Skip to the navigation
.
Skip to the content
.
BioSurveys.org
Surveying life, socially, locally.
places search
taxa search
Color
Sign In
Tropistethus lanternae: taxon details and analytics
Domain
Kingdom
Animalia
Phylum
Arthropoda
Class
Insecta
Order
Hemiptera
Family
Rhyparochromidae
Genus
Tropistethus
Species
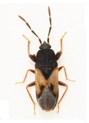
Tropistethus lanternae
Scientific Name
Tropistethus lanternae
Images from inaturalist.org observations:
We recommend you sign up for this excellent, free service.
©Barış Çerçi, some rights reserved (CC-BY-NC)
©Barış Çerçi, some rights reserved (CC-BY-NC)
©Barış Çerçi, some rights reserved (CC-BY-NC)
Parent Taxon
Tropistethus
Sibling Taxa
Tropistethus fasciatus
Tropistethus holosericus
Tropistethus lanternae
Tropistethus majusculus
Tropistethus multilobatus
Tropistethus nitidicollis
Tropistethus pallipes
Tropistethus seminitens
Tropistethus subfasciatus
Top Observation Places
Share
Tweet
Back to Top
Biosurveys - Crowd Sourced Local Biogeography Login