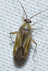
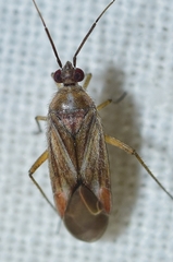
Tinicephalus rubiginosus: taxon details and analytics
- Domain
- Kingdom
- Animalia
- Phylum
- Arthropoda
- Class
- Insecta
- Order
- Hemiptera
- Family
- Miridae
- Genus
- Tinicephalus
- Species
- Tinicephalus rubiginosus
- Scientific Name
- Tinicephalus rubiginosus
Summary description from Wikipedia:
Images from inaturalist.org observations:
We recommend you sign up for this excellent, free service.







