Stictopleurus viridicatus: taxon details and analytics
- Domain
- Kingdom
- Animalia
- Phylum
- Arthropoda
- Class
- Insecta
- Order
- Hemiptera
- Family
- Rhopalidae
- Genus
- Stictopleurus
- Species
- Stictopleurus viridicatus
- Scientific Name
- Stictopleurus viridicatus
Summary description from Wikipedia:
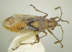
Stictopleurus viridicatus
Stictopleurus viridicatus is a species of scentless plant bug in the family Rhopalidae. It is found in North America.
...Images from inaturalist.org observations:
We recommend you sign up for this excellent, free service.
Parent Taxon
Sibling Taxa
- Stictopleurus abutilon
- Stictopleurus angustus
- Stictopleurus crassicornis
- Stictopleurus knighti
- Stictopleurus minutus
- Stictopleurus pictus
- Stictopleurus plutonius
- Stictopleurus punctatonervosus
- Stictopleurus punctiventris
- Stictopleurus ribauti
- Stictopleurus scutellaris
- Stictopleurus subtomentosus
- Stictopleurus synavei
- Stictopleurus unicolor
- Stictopleurus viridicatus

















