Tetracha: taxon details and analytics

Domain
Kingdom
Animalia
Phylum
Arthropoda
Class
Insecta
Order
Coleoptera
Family
Carabidae
Genus
Tetracha
Species
Scientific Name
Tetracha

Summary description from Wikipedia:

Tetracha

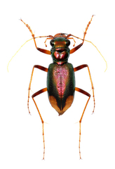
Tetracha is a genus of metallic tiger beetles in the family Cicindelidae, formerly treated as a subgenus within the genus Megacephala. Tetracha species are exclusively New World in distribution, while Megacephala are exclusively Old World in distribution. There are ~100 described species in Tetracha.

...
 

Tetracha in languages:

English
Metallic Tiger Beetles

Images from inaturalist.org observations:

We recommend you sign up for this excellent, free service.

Tetracha
©mariapaulaviedavargas10a, some rights reserved (CC-BY-NC)
Tetracha
©Juan Matías, some rights reserved (CC-BY-NC)
Tetracha
©Jake Scott, some rights reserved (CC-BY-NC)
Tetracha
©creaturesoftheroad, some rights reserved (CC-BY-NC)
Tetracha
©creaturesoftheroad, some rights reserved (CC-BY-NC)
Tetracha
©andressakj, some rights reserved (CC-BY-NC)
Tetracha
©Carlos Domínguez-Rodríguez, some rights reserved (CC-BY-NC)
Tetracha
©Carlos Domínguez-Rodríguez, some rights reserved (CC-BY-NC)
Tetracha
©Carlos Domínguez-Rodríguez, some rights reserved (CC-BY-NC)
Tetracha
©Carlos Domínguez-Rodríguez, some rights reserved (CC-BY-NC)
Tetracha
©Carlos Domínguez-Rodríguez, some rights reserved (CC-BY-NC)
Tetracha
©Carlos Domínguez-Rodríguez, some rights reserved (CC-BY-NC)
Tetracha
©Carlos Domínguez-Rodríguez, some rights reserved (CC-BY-NC)
Tetracha
©Carlos Domínguez-Rodríguez, some rights reserved (CC-BY-NC)
Tetracha
©Gustavo Gonsioroski, some rights reserved (CC-BY-NC)
Tetracha
©Gustavo Gonsioroski, some rights reserved (CC-BY-NC)
Tetracha
©juanloredo, some rights reserved (CC-BY-NC-SA)
Tetracha
©juanloredo, some rights reserved (CC-BY-NC-SA)
Tetracha
©Jiri Hodecek, some rights reserved (CC-BY-NC)
Tetracha
©ADOLFO PERALES HUERTA, some rights reserved (CC-BY-NC)
Tetracha
©Russell Pfau, some rights reserved (CC-BY-NC)
Tetracha
©Leonardo Hernández Escudero, some rights reserved (CC-BY-NC)
Tetracha
©David Torres, some rights reserved (CC-BY-NC)
Tetracha
©David Torres, some rights reserved (CC-BY-NC)
Tetracha
©David Torres, some rights reserved (CC-BY-NC)
Tetracha
©David Torres, some rights reserved (CC-BY-NC)
Tetracha
©David Torres, some rights reserved (CC-BY-NC)
Tetracha
©Favian Flores Medina, some rights reserved (CC-BY-NC)
Tetracha
©Favian Flores Medina, some rights reserved (CC-BY-NC)
Tetracha
©Favian Flores Medina, some rights reserved (CC-BY-NC)
Tetracha
©Emanuela Rodrigues Araújo, some rights reserved (CC-BY-NC)
Tetracha
©Emanuela Rodrigues Araújo, some rights reserved (CC-BY-NC)
Tetracha
©Emanuela Rodrigues Araújo, some rights reserved (CC-BY-NC)
Tetracha
©Emanuela Rodrigues Araújo, some rights reserved (CC-BY-NC)
Tetracha
©Kozue Kawakami, some rights reserved (CC-BY)
Tetracha
©Luz Juliana Trujillo 10a, some rights reserved (CC-BY-NC)
Tetracha
©Cátia, some rights reserved (CC-BY-NC)
Tetracha
©Hermes Mamio Nakao, some rights reserved (CC-BY-NC)
Tetracha
©mclaracastroo, some rights reserved (CC-BY-NC)
Tetracha
©mclaracastroo, some rights reserved (CC-BY-NC)
Tetracha
©Samuel M. Martins, some rights reserved (CC-BY-NC)
Tetracha
©Samuel M. Martins, some rights reserved (CC-BY-NC)
Tetracha
©Samuel M. Martins, some rights reserved (CC-BY-NC)
Tetracha
©Samuel M. Martins, some rights reserved (CC-BY-NC)
Tetracha
©Kozue Kawakami, some rights reserved (CC-BY)
Tetracha
©Kozue Kawakami, some rights reserved (CC-BY)
Tetracha
©Kozue Kawakami, some rights reserved (CC-BY)
Tetracha
©Kozue Kawakami, some rights reserved (CC-BY)
Tetracha
©thiagolyra, some rights reserved (CC-BY-NC)
Tetracha
©thiagolyra, some rights reserved (CC-BY-NC)
Tetracha
©thiagolyra, some rights reserved (CC-BY-NC)
Tetracha
©Kristin A. Bakkegard, some rights reserved (CC-BY-NC)
Tetracha
©Kristin A. Bakkegard, some rights reserved (CC-BY-NC)
Tetracha
©Kristin A. Bakkegard, some rights reserved (CC-BY-NC)
Tetracha
©Kristin A. Bakkegard, some rights reserved (CC-BY-NC)
Tetracha
©Kristin A. Bakkegard, some rights reserved (CC-BY-NC)
Tetracha
©Kristin A. Bakkegard, some rights reserved (CC-BY-NC)
Tetracha
©Marco Aurelio de Sena, some rights reserved (CC-BY-NC)
Tetracha
©Marco Aurelio de Sena, some rights reserved (CC-BY-NC)
Tetracha
©stepanni, some rights reserved (CC-BY-NC)
Tetracha
©stepanni, some rights reserved (CC-BY-NC)
Tetracha
©stepanni, some rights reserved (CC-BY-NC)
Tetracha
©stepanni, some rights reserved (CC-BY-NC)
Tetracha
©Kristin A. Bakkegard, some rights reserved (CC-BY-NC)
Tetracha
©Kristin A. Bakkegard, some rights reserved (CC-BY-NC)
Tetracha
©Kristin A. Bakkegard, some rights reserved (CC-BY-NC)
Tetracha
©Alexandre S. Michelotto, some rights reserved (CC-BY-NC)
Tetracha
©Alexandre S. Michelotto, some rights reserved (CC-BY-NC)
Tetracha
©Alexandre S. Michelotto, some rights reserved (CC-BY-NC)
Tetracha
©Alexandre S. Michelotto, some rights reserved (CC-BY-NC)
Tetracha
©Alexandre S. Michelotto, some rights reserved (CC-BY-NC)
Tetracha
©Alexandre S. Michelotto, some rights reserved (CC-BY-NC)
Tetracha
©thiagolyra, some rights reserved (CC-BY-NC)
Tetracha
©Eric Fischer Rempe, some rights reserved (CC-BY-NC)
Tetracha
©Damián Ganime, some rights reserved (CC-BY-NC)
Tetracha
©Damián Ganime, some rights reserved (CC-BY-NC)
Tetracha
©Damián Ganime, some rights reserved (CC-BY-NC)
Tetracha
©Giovana Pinheiro, some rights reserved (CC-BY-NC)
Tetracha
©Giovana Pinheiro, some rights reserved (CC-BY-NC)
Tetracha
©Giovana Pinheiro, some rights reserved (CC-BY-NC)
Tetracha
©Giovana Pinheiro, some rights reserved (CC-BY-NC)
Tetracha
©Giovana Pinheiro, some rights reserved (CC-BY-NC)
Tetracha
©Giovana Pinheiro, some rights reserved (CC-BY-NC)
Tetracha
©joaquin_arrascaeta, some rights reserved (CC-BY-NC)
Tetracha
©Sol Quipildor, some rights reserved (CC-BY)
Tetracha
©Sol Quipildor, some rights reserved (CC-BY)
Tetracha
©guebriel, some rights reserved (CC-BY-NC)
Tetracha
©Pete Zani, some rights reserved (CC-BY-NC)
Tetracha
©Pete Zani, some rights reserved (CC-BY-NC)
Tetracha
©María Zeta, some rights reserved (CC-BY-SA)
Tetracha
©María Zeta, some rights reserved (CC-BY-SA)
Tetracha
©María Zeta, some rights reserved (CC-BY-SA)
Tetracha
©María Zeta, some rights reserved (CC-BY-SA)
Tetracha
©el-naturalista, some rights reserved (CC-BY-NC)
Tetracha
©el-naturalista, some rights reserved (CC-BY-NC)
Tetracha
©el-naturalista, some rights reserved (CC-BY-NC)
Tetracha
©el-naturalista, some rights reserved (CC-BY-NC)
Tetracha
©el-naturalista, some rights reserved (CC-BY-NC)
Tetracha
©Isaias Maximiliano Churruarin, some rights reserved (CC-BY-NC)
Tetracha
©Jaime Camacho, some rights reserved (CC-BY-NC)
Tetracha
©Roberto Godoy, some rights reserved (CC-BY-NC)
Tetracha
©Roberto Godoy, some rights reserved (CC-BY-NC)
Tetracha
©Roberto Godoy, some rights reserved (CC-BY-NC)
Tetracha
©Jessee J. Smith, some rights reserved (CC-BY-NC)
Tetracha
©Lucila Boasso, some rights reserved (CC-BY-NC)
Tetracha
©Lucila Boasso, some rights reserved (CC-BY-NC)
Tetracha
©Lucila Boasso, some rights reserved (CC-BY-NC)
Tetracha
©Lucila Boasso, some rights reserved (CC-BY-NC)
Tetracha
©Lucila Boasso, some rights reserved (CC-BY-NC)
Tetracha
©christian marty, some rights reserved (CC-BY-NC)
Tetracha
©Célio Moura Neto, some rights reserved (CC-BY)
Tetracha
©Jaime Camacho, some rights reserved (CC-BY-NC)
Tetracha
©Jared Shorma, some rights reserved (CC-BY)
Tetracha
©Jared Shorma, some rights reserved (CC-BY)
Tetracha
©Jared Shorma, some rights reserved (CC-BY)
Tetracha
©Jared Shorma, some rights reserved (CC-BY)
Tetracha
©Jared Shorma, some rights reserved (CC-BY)
Tetracha
©Jared Shorma, some rights reserved (CC-BY)
Tetracha
©DANIEL OSCAR MOLINA, some rights reserved (CC-BY-NC)
Tetracha
©DANIEL OSCAR MOLINA, some rights reserved (CC-BY-NC)
Tetracha
©smiley_beaver, some rights reserved (CC-BY-NC)
Tetracha
©João Abraão, some rights reserved (CC-BY-NC)
Tetracha
©João Abraão, some rights reserved (CC-BY-NC)
Tetracha
©João Abraão, some rights reserved (CC-BY-NC)
Tetracha
©Sam Kieschnick, some rights reserved (CC-BY)
Tetracha
©Sam Kieschnick, some rights reserved (CC-BY)
Tetracha
©Sam Kieschnick, some rights reserved (CC-BY)
Tetracha
©Sam Kieschnick, some rights reserved (CC-BY)
Tetracha
©Eva Hedström, some rights reserved (CC-BY-NC)
Tetracha
©Bethany Foshee, some rights reserved (CC-BY-NC)
Tetracha
©Javier A. Canteros, some rights reserved (CC-BY-NC)
Tetracha
©prodenazas, some rights reserved (CC-BY-NC)
Tetracha
©prodenazas, some rights reserved (CC-BY-NC)
Tetracha
©Eva Hedström, some rights reserved (CC-BY-NC)
Tetracha
©htor27, some rights reserved (CC-BY-NC)
Tetracha
©Robby Deans, some rights reserved (CC-BY-NC)
Tetracha
©Mark Fishbein, some rights reserved (CC-BY-NC)
Tetracha
©avocat, some rights reserved (CC-BY-NC)
Tetracha
©avocat, some rights reserved (CC-BY-NC)
Tetracha
©avocat, some rights reserved (CC-BY-NC)
Tetracha
©Roger Birkhead, some rights reserved (CC-BY-NC-ND)
Tetracha
©Roger Birkhead, some rights reserved (CC-BY-NC-ND)
Tetracha
©Miguel Diaz Anaya, some rights reserved (CC-BY-NC)
Tetracha
©Biocis - Carlos Rangel, some rights reserved (CC-BY-NC)
Tetracha
©jackjack1203, some rights reserved (CC-BY-NC)
Tetracha
©jackjack1203, some rights reserved (CC-BY-NC)
Tetracha
©jackjack1203, some rights reserved (CC-BY-NC)
Tetracha
©Biocis - Carlos Rangel, some rights reserved (CC-BY-NC)
Tetracha
©Biocis - Carlos Rangel, some rights reserved (CC-BY-NC)
Tetracha
©Biocis - Carlos Rangel, some rights reserved (CC-BY-NC)
Tetracha
©Wayne Fidler, some rights reserved (CC-BY-NC)
Tetracha
©shelbford, some rights reserved (CC-BY)
Tetracha
©shelbford, some rights reserved (CC-BY)
Tetracha
©Miguel Diaz Anaya, some rights reserved (CC-BY-NC)
Tetracha
©Wayne Fidler, some rights reserved (CC-BY-NC)
Tetracha
©Wayne Fidler, some rights reserved (CC-BY-NC)
Tetracha
©Wayne Fidler, some rights reserved (CC-BY-NC)
Tetracha
©MaoMorning Yip, some rights reserved (CC-BY-NC)
Tetracha
©David Torres, some rights reserved (CC-BY-NC)
Tetracha
©Felix Fleck, some rights reserved (CC-BY-NC)