Tempyra biguttula: taxon details and analytics

Domain
Kingdom
Animalia
Phylum
Arthropoda
Class
Insecta
Order
Hemiptera
Family
Rhyparochromidae
Genus
Tempyra
Species
Tempyra biguttula
Scientific Name
Tempyra biguttula

Summary description from Wikipedia:

Tempyra biguttula

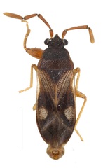
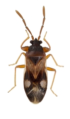
Tempyra biguttula is a species of dirt-colored seed bug in the family Rhyparochromidae. It is found in North America and Oceania.

...
 

Images from inaturalist.org observations:

We recommend you sign up for this excellent, free service.

Tempyra biguttula
©Annika Lindqvist, some rights reserved (CC-BY)
Tempyra biguttula
©Annika Lindqvist, some rights reserved (CC-BY)
Tempyra biguttula
©Kozue Kawakami, some rights reserved (CC-BY)
Tempyra biguttula
©Kozue Kawakami, some rights reserved (CC-BY)
Tempyra biguttula
©Kozue Kawakami, some rights reserved (CC-BY)
Tempyra biguttula
©Kozue Kawakami, some rights reserved (CC-BY)
Tempyra biguttula
©Kozue Kawakami, some rights reserved (CC-BY)
Tempyra biguttula
©Gabe King, some rights reserved (CC-BY-NC)
Tempyra biguttula
©Gabe King, some rights reserved (CC-BY-NC)
Tempyra biguttula
©Gabe King, some rights reserved (CC-BY-NC)
Tempyra biguttula
©Dusty, some rights reserved (CC-BY-NC)
Tempyra biguttula
©Rich Kostecke, some rights reserved (CC-BY-NC)
Tempyra biguttula
©Dusty, some rights reserved (CC-BY-NC)
Tempyra biguttula
©Sam Kieschnick, some rights reserved (CC-BY)
Tempyra biguttula
©Rich Kostecke, some rights reserved (CC-BY-NC)
Tempyra biguttula
©C. Mallory, some rights reserved (CC-BY-NC)
Tempyra biguttula
©C. Mallory, some rights reserved (CC-BY-NC)
Tempyra biguttula
©Thijs Valkenburg, some rights reserved (CC-BY-NC)
Tempyra biguttula
©Thijs Valkenburg, some rights reserved (CC-BY-NC)
Tempyra biguttula
©Thijs Valkenburg, some rights reserved (CC-BY-NC)
Tempyra biguttula
©Mark Rosenstein, some rights reserved (CC-BY-NC-SA)
Tempyra biguttula
©James Bailey, some rights reserved (CC-BY-NC)
Tempyra biguttula
©Eric Carpenter, some rights reserved (CC-BY-NC)
Tempyra biguttula
©Francisco Acosta, some rights reserved (CC-BY-NC)
Tempyra biguttula
©Gilberto Ponce Tejeda, some rights reserved (CC-BY-NC)
Tempyra biguttula
©Ricardo Arredondo T., some rights reserved (CC-BY-NC)
Tempyra biguttula
©Zinogre, some rights reserved (CC-BY-SA)
Tempyra biguttula
©Zinogre, some rights reserved (CC-BY-SA)
Tempyra biguttula
©Zinogre, some rights reserved (CC-BY-SA)
Tempyra biguttula
©Zinogre, some rights reserved (CC-BY-SA)
Tempyra biguttula
©Annika Lindqvist, some rights reserved (CC-BY)
Tempyra biguttula
©Annika Lindqvist, some rights reserved (CC-BY)
Tempyra biguttula
©Dusty, some rights reserved (CC-BY-NC)
Tempyra biguttula
©Robert Webster, some rights reserved (CC-BY-SA)
Tempyra biguttula
©Robert Webster, some rights reserved (CC-BY-SA)
Tempyra biguttula
©Russell Pfau, some rights reserved (CC-BY-NC)
Tempyra biguttula
©Cedric Lee, some rights reserved (CC-BY-NC)
Tempyra biguttula
©Cedric Lee, some rights reserved (CC-BY-NC)
Tempyra biguttula
©michi1, some rights reserved (CC-BY-NC)
Tempyra biguttula
©michi1, some rights reserved (CC-BY-NC)
Tempyra biguttula
©Coronado Govaerts, some rights reserved (CC-BY-NC)
Tempyra biguttula
©Coronado Govaerts, some rights reserved (CC-BY-NC)
Tempyra biguttula
©Eric Carpenter, some rights reserved (CC-BY-NC)
Tempyra biguttula
©Martin Galli, some rights reserved (CC-BY-NC)
Tempyra biguttula
©Gabe King, some rights reserved (CC-BY-NC)
Tempyra biguttula
©Gabe King, some rights reserved (CC-BY-NC)
Tempyra biguttula
©Eric Fischer Rempe, some rights reserved (CC-BY-NC)
Tempyra biguttula
©Eric Carpenter, some rights reserved (CC-BY-NC)
Tempyra biguttula
©Russell Pfau, some rights reserved (CC-BY-NC)
Tempyra biguttula
©Alexandre H. Leitão, some rights reserved (CC-BY-NC)
Tempyra biguttula
©faluke, some rights reserved (CC-BY-NC)
Tempyra biguttula
©Eric Carpenter, some rights reserved (CC-BY-NC)
Tempyra biguttula
©Eric Carpenter, some rights reserved (CC-BY-NC)
Tempyra biguttula
©Eric Carpenter, some rights reserved (CC-BY-NC)
Tempyra biguttula
©Eric Carpenter, some rights reserved (CC-BY-NC)
Tempyra biguttula
©faluke, some rights reserved (CC-BY-NC)
Tempyra biguttula
©David Fernández Huerta, some rights reserved (CC-BY-NC)
Tempyra biguttula
©Fabien Piednoir, some rights reserved (CC-BY-SA)
Tempyra biguttula
©Dusty, some rights reserved (CC-BY-NC)
Tempyra biguttula
©faluke, some rights reserved (CC-BY-NC)
Tempyra biguttula
©Dusty, some rights reserved (CC-BY-NC)
Tempyra biguttula
©James Bailey, some rights reserved (CC-BY-NC)
Tempyra biguttula
©Mario Bassini, some rights reserved (CC-BY)
Tempyra biguttula
©Jack Cochran, some rights reserved (CC-BY-NC)
Tempyra biguttula
©Sam Kieschnick, some rights reserved (CC-BY)
Tempyra biguttula
©Sam Kieschnick, some rights reserved (CC-BY)
Tempyra biguttula
©Rich Kostecke, some rights reserved (CC-BY-NC)
Tempyra biguttula
©Aleks Lund., some rights reserved (CC-BY-NC)
Tempyra biguttula
©Aleks Lund., some rights reserved (CC-BY-NC)
Tempyra biguttula
©Annika Lindqvist, some rights reserved (CC-BY)
Tempyra biguttula
©Annika Lindqvist, some rights reserved (CC-BY)
Tempyra biguttula
©Katelyn Rose, some rights reserved (CC-BY-NC)
Tempyra biguttula
©Barış Çerçi, some rights reserved (CC-BY-NC)
Tempyra biguttula
©Barış Çerçi, some rights reserved (CC-BY-NC)
Tempyra biguttula
©Rich Kostecke, some rights reserved (CC-BY-NC)
Tempyra biguttula
©yukioz, some rights reserved (CC-BY-NC)
Tempyra biguttula
©eliotthuguet, some rights reserved (CC-BY-NC)
Tempyra biguttula
©Rich Kostecke, some rights reserved (CC-BY-NC)
Tempyra biguttula
©Rich Kostecke, some rights reserved (CC-BY-NC)
Tempyra biguttula
©Justin Williams, some rights reserved (CC-BY-NC)
Tempyra biguttula
©Lupoli Roland, some rights reserved (CC-BY-NC)
Tempyra biguttula
©Lupoli Roland, some rights reserved (CC-BY-NC)
Tempyra biguttula
©Joe Girgente, some rights reserved (CC-BY-NC)
Tempyra biguttula
©Dusty, some rights reserved (CC-BY-NC)
Tempyra biguttula
©Annika Lindqvist, some rights reserved (CC-BY)
Tempyra biguttula
©Annika Lindqvist, some rights reserved (CC-BY)
Tempyra biguttula
©Annika Lindqvist, some rights reserved (CC-BY)
Tempyra biguttula
©Maribel, some rights reserved (CC-BY-NC)
Tempyra biguttula
©Dusty, some rights reserved (CC-BY-NC)
Tempyra biguttula
©Dusty, some rights reserved (CC-BY-NC)

Parent Taxon

Sibling Taxa

Top Observation Places