Strongylium cribripes: taxon details and analytics
- Domain
- Kingdom
- Animalia
- Phylum
- Arthropoda
- Class
- Insecta
- Order
- Coleoptera
- Family
- Tenebrionidae
- Genus
- Strongylium
- Species
- Strongylium cribripes
- Scientific Name
- Strongylium cribripes
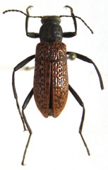
Images from inaturalist.org observations:
We recommend you sign up for this excellent, free service.
Parent Taxon
Sibling Taxa
- Strongylium aciculare
- Strongylium albopilosum
- Strongylium anthrax
- Strongylium apache
- Strongylium apicicorne
- Strongylium aratum
- Strongylium atrum
- Strongylium aulicum
- Strongylium auratum
- Strongylium aurichalceum
- Strongylium basale
- Strongylium basifemoratum
- Strongylium bicolor
- Strongylium bifoveolatum
- Strongylium bivittatum
- Strongylium carbonarium
- Strongylium chalconotum
- Strongylium championi
- Strongylium chontalense
- Strongylium cinctum
- Strongylium claudum
- Strongylium comptum
- Strongylium crenatum
- Strongylium cribripes
- Strongylium cruentatum
- Strongylium cultellatum
- Strongylium cupreocinctum
- Strongylium decoratum
- Strongylium delauneyi
- Strongylium erythrocephalum
- Strongylium erythropterum
- Strongylium excavatum
- Strongylium exile
- Strongylium flavicorne
- Strongylium flavicrus
- Strongylium fujianense
- Strongylium fulminans
- Strongylium fuscovestitum
- Strongylium gerstaeckeri
- Strongylium gibbosulum
- Strongylium haemorrhoidale
- Strongylium hemistriatum
- Strongylium hoepfneri
- Strongylium humerale
- Strongylium ignitum
- Strongylium jucundum
- Strongylium laterale
- Strongylium limbatum
- Strongylium longissimum
- Strongylium luteicorne
- Strongylium macrops
- Strongylium maculicolle
- Strongylium martensi
- Strongylium masatakai
- Strongylium nitidiceps
- Strongylium nobile
- Strongylium permodicum
- Strongylium purpureipenne
- Strongylium quadrimaculatum
- Strongylium rubripenne
- Strongylium rufipenne
- Strongylium rufipes
- Strongylium sallaei
- Strongylium schenklingi
- Strongylium simplicipes
- Strongylium subcostatum
- Strongylium tenuicolle
- Strongylium terminatum
- Strongylium testaceotibiale
- Strongylium tricondyloides
- Strongylium triplagiatum
- Strongylium triundulatum
- Strongylium undulatum
- Strongylium ustulatum
- Strongylium violaceum
- Strongylium viridicolle
- Strongylium westermanni











