Tachyporinae: taxon details and analytics
- Domain
- Kingdom
- Animalia
- Phylum
- Arthropoda
- Class
- Insecta
- Order
- Coleoptera
- Family
- Staphylinidae
- Genus
- Species
- Scientific Name
- Tachyporinae
Summary description from Wikipedia:
Tachyporinae
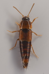
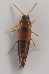
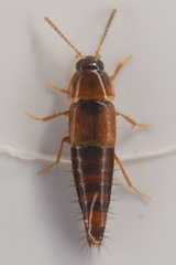
Tachyporinae is a subfamily of rove beetle. Their common name is crab-like rove beetles. They are generally small, roughly 2.4 to 5 millimeters.
There are around 60 species in twelve genera of crab-like rove beetles. All species are fusiform.
...Tachyporinae in languages:
- English
- Crablike Rove Beetles
- Japanese
- シリホソハネカクシ亜科
- Korean
- 뾰족반날개아과
- Swedish
- spolkortvingar
Images from inaturalist.org observations:
We recommend you sign up for this excellent, free service.
Parent Taxon
Sibling Taxa
- Aleocharinae
- Apateticinae
- Apimela
- Coomaniinae
- Custotychus
- Dasycerinae
- Empelinae
- Euaesthetinae
- Glypholomatinae
- Gyronycha
- Habrocerinae
- Leptotyphlinae
- Megalopsidiinae
- Micropeplinae
- Microsilphinae
- Morius
- Neophoninae
- Ocyustiba
- Olisthaerinae
- Omaliinae
- Osoriinae
- Oxyporinae
- Oxytelinae
- Paederinae
- Phloeocharinae
- Piestinae
- Platyprosopinae
- Proteininae
- Protopselaphinae
- Pselaphinae
- Pselaptrichus
- Pseudopsinae
- Scaphidiinae
- Scydmaeninae
- Solieriinae
- Sphaeronum
- Staphylininae
- Steninae
- Tachyporinae
- Trichophyinae
- Trigonurinae
- Xantholininae



























































































































































