Stigmella populetorum: taxon details and analytics
- Domain
- Kingdom
- Animalia
- Phylum
- Arthropoda
- Class
- Insecta
- Order
- Lepidoptera
- Family
- Nepticulidae
- Genus
- Stigmella
- Species
- Stigmella populetorum
- Scientific Name
- Stigmella populetorum
Summary description from Wikipedia:
Stigmella populetorum
Stigmella populetorum is a moth of the family Nepticulidae. It is found in North America in Texas, Ohio, Kentucky, California, Ontario and British Columbia.
The wingspan is about 5 mm. Late instar larvae have been found in mid-June and August. Adults have been found from late June through to September. There are two and possibly three generation per year.
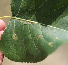
The larvae feed on Populus species, including Populus deltoides, Populus trichocarpa, Populus nigra italica and Populus x canadensis. They mine the leaves of their host plant.
...Images from inaturalist.org observations:
We recommend you sign up for this excellent, free service.
Parent Taxon
Sibling Taxa
- Stigmella arbusculae
- Stigmella aromella
- Stigmella assimilella
- Stigmella benanderella
- Stigmella fibigeri
- Stigmella fuscotibiella
- Stigmella myrtillella
- Stigmella obliquella
- Stigmella pallida
- Stigmella pallidiciliella
- Stigmella populetorum
- Stigmella salicis
- Stigmella sexcornuta
- Stigmella tranocrossa
- Stigmella trimaculella
- Stigmella vimineticola
- Stigmella vittata
- Stigmella zelleriella




















































































































