Stenodema vicinum: taxon details and analytics
- Domain
- Kingdom
- Animalia
- Phylum
- Arthropoda
- Class
- Insecta
- Order
- Hemiptera
- Family
- Miridae
- Genus
- Stenodema
- Species
- Stenodema vicinum
- Scientific Name
- Stenodema vicinum
Summary description from Wikipedia:
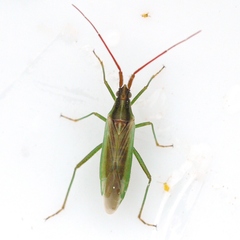
Stenodema vicinum
Stenodema vicinum is a species of true bug in the Miridae family that feeds on the grass blades of Muhlenbergia schreberi (nimblewill).
This species has been implicated in "silver top" damage to grass seed crops. This and other bugs of the Stenodema genus were found to feed on grass stems by puncturing the leaf sheaths.
...Images from inaturalist.org observations:
We recommend you sign up for this excellent, free service.
































