilis
- Sonoma isabellae
- Sonoma konkoworum
- Sonoma margemina
- Sonoma maryae
- Sonoma mayori
- Sonoma nicholsae
- Sonoma olycalida
- Sonoma parviceps
- Sonoma petersi
- Sonoma priocera
- Sonoma quellazaire
- Sonoma repanda
- Sonoma rossellinae
- Sonoma rubida
- Sonoma russelli
- Sonoma spadica
- Sonoma squamishorum
- Sonoma stewarti
- Sonoma tishechkini
- Sonoma tolulae
- Sonoma twaini
- Sonoma vanna
- Sonoma virgo

