Stromatium barbatum: taxon details and analytics

Domain
Kingdom
Animalia
Phylum
Arthropoda
Class
Insecta
Order
Coleoptera
Family
Cerambycidae
Genus
Stromatium
Species
Stromatium barbatum
Scientific Name
Stromatium barbatum

Stromatium barbatum in languages:

English
Teak Trunk Borer

Images from inaturalist.org observations:

We recommend you sign up for this excellent, free service.

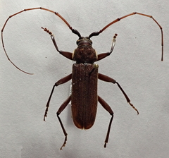
Stromatium barbatum
©rima71, some rights reserved (CC-BY-NC)
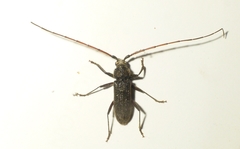
Stromatium barbatum
©Vijay Anand Ismavel, some rights reserved (CC-BY-NC)
Stromatium barbatum
©Vijay Anand Ismavel, some rights reserved (CC-BY-NC)
Stromatium barbatum
©Jacky Lien., some rights reserved (CC-BY-NC-ND)
Stromatium barbatum
©Jacky Lien., some rights reserved (CC-BY-NC-ND)
Stromatium barbatum
©Jacky Lien., some rights reserved (CC-BY-NC-ND)
Stromatium barbatum
©Wasini Tour Guide, some rights reserved (CC-BY-NC)
Stromatium barbatum
©Tobias Seifert, some rights reserved (CC-BY-NC)
Stromatium barbatum
©Rainer Peter Yusuf Vierkoetter, some rights reserved (CC-BY-NC)
Stromatium barbatum
©Rainer Peter Yusuf Vierkoetter, some rights reserved (CC-BY-NC)
Stromatium barbatum
©Otto Bylén Claesson, some rights reserved (CC-BY-NC)
Stromatium barbatum
©Subhajit Roy, some rights reserved (CC-BY-NC-ND)
Stromatium barbatum
©tapaculo99, some rights reserved (CC-BY-NC)
Stromatium barbatum
©tapaculo99, some rights reserved (CC-BY-NC)
Stromatium barbatum
©leithallb, some rights reserved (CC-BY-NC)
Stromatium barbatum
©Amila P Sumanapala, some rights reserved (CC-BY-NC)
Stromatium barbatum
©Jaya Rakesh, some rights reserved (CC0)
Stromatium barbatum
©Amila P Sumanapala, some rights reserved (CC-BY-NC)
Stromatium barbatum
©Amila P Sumanapala, some rights reserved (CC-BY-NC)
Stromatium barbatum
©Aleksey, some rights reserved (CC-BY-NC)
Stromatium barbatum
©Pete Woodall, some rights reserved (CC-BY-NC)
Stromatium barbatum
©Anubhav Agarwal, some rights reserved (CC-BY-NC)
Stromatium barbatum
©Anubhav Agarwal, some rights reserved (CC-BY-NC)
Stromatium barbatum
©Chandu Bandi, some rights reserved (CC-BY)
Stromatium barbatum
©Chandu Bandi, some rights reserved (CC-BY)
Stromatium barbatum
©Chandu Bandi, some rights reserved (CC-BY)
Stromatium barbatum
©Chandu Bandi, some rights reserved (CC-BY)
Stromatium barbatum
©Subhadra Devi, some rights reserved (CC-BY)
Stromatium barbatum
©Subhadra Devi, some rights reserved (CC-BY)
Stromatium barbatum
©Subhadra Devi, some rights reserved (CC-BY)
Stromatium barbatum
©Subhadra Devi, some rights reserved (CC-BY)
Stromatium barbatum
©Gaurav S Soman, some rights reserved (CC-BY)
Stromatium barbatum
©Chandu Bandi, some rights reserved (CC-BY)
Stromatium barbatum
©Chandu Bandi, some rights reserved (CC-BY)
Stromatium barbatum
©Aniruddha Singhamahapatra, some rights reserved (CC-BY-NC)
Stromatium barbatum
©Anubhav Agarwal, some rights reserved (CC-BY-NC)
Stromatium barbatum
©Anubhav Agarwal, some rights reserved (CC-BY-NC)
Stromatium barbatum
©Anubhav Agarwal, some rights reserved (CC-BY-NC)
Stromatium barbatum
©Anubhav Agarwal, some rights reserved (CC-BY-NC)
Stromatium barbatum
©Ramnarayan K, some rights reserved (CC-BY)
Stromatium barbatum
©Ramnarayan K, some rights reserved (CC-BY)
Stromatium barbatum
©Ramnarayan K, some rights reserved (CC-BY)
Stromatium barbatum
©N. Mahathi, some rights reserved (CC-BY-NC)
Stromatium barbatum
©Subhajit Roy, some rights reserved (CC-BY-NC-ND)
Stromatium barbatum
©sspasricha, some rights reserved (CC-BY-NC)
Stromatium barbatum
©Anubhav Agarwal, some rights reserved (CC-BY-NC)
Stromatium barbatum
©Anubhav Agarwal, some rights reserved (CC-BY-NC)
Stromatium barbatum
©Ekadh Ranganathan, some rights reserved (CC-BY-NC)
Stromatium barbatum
©Balakrishnan Ram, some rights reserved (CC-BY-NC)
Stromatium barbatum
©vishnu sankar, some rights reserved (CC-BY-NC)
Stromatium barbatum
©Anura, some rights reserved (CC-BY-NC)
Stromatium barbatum
©Tanusree B, some rights reserved (CC-BY-NC)
Stromatium barbatum
©Tanusree B, some rights reserved (CC-BY-NC)
Stromatium barbatum
©Tanusree B, some rights reserved (CC-BY-NC)
Stromatium barbatum
©Ankur Nandi, some rights reserved (CC-BY)
Stromatium barbatum
©Subbu Ramanathan, some rights reserved (CC-BY-NC)
Stromatium barbatum
©Chandu Bandi, some rights reserved (CC-BY)
Stromatium barbatum
©Chandu Bandi, some rights reserved (CC-BY)
Stromatium barbatum
©Chandu Bandi, some rights reserved (CC-BY)
Stromatium barbatum
©Sabarni Sarker, some rights reserved (CC-BY-NC-ND)
Stromatium barbatum
©Sabarni Sarker, some rights reserved (CC-BY-NC-ND)
Stromatium barbatum
©Sabarni Sarker, some rights reserved (CC-BY-NC-ND)
Stromatium barbatum
©Sabarni Sarker, some rights reserved (CC-BY-NC-ND)
Stromatium barbatum
©Subhajit Roy, some rights reserved (CC-BY-NC-ND)
Stromatium barbatum
©Vinod Borse, some rights reserved (CC-BY-NC)
Stromatium barbatum
©Martin Woodward, some rights reserved (CC-BY-NC)
Stromatium barbatum
©Martin Woodward, some rights reserved (CC-BY-NC)
Stromatium barbatum
©Martin Woodward, some rights reserved (CC-BY-NC)
Stromatium barbatum
©Ramnarayan K, some rights reserved (CC-BY)
Stromatium barbatum
©Ramnarayan K, some rights reserved (CC-BY)
Stromatium barbatum
©moovendankings, some rights reserved (CC-BY-NC)
Stromatium barbatum
©moovendankings, some rights reserved (CC-BY-NC)
Stromatium barbatum
©Vivek Kumar Patel, some rights reserved (CC-BY-NC)
Stromatium barbatum
©Mohammad Marafi, some rights reserved (CC-BY-NC)
Stromatium barbatum
©Mohammad Marafi, some rights reserved (CC-BY-NC)
Stromatium barbatum
©Anubhav Agarwal, some rights reserved (CC-BY-NC)
Stromatium barbatum
©Anubhav Agarwal, some rights reserved (CC-BY-NC)
Stromatium barbatum
©Anubhav Agarwal, some rights reserved (CC-BY-NC)
Stromatium barbatum
©Mahesh A, some rights reserved (CC-BY-NC)
Stromatium barbatum
©Hopeland, some rights reserved (CC-BY)
Stromatium barbatum
©Hopeland, some rights reserved (CC-BY)
Stromatium barbatum
©Hopeland, some rights reserved (CC-BY)
Stromatium barbatum
©Hopeland, some rights reserved (CC-BY)
Stromatium barbatum
©Hopeland, some rights reserved (CC-BY)
Stromatium barbatum
©Hopeland, some rights reserved (CC-BY)
Stromatium barbatum
©Stephane Philizot, some rights reserved (CC-BY-NC)
Stromatium barbatum
©Stephane Philizot, some rights reserved (CC-BY-NC)
Stromatium barbatum
©Ankur Nandi, some rights reserved (CC-BY)
Stromatium barbatum
©amzblr, some rights reserved (CC-BY-NC)
Stromatium barbatum
©amzblr, some rights reserved (CC-BY-NC)
Stromatium barbatum
©Subhadra Devi, some rights reserved (CC-BY)
Stromatium barbatum
©Anubhav Agarwal, some rights reserved (CC-BY-NC)
Stromatium barbatum
©Anubhav Agarwal, some rights reserved (CC-BY-NC)
Stromatium barbatum
©N P, some rights reserved (CC-BY)
Stromatium barbatum
©N P, some rights reserved (CC-BY)
Stromatium barbatum
©amzblr, some rights reserved (CC-BY-NC)
Stromatium barbatum
©amzblr, some rights reserved (CC-BY-NC)
Stromatium barbatum
©Shyamal, some rights reserved (CC-BY-SA)
Stromatium barbatum
©Shyamal, some rights reserved (CC-BY-SA)
Stromatium barbatum
©Shyamal, some rights reserved (CC-BY-SA)
Stromatium barbatum
©Shyamal, some rights reserved (CC-BY-SA)
Stromatium barbatum
©Shyamal, some rights reserved (CC-BY-SA)
Stromatium barbatum
©Shyamal, some rights reserved (CC-BY-SA)
Stromatium barbatum
©Kartik Sundar, some rights reserved (CC-BY-NC)
Stromatium barbatum
©Kartik Sundar, some rights reserved (CC-BY-NC)
Stromatium barbatum
©Kartik Sundar, some rights reserved (CC-BY-NC)
Stromatium barbatum
©Kartik Sundar, some rights reserved (CC-BY-NC)
Stromatium barbatum
©Kartik Sundar, some rights reserved (CC-BY-NC)
Stromatium barbatum
©Kartik Sundar, some rights reserved (CC-BY-NC)
Stromatium barbatum
©Sanjog Sahu, some rights reserved (CC-BY-NC)

Parent Taxon

Top Observation Places