Synanceia verrucosa: taxon details and analytics
- Domain
- Kingdom
- Animalia
- Phylum
- Chordata
- Class
- Actinopterygii
- Order
- Perciformes
- Family
- Synanceiidae
- Genus
- Synanceia
- Species
- Synanceia verrucosa
- Scientific Name
- Synanceia verrucosa
Summary description from Wikipedia:
Synanceia verrucosa
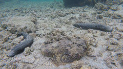
Synanceia verrucosa, the reef stonefish, is a species of venomous, marine ray-finned fish, belonging to the subfamily Synanceiinae, which is classified as being within the family Scorpaenidae, the scorpionfishes and their relatives. It is the most widespread species of stonefish, mostly found in shallow waters of the Red Sea and the Indo-Pacific. It possesses highly effective venom that can kill humans. It is the type species of Synanceia.
...Synanceia verrucosa in languages:
- Arabic
- Abu al-Laban
- Chinese
- 玫瑰毒鮋(腫瘤毒鮋;虎魚;石頭魚;拗豬頭;合笑;沙薑鱠仔)
- Czech
- odranec pravý
- Danish
- Stenfisk
- Dutch
- Echte Steenvis
- English
- Reef Stonefish
- English
- Stonefish
- French
- Poisson-pierre commun
- German
- Echter Steinfisch
- Hebrew
- אבנון מגושם
- Japanese
- オニダルマオコゼ
- Polish
- Szkaradnica
- Portuguese
- Peixe-pedra-dos-recifes
- Russian
- Бородавчатка
Images from inaturalist.org observations:
We recommend you sign up for this excellent, free service.


















































































































































