Taphrina caerulescens: taxon details and analytics
- Domain
- Kingdom
- Fungi
- Phylum
- Ascomycota
- Class
- Taphrinomycetes
- Order
- Taphrinales
- Family
- Taphrinaceae
- Genus
- Taphrina
- Species
- Taphrina caerulescens
- Scientific Name
- Taphrina caerulescens
Summary description from Wikipedia:
Taphrina caerulescens
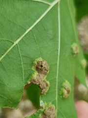
Taphrina caerulescens is a species of fungus in the family Taphrinaceae. It is a pathogenic Ascomycete fungus that causes oak leaf blister disease on various species of oak trees (Quercus spp.). The associated anamorph species is Lalaria coccinea, described in 1990. This disease causes lesions and blisters on Oak leaves. Effects of the disease are mostly cosmetic. Although not taxonomically defined, strains of T. caerulescens have been shown to be host specific with varying ¬ascus morphology between strains. There are differences in strains' abilities to metabolize various carbon and nitrogen compounds. This has been proposed as a method of taxonomically defining subspecies within T. caerulescens.
Taphrina caerulescens is very closely related to Taphrina deformans, which causes peach leaf curl. These two pathogens have indistinguishable asci. However, T. deformans infects peach tree species while T. caerulescens infects Oak tree species only.
...Taphrina caerulescens in languages:
- English
- Oak Leaf Blister
Images from inaturalist.org observations:
We recommend you sign up for this excellent, free service.
Parent Taxon
Sibling Taxa
- Taphrina acericola
- Taphrina acerina
- Taphrina aceris
- Taphrina aesculi
- Taphrina alni
- Taphrina amelanchieris
- Taphrina americana
- Taphrina armeniacae
- Taphrina bacteriosperma
- Taphrina betulae
- Taphrina betulina
- Taphrina boycei
- Taphrina bullata
- Taphrina caerulescens
- Taphrina californica
- Taphrina carnea
- Taphrina carpini
- Taphrina carveri
- Taphrina celtidis
- Taphrina communis
- Taphrina confusa
- Taphrina cornu-cervae
- Taphrina coryli
- Taphrina crataegi
- Taphrina dearnessii
- Taphrina deformans
- Taphrina epiphylla
- Taphrina farlowii
- Taphrina filicina
- Taphrina flavorubra
- Taphrina flectens
- Taphrina insititiae
- Taphrina japonica
- Taphrina jenkinsiana
- Taphrina johansonii
- Taphrina kruchii
- Taphrina mirabilis
- Taphrina occidentalis
- Taphrina ostryae
- Taphrina padi
- Taphrina polyspora
- Taphrina polystichi
- Taphrina populi-salicis
- Taphrina populina
- Taphrina pruni
- Taphrina pruni-subcordatae
- Taphrina purpurascens
- Taphrina rhizophora
- Taphrina robinsoniana
- Taphrina sadebeckii
- Taphrina tormentillae
- Taphrina tosquinetii
- Taphrina ulmi
- Taphrina vestergrenii
- Taphrina virginica
- Taphrina wiesneri































































































































































