Sophona snellingi: taxon details and analytics
- Domain
- Kingdom
- Animalia
- Phylum
- Arthropoda
- Class
- Insecta
- Order
- Lepidoptera
- Family
- Sesiidae
- Genus
- Sophona
- Species
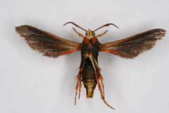
- Sophona snellingi
- Scientific Name
- Sophona snellingi
Parent Taxon
Sibling Taxa
- Sophona albibasilaris
- Sophona canzona
- Sophona ceropaliformis
- Sophona cyanomyia
- Sophona ezodda
- Sophona falvizonata
- Sophona fusca
- Sophona galba
- Sophona gilvifasciata
- Sophona greenfieldi
- Sophona halictipennis
- Sophona hoffmanni
- Sophona hondurasensis
- Sophona lemoulti
- Sophona leucoteles
- Sophona ludtkei
- Sophona manoba
- Sophona panzona
- Sophona pedipennula
- Sophona piperi
- Sophona snellingi
- Sophona tabogana
- Sophona xanthocera
- Sophona xanthotarsis
- Sophona yucatanensis
- Sophona zukowskyi



