Taxonus terminalis: taxon details and analytics
- Domain
- Kingdom
- Animalia
- Phylum
- Arthropoda
- Class
- Insecta
- Order
- Hymenoptera
- Family
- Tenthredinidae
- Genus
- Taxonus
- Species
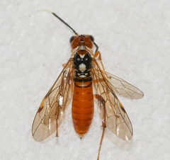
- Taxonus terminalis
- Scientific Name
- Taxonus terminalis
Taxonus terminalis in languages:
- English
- White-tipped Sawfly
Images from inaturalist.org observations:
We recommend you sign up for this excellent, free service.
Parent Taxon
Sibling Taxa
- Taxonus agrorum
- Taxonus albidopictus
- Taxonus albiventris
- Taxonus albocollinia
- Taxonus alboscutellatus
- Taxonus attenatus
- Taxonus chuanshanicus
- Taxonus epicera
- Taxonus fletcheri
- Taxonus floridanus
- Taxonus fluvicornis
- Taxonus lenis
- Taxonus pallicoxus
- Taxonus pallidicornis
- Taxonus pallipes
- Taxonus rufocinctus
- Taxonus spiculatus
- Taxonus sticticus
- Taxonus terminalis




















