Trigonidium cicindeloides: taxon details and analytics
- Domain
- Kingdom
- Animalia
- Phylum
- Arthropoda
- Class
- Insecta
- Order
- Orthoptera
- Family
- Trigonidiidae
- Genus
- Trigonidium
- Species
- Trigonidium cicindeloides
- Scientific Name
- Trigonidium cicindeloides
Summary description from Wikipedia:
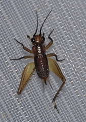
Trigonidium cicindeloides
Trigonidium cicindeloides is a species of sword-tail cricket widespread in Africa, southern Europe, Asia, and Arabia. During mating season males make a sound created by vibrating the last two joints of their maxillary palpi. This is either to attract females for mating or to drive off other males.
...Trigonidium cicindeloides in languages:
- Chinese
- 虎甲蛉蟋 (黑脛草蟋蟀)
- Chinese
- 黑脛草蟋蟀
- Croatian
- Trčkoliki šturak
- Dutch
- Keverkrekel
- English
- Common Trig
- French
- Grillon coléoptère
- German
- Käfergrille
- Japanese
- クロヒバリモドキ
- Portuguese
- Grilo-ferrão-de-espada
- Portuguese
- Grilo-de-patas-laranja
Images from inaturalist.org observations:
We recommend you sign up for this excellent, free service.
Parent Taxon
Sibling Taxa
- Trigonidium ahiu
- Trigonidium amarina
- Trigonidium australiana
- Trigonidium brevipenne
- Trigonidium bundilla
- Trigonidium canara
- Trigonidium canberrae
- Trigonidium cicindeloides
- Trigonidium erythrocephalum
- Trigonidium goobita
- Trigonidium guineense
- Trigonidium humbertianum
- Trigonidium infuscata
- Trigonidium japonicum
- Trigonidium killawarra
- Trigonidium lalwinya
- Trigonidium meekappa
- Trigonidium nigripes
- Trigonidium parinervis
- Trigonidium rubrumoculum































































































































































