Targarema electa: taxon details and analytics
- Domain
- Kingdom
- Animalia
- Phylum
- Arthropoda
- Class
- Insecta
- Order
- Hemiptera
- Family
- Rhyparochromidae
- Genus
- Targarema
- Species
- Targarema electa
- Scientific Name
- Targarema electa
Summary description from Wikipedia:
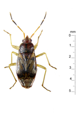
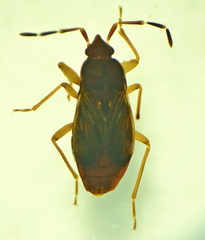
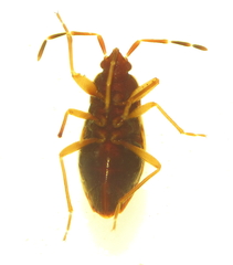
Targarema electa
Targarema electa är en insektsart som beskrevs av White 1878. Targarema electa ingår i släktet Targarema och familjen Rhyparochromidae. Inga underarter finns listade i Catalogue of Life.
...Images from inaturalist.org observations:
We recommend you sign up for this excellent, free service.







