Stizocera: taxon details and analytics
- Domain
- Kingdom
- Animalia
- Phylum
- Arthropoda
- Class
- Insecta
- Order
- Coleoptera
- Family
- Cerambycidae
- Genus
- Stizocera
- Species
- Scientific Name
- Stizocera
Summary description from Wikipedia:
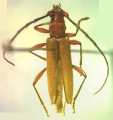
Stizocera
Images from inaturalist.org observations:
We recommend you sign up for this excellent, free service.
Parent Taxon
Sibling Taxa
- Adiposphaerion
- Aetheibidion
- Alicianella
- Allotraeus
- Ambonus
- Amethysphaerion
- Amorupi
- Anama
- Aneflomorpha
- Aneflus
- Anelaphus
- Anopliomorpha
- Anoplocurius
- Apoclausirion
- Aposphaerion
- Appula
- Apyrauna
- Armylaena
- Astromula
- Atesta
- Atharsus
- Atylostagma
- Centrocerum
- Citriphaga
- Clausirion
- Coleocoptus
- Conosphaeron
- Coptocercus
- Cordylomera
- Cotyperiboeum
- Cratericus
- Elaphidion
- Elaphidionopsis
- Enaphalodes
- Epithora
- Eurysthea
- Eustromula
- Ironeus
- Linsleyonides
- Mallocera
- Meganeflus
- Mephritus
- Metironeus
- Micraneflus
- Micranoplium
- Micropsyrassa
- Miltesthus
- Neaneflus
- Neomallocera
- Neoperiboeum
- Nephalioides
- Nephalius
- Nesanoplium
- Nesiosphaerion
- Nesodes
- Nyphasia
- Nyssicostylus
- Nyssicus
- Orion
- Orwellion
- Pantonyssus
- Paranyssicus
- Parastizocera
- Parelaphidion
- Periboeum
- Phoracantha
- Poecilomallus
- Porithodes
- Protomallocera
- Pseudomallocera
- Pseudoperiboeum
- Psyrassa
- Psyrassaforma
- Romulus
- Semiphoracantha
- Skeletodes
- Sphaerioeme
- Sphaerion
- Sphaerionillum
- Steata
- Stenelaphus
- Stenosphenus
- Stizocera
- Terpnissa
- Thoris
- Trichophoroides
- Tropimerus
Child Taxa
- Stizocera armata
- Stizocera asyka
- Stizocera consobrina
- Stizocera curacaoae
- Stizocera diversispinis
- Stizocera dozieri
- Stizocera floridana
- Stizocera insolita
- Stizocera jamaicensis
- Stizocera kawensis
- Stizocera meinerti
- Stizocera plicicollis
- Stizocera poeyi
- Stizocera rugicollis
- Stizocera submetallica
- Stizocera tristis
- Stizocera vanzwaluwenburgi





















