Stenus: taxon details and analytics
- Domain
- Kingdom
- Animalia
- Phylum
- Arthropoda
- Class
- Insecta
- Order
- Coleoptera
- Family
- Staphylinidae
- Genus
- Stenus
- Species
- Scientific Name
- Stenus
Summary description from Wikipedia:
Stenus
Stenus is a genus of semiaquatic rove beetles in the subfamily Steninae, and one of the largest genera in the kingdom Animalia, with some 3100 known species worldwide (only the beetle genus Agrilus is comparable in size). They are predators of Collembola and other small arthropods. Adults have a protrusible labium with a sticky tip used in prey capture. To overcome the rapid escape of Collembola, the labium is protruded at high speed (1-3 ms in Stenus comma) by hemolymph pressure, and immediately withdrawn (withdrawn in 30-40 ms in Stenus comma), pulling the prey within the range of the mandibles. However, the labium tip does not easily stick to prey covered in scales or setae or that have a large body size. Stenus comma is more likely to catch such prey by lunging forward and grabbing them directly with its mandibles rather than using its labium. Stenus species are also known for "skimming" on the water surface using their pygidial gland secretions that act as a surfactant and rapidly propel the beetle fast forward, a phenomenon known as the Marangoni effect. Stenus comma has been seen to achieve a velocity of 0.75 m/s, and to cover a distance of up to 15 m if the secretion is continuous.
...Stenus in languages:
- Estonian
- Punnsilmad
- Finnish
- nupiaiset
- Korean
- 딱부리반날개속
- Russian
- Стафилины узкие
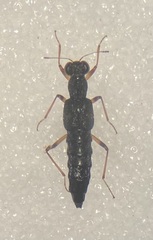
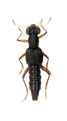
Images from inaturalist.org observations:
We recommend you sign up for this excellent, free service.
Parent Taxon
Child Taxa
- Stenus acamapichtli
- Stenus aceris
- Stenus aculeatus
- Stenus addendus
- Stenus advena
- Stenus ageus
- Stenus alacer
- Stenus albipes
- Stenus alexanderi
- Stenus alienus
- Stenus alticola
- Stenus alumnus
- Stenus alumoenus
- Stenus alveolatus
- Stenus ambulator
- Stenus amissus
- Stenus angustus
- Stenus annularis
- Stenus appalachianus
- Stenus arculus
- Stenus ardoricola
- Stenus argus
- Stenus argutus
- Stenus arisanus
- Stenus asiaticus
- Stenus asphaltinus
- Stenus assequens
- Stenus ater
- Stenus aterrimus
- Stenus atratulus
- Stenus audax
- Stenus auricomus
- Stenus auriger
- Stenus auropubescens
- Stenus austini
- Stenus axayacatl
- Stenus bajulus
- Stenus baranowskii
- Stenus bifenestratus
- Stenus bifoveolatus
- Stenus biguttatus
- Stenus bilentigatus
- Stenus bilineatus
- Stenus bimaculatus
- Stenus binotatus
- Stenus bohemicus
- Stenus boops
- Stenus brighti
- Stenus brivioi
- Stenus brunnipes
- Stenus buccalis
- Stenus bullipennis
- Stenus caenicolus
- Stenus calcaratus
- Stenus californicus
- Stenus callidus
- Stenus callosifrons
- Stenus callosus
- Stenus canaliculatus
- Stenus capucinus
- Stenus carbonarius
- Stenus cariniceps
- Stenus carinicollis
- Stenus carpathicus
- Stenus cartwrighti
- Stenus caseyi
- Stenus cautus
- Stenus chalybeus
- Stenus cicindeloides
- Stenus circularis
- Stenus clarostigma
- Stenus clavicornis
- Stenus coarcticollis
- Stenus coeruleus
- Stenus colimamontis
- Stenus colon
- Stenus colonus
- Stenus columbianus
- Stenus comma
- Stenus confusus
- Stenus consentaneus
- Stenus cordatus
- Stenus coriaceus
- Stenus coronatus
- Stenus costipennis
- Stenus crassus
- Stenus cribiceps
- Stenus cribratus
- Stenus croceatus
- Stenus cruentus
- Stenus cubensis
- Stenus cuitlahuac
- Stenus curtus
- Stenus cylindricus
- Stenus dampfi
- Stenus difficilis
- Stenus dissentiens
- Stenus dissimilis
- Stenus doderoi
- Stenus dolosus
- Stenus egenoides
- Stenus egenulus
- Stenus egenus
- Stenus ellipticus
- Stenus emily
- Stenus eremitoides
- Stenus eremitus
- Stenus erythrocnemus
- Stenus erythropus
- Stenus eumerus
- Stenus europaeus
- Stenus excubitor
- Stenus exploratus
- Stenus exulans
- Stenus fasciculatus
- Stenus fellowesi
- Stenus femoratus
- Stenus figulus
- Stenus flavicornis
- Stenus flavidulus
- Stenus flavipalpis
- Stenus flavipes
- Stenus flohri
- Stenus formicetorum
- Stenus fornicatus
- Stenus fossulatus
- Stenus franki
- Stenus fraternus
- Stenus frequens
- Stenus frigidus
- Stenus fulvicornis
- Stenus fulvoguttatus
- Stenus fuscicornis
- Stenus fusciformis
- Stenus fuscipes
- Stenus gayndahensis
- Stenus geminorum
- Stenus geniculatus
- Stenus gentilis
- Stenus gilae
- Stenus glabellus
- Stenus glacialis
- Stenus godmani
- Stenus gracilipes
- Stenus gratiosus
- Stenus gusarovi
- Stenus guttula
- Stenus guttulifer
- Stenus hermani
- Stenus hispidus
- Stenus hospitalis
- Stenus hospitator
- Stenus hospitus
- Stenus hostifer
- Stenus hostiferoides
- Stenus hostificus
- Stenus hostilis
- Stenus huitzilhuitl
- Stenus humilis
- Stenus hyperboreus
- Stenus hypoproditor
- Stenus idoneus
- Stenus ignotus
- Stenus immarginatus
- Stenus impressus
- Stenus inanis
- Stenus incanus
- Stenus incognitus
- Stenus incrassatus
- Stenus insperatus
- Stenus insularis
- Stenus intermedius
- Stenus intrusus
- Stenus izcoatl
- Stenus jacuticus
- Stenus japonicus
- Stenus jelineki
- Stenus juno
- Stenus kamtschaticus
- Stenus kiesenwetteri
- Stenus koebelei
- Stenus kolbei
- Stenus kongsbergensis
- Stenus kryzhanovskii
- Stenus labilis
- Stenus laborator
- Stenus laccophilus
- Stenus laceratus
- Stenus laetipes
- Stenus laetulus
- Stenus latifrons
- Stenus latipennis
- Stenus latissimus
- Stenus leechi
- Stenus limatulus
- Stenus limicola
- Stenus longipes
- Stenus longitarsis
- Stenus longiventris
- Stenus ludyi
- Stenus lugens
- Stenus lustrator
- Stenus macilentus
- Stenus maculatus
- Stenus maculiger
- Stenus mammops
- Stenus maritimus
- Stenus mediocris
- Stenus melanarius
- Stenus melanopus
- Stenus mendosus
- Stenus merkli
- Stenus metallicoides
- Stenus mexicanus
- Stenus moctezuma
- Stenus morio
- Stenus mundulus
- Stenus nanus
- Stenus neglectus
- Stenus nigritulus
- Stenus nimborum
- Stenus nitens
- Stenus nitidiusculus
- Stenus niveus
- Stenus noctivagus
- Stenus obscuripalpis
- Stenus obscuripes
- Stenus occidentalis
- Stenus ocellatus
- Stenus ochropus
- Stenus opticus
- Stenus orientis
- Stenus ossium
- Stenus pallipes
- Stenus pallitarsis
- Stenus palposus
- Stenus palustris
- Stenus papagonis
- Stenus parallelopipedus
- Stenus parcior
- Stenus paululus
- Stenus pauperculus
- Stenus perforatus
- Stenus personatus
- Stenus picipennis
- Stenus picipes
- Stenus pinguis
- Stenus piscator
- Stenus planatus
- Stenus planifrons
- Stenus plicipennis
- Stenus pluto
- Stenus podagricus
- Stenus pollens
- Stenus popocatepetlensis
- Stenus potosimontis
- Stenus pressus
- Stenus probus
- Stenus proditor
- Stenus providus
- Stenus pseudocoeruleus
- Stenus pterobrachys
- Stenus pubescens
- Stenus pudicus
- Stenus pueblanus
- Stenus pulcher
- Stenus pumilio
- Stenus punctatus
- Stenus pusillimus
- Stenus pusillus
- Stenus pustulifer
- Stenus quebecensis
- Stenus reconditus
- Stenus reitteri
- Stenus remotus
- Stenus renifer
- Stenus repletus
- Stenus retrusus
- Stenus rogeri
- Stenus rorellus
- Stenus rossi
- Stenus ruralis
- Stenus sagax
- Stenus sagittiformis
- Stenus scabiosus
- Stenus scabriculus
- Stenus scabripennis
- Stenus scabrosus
- Stenus scaenicus
- Stenus schmidti
- Stenus schneiderianus
- Stenus schwarzi
- Stenus scrupeus
- Stenus scruposus
- Stenus scrutator
- Stenus sculptilis
- Stenus sculptipennis
- Stenus scutiger
- Stenus seclusus
- Stenus sectator
- Stenus sectilifer
- Stenus semicolon
- Stenus shoshonis
- Stenus sibiricus
- Stenus similis
- Stenus solitarius
- Stenus solutus
- Stenus sordidatus
- Stenus sordidus
- Stenus spanglerianus
- Stenus sphaerops
- Stenus stellionator
- Stenus stigmula
- Stenus strandi
- Stenus strangulatus
- Stenus stygicus
- Stenus subaeneus
- Stenus subarcticus
- Stenus subhostilis
- Stenus sylvester
- Stenus tabascensis
- Stenus tahoensis
- Stenus tarsalis
- Stenus tenuis
- Stenus tizoc
- Stenus transsilvanicus
- Stenus tristis
- Stenus trochanterinus
- Stenus umbratilis
- Stenus varipes
- Stenus vastus
- Stenus venustus
- Stenus veracruzmontis
- Stenus vespertinus
- Stenus vestigialis
- Stenus vexatus
- Stenus vicinoides
- Stenus vicinus
- Stenus vinnulus
- Stenus wuesthoffi
- Stenus zunicoides
- Stenus zunicus































































































































































