Tuicoris lipurus: taxon details and analytics

Domain
Kingdom
Animalia
Phylum
Arthropoda
Class
Insecta
Order
Hemiptera
Family
Miridae
Genus
Tuicoris
Species
Tuicoris lipurus
Scientific Name
Tuicoris lipurus

Summary description from Wikipedia:

Tuicoris lipurus

Tuicoris lipurus är en insektsart som beskrevs av Alan C. Eyles 2001. Tuicoris lipurus ingår i släktet Tuicoris och familjen ängsskinnbaggar. Inga underarter finns listade i Catalogue of Life.

...
 

Images from inaturalist.org observations:

We recommend you sign up for this excellent, free service.

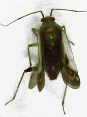
Tuicoris lipurus
©Stephen Thorpe, some rights reserved (CC-BY)
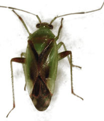
Tuicoris lipurus
©Stephen Thorpe, some rights reserved (CC-BY)
Tuicoris lipurus
©Stephen Thorpe, some rights reserved (CC-BY)
Tuicoris lipurus
©Stephen Thorpe, some rights reserved (CC-BY)
Tuicoris lipurus
©Stephen Thorpe, some rights reserved (CC-BY)
Tuicoris lipurus
©Stephen Thorpe, some rights reserved (CC-BY-NC)
Tuicoris lipurus
©Stephen Thorpe, some rights reserved (CC-BY-NC)
Tuicoris lipurus
©Stephen Thorpe, some rights reserved (CC-BY-NC)
Tuicoris lipurus
©Stephen Thorpe, some rights reserved (CC-BY-NC)
Tuicoris lipurus
©Stephen Thorpe, some rights reserved (CC-BY-NC)
Tuicoris lipurus
©Stephen Thorpe, some rights reserved (CC-BY-NC)
Tuicoris lipurus
©Stephen Thorpe, some rights reserved (CC-BY-NC)
Tuicoris lipurus
©Stephen Thorpe, some rights reserved (CC-BY-NC)
Tuicoris lipurus
©Stephen Thorpe, some rights reserved (CC-BY-NC)
Tuicoris lipurus
©Stephen Thorpe, some rights reserved (CC-BY-NC)
Tuicoris lipurus
©Stephen Thorpe, some rights reserved (CC-BY-NC)
Tuicoris lipurus
©Stephen Thorpe, some rights reserved (CC-BY-NC)
Tuicoris lipurus
©Stephen Thorpe, some rights reserved (CC-BY-NC)
Tuicoris lipurus
©Stephen Thorpe, some rights reserved (CC-BY-NC)
Tuicoris lipurus
©Stephen Thorpe, some rights reserved (CC-BY-NC)
Tuicoris lipurus
©Stephen Thorpe, some rights reserved (CC-BY-NC)
Tuicoris lipurus
©Stephen Thorpe, some rights reserved (CC-BY-NC)
Tuicoris lipurus
©Stephen Thorpe, some rights reserved (CC-BY-NC)
Tuicoris lipurus
©Stephen Thorpe, some rights reserved (CC-BY-NC)
Tuicoris lipurus
©Stephen Thorpe, some rights reserved (CC-BY-NC)
Tuicoris lipurus
©Stephen Thorpe, some rights reserved (CC-BY-NC)
Tuicoris lipurus
©Stephen Thorpe, some rights reserved (CC-BY-NC)
Tuicoris lipurus
©Stephen Thorpe, some rights reserved (CC-BY-NC)
Tuicoris lipurus
©Stephen Thorpe, some rights reserved (CC-BY-NC)
Tuicoris lipurus
©Stephen Thorpe, some rights reserved (CC-BY-NC)
Tuicoris lipurus
©Stephen Thorpe, some rights reserved (CC-BY-NC)
Tuicoris lipurus
©Stephen Thorpe, some rights reserved (CC-BY-NC)
Tuicoris lipurus
©Stephen Thorpe, some rights reserved (CC-BY-NC)
Tuicoris lipurus
©Stephen Thorpe, some rights reserved (CC-BY-NC)
Tuicoris lipurus
©Stephen Thorpe, some rights reserved (CC-BY-NC)
Tuicoris lipurus
©Stephen Thorpe, some rights reserved (CC-BY-NC)
Tuicoris lipurus
©Stephen Thorpe, some rights reserved (CC-BY-NC)
Tuicoris lipurus
©Stephen Thorpe, some rights reserved (CC-BY-NC)
Tuicoris lipurus
©Stephen Thorpe, some rights reserved (CC-BY-NC)
Tuicoris lipurus
©Stephen Thorpe, some rights reserved (CC-BY-NC)
Tuicoris lipurus
©Stephen Thorpe, some rights reserved (CC-BY)
Tuicoris lipurus
©Stephen Thorpe, some rights reserved (CC-BY)
Tuicoris lipurus
©Stephen Thorpe, some rights reserved (CC-BY)
Tuicoris lipurus
©Stephen Thorpe, some rights reserved (CC-BY)
Tuicoris lipurus
©Stephen Thorpe, some rights reserved (CC-BY)
Tuicoris lipurus
©Zoe Quested, some rights reserved (CC0)
Tuicoris lipurus
©Zoe Quested, some rights reserved (CC0)
Tuicoris lipurus
©Neil Birrell, some rights reserved (CC-BY)
Tuicoris lipurus
©Neil Birrell, some rights reserved (CC-BY)
Tuicoris lipurus
©Neil Birrell, some rights reserved (CC-BY)
Tuicoris lipurus
©Grey Smith, some rights reserved (CC-BY-NC)
Tuicoris lipurus
©Grey Smith, some rights reserved (CC-BY-NC)
Tuicoris lipurus
©Grey Smith, some rights reserved (CC-BY-NC)
Tuicoris lipurus
©Grey Smith, some rights reserved (CC-BY-NC)
Tuicoris lipurus
©Grey Smith, some rights reserved (CC-BY-NC)
Tuicoris lipurus
©Jon Sullivan, some rights reserved (CC-BY)
Tuicoris lipurus
©Maurice, some rights reserved (CC-BY-NC)
Tuicoris lipurus
©Maurice, some rights reserved (CC-BY-NC)
Tuicoris lipurus
©Stephen Thorpe, some rights reserved (CC-BY-NC)
Tuicoris lipurus
©Stephen Thorpe, some rights reserved (CC-BY-NC)
Tuicoris lipurus
©Stephen Thorpe, some rights reserved (CC-BY-NC)
Tuicoris lipurus
©Stephen Thorpe, some rights reserved (CC-BY-NC)
Tuicoris lipurus
©Stephen Thorpe, some rights reserved (CC-BY-NC)
Tuicoris lipurus
©Stephen Thorpe, some rights reserved (CC-BY-NC)
Tuicoris lipurus
©Stephen Thorpe, some rights reserved (CC-BY-NC)
Tuicoris lipurus
©Stephen Thorpe, some rights reserved (CC-BY-NC)
Tuicoris lipurus
©Stephen Thorpe, some rights reserved (CC-BY-NC)
Tuicoris lipurus
©Stephen Thorpe, some rights reserved (CC-BY-NC)
Tuicoris lipurus
©Stephen Thorpe, some rights reserved (CC-BY-NC)
Tuicoris lipurus
©Stephen Thorpe, some rights reserved (CC-BY-NC)
Tuicoris lipurus
©Stephen Thorpe, some rights reserved (CC-BY-NC)
Tuicoris lipurus
©Stephen Thorpe, some rights reserved (CC-BY-NC)
Tuicoris lipurus
©Stephen Thorpe, some rights reserved (CC-BY-NC)
Tuicoris lipurus
©Stephen Thorpe, some rights reserved (CC-BY-NC)
Tuicoris lipurus
©Stephen Thorpe, some rights reserved (CC-BY-NC)
Tuicoris lipurus
©Stephen Thorpe, some rights reserved (CC-BY-NC)
Tuicoris lipurus
©Stephen Thorpe, some rights reserved (CC-BY-NC)
Tuicoris lipurus
©Stephen Thorpe, some rights reserved (CC-BY-NC)
Tuicoris lipurus
©Stephen Thorpe, some rights reserved (CC-BY-NC)
Tuicoris lipurus
©Stephen Thorpe, some rights reserved (CC-BY-NC)
Tuicoris lipurus
©Stephen Thorpe, some rights reserved (CC-BY-NC)
Tuicoris lipurus
©Stephen Thorpe, some rights reserved (CC-BY-NC)
Tuicoris lipurus
©Stephen Thorpe, some rights reserved (CC-BY-NC)
Tuicoris lipurus
©Stephen Thorpe, some rights reserved (CC-BY-NC)
Tuicoris lipurus
©Stephen Thorpe, some rights reserved (CC-BY-NC)
Tuicoris lipurus
©Stephen Thorpe, some rights reserved (CC-BY-NC)

Parent Taxon

Top Observation Places