Triatoma protracta: taxon details and analytics
- Domain
- Kingdom
- Animalia
- Phylum
- Arthropoda
- Class
- Insecta
- Order
- Hemiptera
- Family
- Reduviidae
- Genus
- Triatoma
- Species
- Triatoma protracta
- Scientific Name
- Triatoma protracta
Summary description from Wikipedia:
Triatoma protracta
Triatoma protracta is a species of bugs in the family Reduviidae. It is known commonly as the western bloodsucking conenose. It is distributed in the western United States and Mexico.
This species and other "kissing bugs" are vectors of Trypanosoma cruzi, the protozoan that causes Chagas disease.
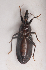
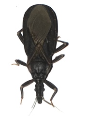
This species is between 0.5 and 0.75 inches long. It is dark brown to black in color with a lighter margin along the abdomen. The wings lie flat across the back. The "beak" has three segments and curls beneath the head. The nymph is similar in appearance but it is smaller and lacks wings.
This insect and others of its genus live in the nests of animals such as pack rats (genus Neotoma). They become pests when they invade houses. They bite humans, producing irritation to the skin and sometimes severe allergic reactions. The insects are also known to have three subspecies including:
- T. protracta woodi
- T. protracta protracta
- T. protracta navajoensis
Triatoma protracta in languages:
- English
- Western Conenose
- English
- Western Bloodsucking Conenose
Images from inaturalist.org observations:
We recommend you sign up for this excellent, free service.
Parent Taxon
Sibling Taxa
- Triatoma amicitiae
- Triatoma baratai
- Triatoma barberi
- Triatoma barbieri
- Triatoma bassolsae
- Triatoma bolivari
- Triatoma boliviana
- Triatoma bouvieri
- Triatoma brailovskyi
- Triatoma brasiliensis
- Triatoma carcavalloi
- Triatoma carrioni
- Triatoma cavernicola
- Triatoma circummaculata
- Triatoma costalimai
- Triatoma deaneorum
- Triatoma dimidiata
- Triatoma dispar
- Triatoma eratyrusiformis
- Triatoma garciabesi
- Triatoma gerstaeckeri
- Triatoma gomeznunezi
- Triatoma guasayana
- Triatoma hegneri
- Triatoma incrassata
- Triatoma indictiva
- Triatoma infestans
- Triatoma jatai
- Triatoma juazeirensis
- Triatoma jurbergi
- Triatoma lecticularia
- Triatoma longipennis
- Triatoma maculata
- Triatoma matogrossensis
- Triatoma mazzottii
- Triatoma melanica
- Triatoma melanocephala
- Triatoma mexicana
- Triatoma migrans
- Triatoma mopan
- Triatoma neotomae
- Triatoma nigromaculata
- Triatoma nitida
- Triatoma patagonica
- Triatoma peninsularis
- Triatoma petrochiae
- Triatoma phyllosoma
- Triatoma picturata
- Triatoma pintodiasi
- Triatoma platensis
- Triatoma protracta
- Triatoma pseudomaculata
- Triatoma recurva
- Triatoma rubida
- Triatoma rubrofasciata
- Triatoma rubrovaria
- Triatoma sanguisuga
- Triatoma sherlocki
- Triatoma sinaloensis
- Triatoma sinica
- Triatoma sordida
- Triatoma tibiamaculata
- Triatoma vandae
- Triatoma venosa
- Triatoma vitticeps
- Triatoma williami































































































































































