Toxonotus: taxon details and analytics

Domain
Kingdom
Animalia
Phylum
Arthropoda
Class
Insecta
Order
Coleoptera
Family
Anthribidae
Genus
Toxonotus
Species
Scientific Name
Toxonotus

Summary description from Wikipedia:

Toxonotus

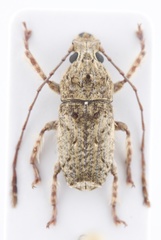
Toxonotus is a genus of fungus weevils in the beetle family Anthribidae. There are about 13 described species in Toxonotus.

...
 

Images from inaturalist.org observations:

We recommend you sign up for this excellent, free service.

Toxonotus
©mdmartin7, some rights reserved (CC-BY-NC)
Toxonotus
©Meghan Cassidy, some rights reserved (CC-BY-SA)
Toxonotus
©Meghan Cassidy, some rights reserved (CC-BY-SA)
Toxonotus
©Meghan Cassidy, some rights reserved (CC-BY-SA)
Toxonotus
©Diogo Luiz, some rights reserved (CC-BY-SA)
Toxonotus
©Juan Cruzado Cortés, some rights reserved (CC-BY-SA)
Toxonotus
©Juan Cruzado Cortés, some rights reserved (CC-BY-SA)
Toxonotus
©Rogerio Dias, some rights reserved (CC-BY-NC)
Toxonotus
©Rogerio Dias, some rights reserved (CC-BY-NC)
Toxonotus
©Rogerio Dias, some rights reserved (CC-BY-NC)
Toxonotus
©Kahio T. Mazon, some rights reserved (CC0)
Toxonotus
©Nicaurys Tavarez Nuñez, some rights reserved (CC-BY-NC)
Toxonotus
©Nicaurys Tavarez Nuñez, some rights reserved (CC-BY-NC)
Toxonotus
©Nicaurys Tavarez Nuñez, some rights reserved (CC-BY-NC)
Toxonotus
©Carlos Ku, some rights reserved (CC-BY-NC)
Toxonotus
©Leila Dasher, some rights reserved (CC-BY)
Toxonotus
©Leila Dasher, some rights reserved (CC-BY)
Toxonotus
©Leila Dasher, some rights reserved (CC-BY)
Toxonotus
©Leila Dasher, some rights reserved (CC-BY)
Toxonotus
©Leila Dasher, some rights reserved (CC-BY)
Toxonotus
©Leila Dasher, some rights reserved (CC-BY)
Toxonotus
©Leila Dasher, some rights reserved (CC-BY)
Toxonotus
©Leila Dasher, some rights reserved (CC-BY)
Toxonotus
©Eric van den Berghe, some rights reserved (CC-BY-NC)
Toxonotus
©Zimmerman, some rights reserved (CC-BY-NC)
Toxonotus
©Zimmerman, some rights reserved (CC-BY-NC)
Toxonotus
©prioninae_eu, some rights reserved (CC-BY-NC)
Toxonotus
©Alenilson, some rights reserved (CC-BY-NC)
Toxonotus
©Alenilson, some rights reserved (CC-BY-NC)
Toxonotus
©Carlos Galindo-Leal, some rights reserved (CC-BY-NC)
Toxonotus
©Carlos Galindo-Leal, some rights reserved (CC-BY-NC)
Toxonotus
©Carlos Galindo-Leal, some rights reserved (CC-BY-NC)
Toxonotus
©Amber M. King, some rights reserved (CC-BY)