Sylvicola alternatus: taxon details and analytics

Domain
Kingdom
Animalia
Phylum
Arthropoda
Class
Insecta
Order
Diptera
Family
Anisopodidae
Genus
Sylvicola
Species
Sylvicola alternatus
Scientific Name
Sylvicola alternatus

Summary description from Wikipedia:

Sylvicola alternatus

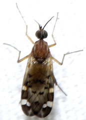
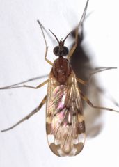
Sylvicola alternatus is a species of wood gnat in the family Anisopodidae. It is found in states between Wisconsin and Maine and between Texas and Georgia.

...
 

Images from inaturalist.org observations:

We recommend you sign up for this excellent, free service.

Sylvicola alternatus
©Van Remsen, some rights reserved (CC-BY-NC)
Sylvicola alternatus
©milbergn, some rights reserved (CC-BY-NC)
Sylvicola alternatus
©milbergn, some rights reserved (CC-BY-NC)
Sylvicola alternatus
©milbergn, some rights reserved (CC-BY-NC)
Sylvicola alternatus
©milbergn, some rights reserved (CC-BY-NC)
Sylvicola alternatus
©Claire O'Neill, some rights reserved (CC-BY-NC)
Sylvicola alternatus
©Claire O'Neill, some rights reserved (CC-BY-NC)
Sylvicola alternatus
©Claire O'Neill, some rights reserved (CC-BY-NC)
Sylvicola alternatus
©smirnova_ep, some rights reserved (CC-BY-NC)
Sylvicola alternatus
©smirnova_ep, some rights reserved (CC-BY-NC)
Sylvicola alternatus
©Adam Kohl, some rights reserved (CC-BY-NC)
Sylvicola alternatus
©leealloway, some rights reserved (CC-BY-NC)
Sylvicola alternatus
©Mark Schellekens, some rights reserved (CC-BY-NC)
Sylvicola alternatus
©mmacnair13, some rights reserved (CC-BY-NC)
Sylvicola alternatus
©rosa1chinensis, some rights reserved (CC-BY-NC)
Sylvicola alternatus
©Allen Barlow, some rights reserved (CC-BY-NC)
Sylvicola alternatus
©Van Remsen, some rights reserved (CC-BY-NC)
Sylvicola alternatus
©Van Remsen, some rights reserved (CC-BY-NC)
Sylvicola alternatus
©liali, some rights reserved (CC-BY-NC)
Sylvicola alternatus
©Van Remsen, some rights reserved (CC-BY-NC)
Sylvicola alternatus
©Kyle Aldinger, some rights reserved (CC-BY-NC)
Sylvicola alternatus
©Jonathan Y, some rights reserved (CC-BY-NC)
Sylvicola alternatus
©Bernie Paquette, some rights reserved (CC-BY)
Sylvicola alternatus
©Bernie Paquette, some rights reserved (CC-BY)
Sylvicola alternatus
©David Rankin, some rights reserved (CC-BY-NC)
Sylvicola alternatus
©Carol, some rights reserved (CC-BY-NC)
Sylvicola alternatus
©Carol, some rights reserved (CC-BY-NC)
Sylvicola alternatus
©Steve Pelikan, some rights reserved (CC-BY-NC)
Sylvicola alternatus
©Katja Schulz, some rights reserved (CC-BY)
Sylvicola alternatus
©Katja Schulz, some rights reserved (CC-BY)
Sylvicola alternatus
©Steve King, some rights reserved (CC-BY-NC)
Sylvicola alternatus
©Zachary Dankowicz, some rights reserved (CC-BY-NC)
Sylvicola alternatus
©Zachary Dankowicz, some rights reserved (CC-BY-NC)
Sylvicola alternatus
©Zachary Dankowicz, some rights reserved (CC-BY-NC)
Sylvicola alternatus
©Mark Rosenstein, some rights reserved (CC-BY-NC-SA)
Sylvicola alternatus
©Matthew O'Donnell, some rights reserved (CC-BY-NC-SA)
Sylvicola alternatus
©Matthew O'Donnell, some rights reserved (CC-BY-NC-SA)
Sylvicola alternatus
©Matthew O'Donnell, some rights reserved (CC-BY-NC-SA)
Sylvicola alternatus
©molanic, some rights reserved (CC-BY-NC)
Sylvicola alternatus
©Nick Block, some rights reserved (CC-BY)
Sylvicola alternatus
©molanic, some rights reserved (CC-BY-NC)
Sylvicola alternatus
©molanic, some rights reserved (CC-BY-NC)
Sylvicola alternatus
©Katja Schulz, some rights reserved (CC-BY)
Sylvicola alternatus
©psweet, some rights reserved (CC-BY-SA)
Sylvicola alternatus
©Katja Schulz, some rights reserved (CC-BY)
Sylvicola alternatus
©bob15noble, some rights reserved (CC-BY-NC)
Sylvicola alternatus
©John P Friel, some rights reserved (CC-BY)
Sylvicola alternatus
©Katja Schulz, some rights reserved (CC-BY)
Sylvicola alternatus
©Peter Hollinger, some rights reserved (CC-BY-NC)
Sylvicola alternatus
©Patrick Coin, some rights reserved (CC-BY-NC)
Sylvicola alternatus
©Shawn Goodchild, some rights reserved (CC-BY-NC)
Sylvicola alternatus
©Matthew O'Donnell, some rights reserved (CC-BY-NC-SA)
Sylvicola alternatus
©Laura Berry, some rights reserved (CC-BY-NC)
Sylvicola alternatus
©Steve Pelikan, some rights reserved (CC-BY-NC)
Sylvicola alternatus
©Matthew O'Donnell, some rights reserved (CC-BY-NC-SA)
Sylvicola alternatus
©bob15noble, some rights reserved (CC-BY-NC)
Sylvicola alternatus
©Even Dankowicz, some rights reserved (CC-BY)
Sylvicola alternatus
©Bea Leiderman, some rights reserved (CC-BY-NC)
Sylvicola alternatus
©Diane P. Brooks, some rights reserved (CC-BY-NC-SA)
Sylvicola alternatus
©Diane P. Brooks, some rights reserved (CC-BY-NC-SA)
Sylvicola alternatus
©Diane P. Brooks, some rights reserved (CC-BY-NC-SA)
Sylvicola alternatus
©Ken Kneidel, some rights reserved (CC0)
Sylvicola alternatus
©Martha O'Kennon, some rights reserved (CC-BY-NC)
Sylvicola alternatus
©Ken Kneidel, some rights reserved (CC0)
Sylvicola alternatus
©Ken Kneidel, some rights reserved (CC0)
Sylvicola alternatus
©Ken Kneidel, some rights reserved (CC0)
Sylvicola alternatus
©Ken Kneidel, some rights reserved (CC0)
Sylvicola alternatus
©logpark, some rights reserved (CC-BY-NC)
Sylvicola alternatus
©Dennis White, some rights reserved (CC-BY-NC)
Sylvicola alternatus
©Dennis White, some rights reserved (CC-BY-NC)
Sylvicola alternatus
©Dennis White, some rights reserved (CC-BY-NC)
Sylvicola alternatus
©Dennis White, some rights reserved (CC-BY-NC)
Sylvicola alternatus
©Dennis White, some rights reserved (CC-BY-NC)
Sylvicola alternatus
©Scarlette Atchison, some rights reserved (CC-BY-NC)
Sylvicola alternatus
©dbeadle, some rights reserved (CC-BY-NC)
Sylvicola alternatus
©Susanna Heideman, some rights reserved (CC-BY-NC)
Sylvicola alternatus
©Susanna Heideman, some rights reserved (CC-BY-NC)
Sylvicola alternatus
©Allison Ferris, some rights reserved (CC-BY-NC-ND)
Sylvicola alternatus
©Eric Giles, some rights reserved (CC-BY-NC)
Sylvicola alternatus
©Owen Strickland, some rights reserved (CC-BY-NC)
Sylvicola alternatus
©Allison Ferris, some rights reserved (CC-BY-NC-ND)
Sylvicola alternatus
©Allison Ferris, some rights reserved (CC-BY-NC-ND)
Sylvicola alternatus
©Allison Ferris, some rights reserved (CC-BY-NC-ND)
Sylvicola alternatus
©James Kindt, some rights reserved (CC-BY)
Sylvicola alternatus
©James Kindt, some rights reserved (CC-BY)
Sylvicola alternatus
©James Kindt, some rights reserved (CC-BY)
Sylvicola alternatus
©James Kindt, some rights reserved (CC-BY)
Sylvicola alternatus
©Bill Lucas, some rights reserved (CC-BY-NC)
Sylvicola alternatus
©James Kindt, some rights reserved (CC-BY)
Sylvicola alternatus
©Jill Peters, some rights reserved (CC-BY-NC)
Sylvicola alternatus
©James Kindt, some rights reserved (CC-BY)
Sylvicola alternatus
©James Kindt, some rights reserved (CC-BY)
Sylvicola alternatus
©James Kindt, some rights reserved (CC-BY)
Sylvicola alternatus
©James Kindt, some rights reserved (CC-BY)
Sylvicola alternatus
©Jill Peters, some rights reserved (CC-BY-NC)
Sylvicola alternatus
©James Kindt, some rights reserved (CC-BY)
Sylvicola alternatus
©Trey Wardlaw, some rights reserved (CC-BY-NC)
Sylvicola alternatus
©James Kindt, some rights reserved (CC-BY)
Sylvicola alternatus
©James Kindt, some rights reserved (CC-BY)
Sylvicola alternatus
©James Kindt, some rights reserved (CC-BY)
Sylvicola alternatus
©James Kindt, some rights reserved (CC-BY)
Sylvicola alternatus
©James Kindt, some rights reserved (CC-BY)
Sylvicola alternatus
©Joe MacIndewar, some rights reserved (CC-BY-NC)
Sylvicola alternatus
©Joe MacIndewar, some rights reserved (CC-BY-NC)
Sylvicola alternatus
©Eric Giles, some rights reserved (CC-BY-NC)
Sylvicola alternatus
©Karen Yukich, some rights reserved (CC-BY-NC)
Sylvicola alternatus
©Karen Yukich, some rights reserved (CC-BY-NC)
Sylvicola alternatus
©Karen Yukich, some rights reserved (CC-BY-NC)
Sylvicola alternatus
©Mark Faherty, some rights reserved (CC-BY-NC)
Sylvicola alternatus
©dbeadle, some rights reserved (CC-BY-NC)
Sylvicola alternatus
©Dan MacNeal, some rights reserved (CC-BY)
Sylvicola alternatus
©Dan MacNeal, some rights reserved (CC-BY)
Sylvicola alternatus
©Dan MacNeal, some rights reserved (CC-BY)
Sylvicola alternatus
©Dan MacNeal, some rights reserved (CC-BY)
Sylvicola alternatus
©Izabella Farr, some rights reserved (CC-BY-NC)
Sylvicola alternatus
©kcthetc1, some rights reserved (CC0)
Sylvicola alternatus
©Will Kuhn, some rights reserved (CC-BY)
Sylvicola alternatus
©Will Kuhn, some rights reserved (CC-BY)
Sylvicola alternatus
©Izabella Farr, some rights reserved (CC-BY-NC)
Sylvicola alternatus
©Stuart Tingley, some rights reserved (CC-BY-NC)
Sylvicola alternatus
©harrier, some rights reserved (CC-BY-NC)
Sylvicola alternatus
©Izabella Farr, some rights reserved (CC-BY-NC)
Sylvicola alternatus
©Larry Chen, some rights reserved (CC-BY-NC)
Sylvicola alternatus
©Izabella Farr, some rights reserved (CC-BY-NC)
Sylvicola alternatus
©Izabella Farr, some rights reserved (CC-BY-NC)
Sylvicola alternatus
©Robert Meehan, some rights reserved (CC-BY-NC)
Sylvicola alternatus
©Greg Pohl, some rights reserved (CC-BY-NC)
Sylvicola alternatus
©Tom Murray, some rights reserved (CC-BY-NC)
Sylvicola alternatus
©Izabella Farr, some rights reserved (CC-BY-NC)
Sylvicola alternatus
©Emily L. Stanley, some rights reserved (CC-BY-NC)
Sylvicola alternatus
©Robert Meehan, some rights reserved (CC-BY-NC)
Sylvicola alternatus
©Steve King, some rights reserved (CC-BY-NC)
Sylvicola alternatus
©Derek Hennen, some rights reserved (CC-BY-NC)
Sylvicola alternatus
©Joshua Stuart Rose, some rights reserved (CC-BY-NC)
Sylvicola alternatus
©Joshua Stuart Rose, some rights reserved (CC-BY-NC)
Sylvicola alternatus
©Robert Meehan, some rights reserved (CC-BY-NC)
Sylvicola alternatus
©Brenda Bull, some rights reserved (CC-BY-NC)
Sylvicola alternatus
©Brenda Bull, some rights reserved (CC-BY-NC)
Sylvicola alternatus
©Brenda Bull, some rights reserved (CC-BY-NC)
Sylvicola alternatus
©Brett Ortler, some rights reserved (CC-BY)
Sylvicola alternatus
©Brenda Bull, some rights reserved (CC-BY-NC)
Sylvicola alternatus
©Brenda Bull, some rights reserved (CC-BY-NC)
Sylvicola alternatus
©Jewelwing66, some rights reserved (CC-BY-NC)
Sylvicola alternatus
©Jewelwing66, some rights reserved (CC-BY-NC)
Sylvicola alternatus
©Jewelwing66, some rights reserved (CC-BY-NC)
Sylvicola alternatus
©Peter Edelman, some rights reserved (CC-BY-NC)
Sylvicola alternatus
©Will Kuhn, some rights reserved (CC-BY)
Sylvicola alternatus
©Will Kuhn, some rights reserved (CC-BY)
Sylvicola alternatus
©Will Kuhn, some rights reserved (CC-BY)
Sylvicola alternatus
©Will Kuhn, some rights reserved (CC-BY)
Sylvicola alternatus
©James Kindt, some rights reserved (CC-BY)
Sylvicola alternatus
©James Kindt, some rights reserved (CC-BY)
Sylvicola alternatus
©James Kindt, some rights reserved (CC-BY)
Sylvicola alternatus
©Izabella Farr, some rights reserved (CC-BY-NC)
Sylvicola alternatus
©Steve King, some rights reserved (CC-BY-NC)
Sylvicola alternatus
©Van Remsen, some rights reserved (CC-BY-NC)
Sylvicola alternatus
©Van Remsen, some rights reserved (CC-BY-NC)
Sylvicola alternatus
©Izabella Farr, some rights reserved (CC-BY-NC)
Sylvicola alternatus
©Izabella Farr, some rights reserved (CC-BY-NC)
Sylvicola alternatus
©Izabella Farr, some rights reserved (CC-BY-NC)