Tylonotus bimaculatus: taxon details and analytics

Domain
Kingdom
Animalia
Phylum
Arthropoda
Class
Insecta
Order
Coleoptera
Family
Cerambycidae
Genus
Tylonotus
Species
Tylonotus bimaculatus
Scientific Name
Tylonotus bimaculatus

Summary description from Wikipedia:

Tylonotus bimaculatus

Tylonotus bimaculatus is a species of beetle in the family Cerambycidae. It was described by Haldeman in 1847.

...
 

Tylonotus bimaculatus in languages:

English
Ash and Privet Borer
French
Perceur bimaculé du frêne

Images from inaturalist.org observations:

We recommend you sign up for this excellent, free service.

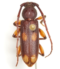
Tylonotus bimaculatus
©Candy Gonzalez, some rights reserved (CC-BY-NC)
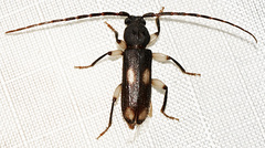
Tylonotus bimaculatus
©Candy Gonzalez, some rights reserved (CC-BY-NC)
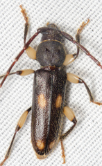
Tylonotus bimaculatus
©Danny, some rights reserved (CC-BY-NC)
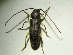
Tylonotus bimaculatus
©Danny, some rights reserved (CC-BY-NC)
Tylonotus bimaculatus
©Danny, some rights reserved (CC-BY-NC)
Tylonotus bimaculatus
©Mike Quinn, Austin, TX, some rights reserved (CC-BY-NC)
Tylonotus bimaculatus
©Danny, some rights reserved (CC-BY-NC)
Tylonotus bimaculatus
©Earl Agpawa, some rights reserved (CC0)
Tylonotus bimaculatus
©Earl Agpawa, some rights reserved (CC0)
Tylonotus bimaculatus
©Patrick Belardo, some rights reserved (CC-BY-NC)
Tylonotus bimaculatus
©Donovan Moxley, some rights reserved (CC-BY-NC)
Tylonotus bimaculatus
©Donovan Moxley, some rights reserved (CC-BY-NC)
Tylonotus bimaculatus
©Teá Montagna, some rights reserved (CC-BY-NC-ND)
Tylonotus bimaculatus
©Steve King, some rights reserved (CC-BY-NC)
Tylonotus bimaculatus
©mariadelmarosorio_9a, some rights reserved (CC-BY-NC)
Tylonotus bimaculatus
©Nick Bédard, some rights reserved (CC0)
Tylonotus bimaculatus
©Donovan Moxley, some rights reserved (CC-BY-NC)
Tylonotus bimaculatus
©Donovan Moxley, some rights reserved (CC-BY-NC)
Tylonotus bimaculatus
©Donovan Moxley, some rights reserved (CC-BY-NC)
Tylonotus bimaculatus
©Donovan Moxley, some rights reserved (CC-BY-NC)
Tylonotus bimaculatus
©Angus Mossman, some rights reserved (CC-BY-NC)
Tylonotus bimaculatus
©Angus Mossman, some rights reserved (CC-BY-NC)
Tylonotus bimaculatus
©Angus Mossman, some rights reserved (CC-BY-NC)
Tylonotus bimaculatus
©Angus Mossman, some rights reserved (CC-BY-NC)
Tylonotus bimaculatus
©Royal Tyler, some rights reserved (CC-BY-NC-SA)
Tylonotus bimaculatus
©Royal Tyler, some rights reserved (CC-BY-NC-SA)
Tylonotus bimaculatus
©Royal Tyler, some rights reserved (CC-BY-NC-SA)
Tylonotus bimaculatus
©Royal Tyler, some rights reserved (CC-BY-NC-SA)
Tylonotus bimaculatus
©Royal Tyler, some rights reserved (CC-BY-NC-SA)
Tylonotus bimaculatus
©Royal Tyler, some rights reserved (CC-BY-NC-SA)
Tylonotus bimaculatus
©David Yeany, some rights reserved (CC-BY-NC)
Tylonotus bimaculatus
©Marvin Smith, some rights reserved (CC-BY-NC)
Tylonotus bimaculatus
©Nick Block, some rights reserved (CC-BY)
Tylonotus bimaculatus
©Annika Lindqvist, some rights reserved (CC-BY)
Tylonotus bimaculatus
©droberts49, some rights reserved (CC-BY-NC)
Tylonotus bimaculatus
©Maya, some rights reserved (CC-BY-NC)
Tylonotus bimaculatus
©psweet, some rights reserved (CC-BY-SA)
Tylonotus bimaculatus
©Mike Farley, some rights reserved (CC-BY-NC)
Tylonotus bimaculatus
©Annika Lindqvist, some rights reserved (CC-BY)
Tylonotus bimaculatus
©Annika Lindqvist, some rights reserved (CC-BY)
Tylonotus bimaculatus
©Carolyn Gritzmaker, some rights reserved (CC-BY-NC)
Tylonotus bimaculatus
©psweet, some rights reserved (CC-BY-SA)
Tylonotus bimaculatus
©psweet, some rights reserved (CC-BY-SA)
Tylonotus bimaculatus
©Nick Block, some rights reserved (CC-BY)
Tylonotus bimaculatus
©Mark Rosenstein, some rights reserved (CC-BY-NC-SA)
Tylonotus bimaculatus
©Annika Lindqvist, some rights reserved (CC-BY)
Tylonotus bimaculatus
©Annika Lindqvist, some rights reserved (CC-BY)
Tylonotus bimaculatus
©Mike V.A. Burrell, some rights reserved (CC-BY-NC)
Tylonotus bimaculatus
©Annika Lindqvist, some rights reserved (CC-BY)
Tylonotus bimaculatus
©Cullen Hanks, some rights reserved (CC-BY-NC)
Tylonotus bimaculatus
©Cullen Hanks, some rights reserved (CC-BY-NC)
Tylonotus bimaculatus
©Adrián Lozano, some rights reserved (CC-BY-NC-SA)
Tylonotus bimaculatus
©Adrián Lozano, some rights reserved (CC-BY-NC-SA)
Tylonotus bimaculatus
©Adrián Lozano, some rights reserved (CC-BY-NC-SA)
Tylonotus bimaculatus
©biancajbanda, some rights reserved (CC-BY-NC)
Tylonotus bimaculatus
©biancajbanda, some rights reserved (CC-BY-NC)
Tylonotus bimaculatus
©Eric Carpenter, some rights reserved (CC-BY-NC)
Tylonotus bimaculatus
©Stosh Morency, some rights reserved (CC-BY)
Tylonotus bimaculatus
©Stosh Morency, some rights reserved (CC-BY)
Tylonotus bimaculatus
©Stosh Morency, some rights reserved (CC-BY)
Tylonotus bimaculatus
©Stosh Morency, some rights reserved (CC-BY)
Tylonotus bimaculatus
©Meghan Cassidy, some rights reserved (CC-BY-SA)
Tylonotus bimaculatus
©Meghan Cassidy, some rights reserved (CC-BY-SA)
Tylonotus bimaculatus
©Meghan Cassidy, some rights reserved (CC-BY-SA)
Tylonotus bimaculatus
©Meghan Cassidy, some rights reserved (CC-BY-SA)
Tylonotus bimaculatus
©Carlos G Velazco-Macias, some rights reserved (CC-BY-NC)
Tylonotus bimaculatus
©Carlos G Velazco-Macias, some rights reserved (CC-BY-NC)
Tylonotus bimaculatus
©Carlos G Velazco-Macias, some rights reserved (CC-BY-NC)
Tylonotus bimaculatus
©Carlos G Velazco-Macias, some rights reserved (CC-BY-NC)
Tylonotus bimaculatus
©K Ag, some rights reserved (CC-BY-NC)
Tylonotus bimaculatus
©Sara Rall, some rights reserved (CC-BY-NC)
Tylonotus bimaculatus
©Zoology123, some rights reserved (CC-BY-NC)
Tylonotus bimaculatus
©Zoology123, some rights reserved (CC-BY-NC)
Tylonotus bimaculatus
©Victor W Fazio III, some rights reserved (CC-BY-NC)
Tylonotus bimaculatus
©Victor W Fazio III, some rights reserved (CC-BY-NC)
Tylonotus bimaculatus
©Frank Izaguirre, some rights reserved (CC-BY-NC)
Tylonotus bimaculatus
©Joseph Marks, some rights reserved (CC-BY-NC)
Tylonotus bimaculatus
©Isabel, some rights reserved (CC-BY-NC)
Tylonotus bimaculatus
©Annika Lindqvist, some rights reserved (CC-BY)
Tylonotus bimaculatus
©Annika Lindqvist, some rights reserved (CC-BY)
Tylonotus bimaculatus
©Steve Pelikan, some rights reserved (CC-BY-NC)
Tylonotus bimaculatus
©psweet, some rights reserved (CC-BY-SA)
Tylonotus bimaculatus
©jonathan_mack, some rights reserved (CC-BY-NC)
Tylonotus bimaculatus
©Kai Joaquin, some rights reserved (CC-BY-NC)
Tylonotus bimaculatus
©Kyhl Austin, some rights reserved (CC-BY-NC)
Tylonotus bimaculatus
©darlingtonpp, some rights reserved (CC-BY-NC)
Tylonotus bimaculatus
©darlingtonpp, some rights reserved (CC-BY-NC)
Tylonotus bimaculatus
©Jeremy Collison, some rights reserved (CC-BY-NC)
Tylonotus bimaculatus
©Bert Harris, some rights reserved (CC-BY-NC)
Tylonotus bimaculatus
©Ben Meredyk, some rights reserved (CC-BY)
Tylonotus bimaculatus
©Keely Dunham, some rights reserved (CC-BY-NC)
Tylonotus bimaculatus
©Bert Harris, some rights reserved (CC-BY-NC)
Tylonotus bimaculatus
©ksandsman, some rights reserved (CC-BY)
Tylonotus bimaculatus
©Josh Vandermeulen, some rights reserved (CC-BY-NC-ND)
Tylonotus bimaculatus
©Sam Kieschnick, some rights reserved (CC-BY)
Tylonotus bimaculatus
©Rob, some rights reserved (CC-BY-NC)
Tylonotus bimaculatus
©Rob, some rights reserved (CC-BY-NC)
Tylonotus bimaculatus
©Joseph M. Guthrie, some rights reserved (CC-BY-NC)
Tylonotus bimaculatus
©Joseph M. Guthrie, some rights reserved (CC-BY-NC)
Tylonotus bimaculatus
©Sam Kieschnick, some rights reserved (CC-BY)
Tylonotus bimaculatus
©Jeff Skrentny, some rights reserved (CC-BY-NC)
Tylonotus bimaculatus
©Roger Rittmaster, some rights reserved (CC-BY-NC)
Tylonotus bimaculatus
©Candice, some rights reserved (CC-BY-NC)
Tylonotus bimaculatus
©Jeff Skrentny, some rights reserved (CC-BY-NC)
Tylonotus bimaculatus
©Jeff Skrentny, some rights reserved (CC-BY-NC)
Tylonotus bimaculatus
©Charles Brown, some rights reserved (CC-BY-NC)
Tylonotus bimaculatus
©psweet, some rights reserved (CC-BY-SA)
Tylonotus bimaculatus
©psweet, some rights reserved (CC-BY-SA)
Tylonotus bimaculatus
©psweet, some rights reserved (CC-BY-SA)
Tylonotus bimaculatus
©Derek Ziomber, some rights reserved (CC-BY-NC-SA)
Tylonotus bimaculatus
©Charles Brown, some rights reserved (CC-BY-NC)
Tylonotus bimaculatus
©Charles Brown, some rights reserved (CC-BY-NC)
Tylonotus bimaculatus
©Ann Gordon, some rights reserved (CC-BY-NC)
Tylonotus bimaculatus
©Robert Webster, some rights reserved (CC-BY-SA)
Tylonotus bimaculatus
©Robert Webster, some rights reserved (CC-BY-SA)
Tylonotus bimaculatus
©Robert Webster, some rights reserved (CC-BY-SA)
Tylonotus bimaculatus
©Jon McIntyre, some rights reserved (CC-BY-NC)
Tylonotus bimaculatus
©Chuck Sexton, some rights reserved (CC-BY-NC)
Tylonotus bimaculatus
©Chuck Sexton, some rights reserved (CC-BY-NC)
Tylonotus bimaculatus
©Chuck Sexton, some rights reserved (CC-BY-NC)
Tylonotus bimaculatus
©Chuck Sexton, some rights reserved (CC-BY-NC)
Tylonotus bimaculatus
©Melissa Duron, some rights reserved (CC-BY-NC)
Tylonotus bimaculatus
©Melissa Duron, some rights reserved (CC-BY-NC)
Tylonotus bimaculatus
©Melissa Duron, some rights reserved (CC-BY-NC)
Tylonotus bimaculatus
©Robert Webster, some rights reserved (CC-BY-SA)
Tylonotus bimaculatus
©ekarlogist, some rights reserved (CC-BY-NC)
Tylonotus bimaculatus
©Jesse, some rights reserved (CC-BY-NC)
Tylonotus bimaculatus
©radinis, some rights reserved (CC-BY-NC)
Tylonotus bimaculatus
©Nathan Peters, some rights reserved (CC-BY-NC)
Tylonotus bimaculatus
©Nathan Peters, some rights reserved (CC-BY-NC)
Tylonotus bimaculatus
©Monica Krancevic, some rights reserved (CC-BY-NC)
Tylonotus bimaculatus
©Robert Webster, some rights reserved (CC-BY-SA)
Tylonotus bimaculatus
©Robert Webster, some rights reserved (CC-BY-SA)
Tylonotus bimaculatus
©Robert Webster, some rights reserved (CC-BY-SA)
Tylonotus bimaculatus
©Robert Webster, some rights reserved (CC-BY-SA)
Tylonotus bimaculatus
©Jesse, some rights reserved (CC-BY-NC)
Tylonotus bimaculatus
©Steve King, some rights reserved (CC-BY-NC)
Tylonotus bimaculatus
©benfrankclegg, some rights reserved (CC-BY-NC)
Tylonotus bimaculatus
©Zoology123, some rights reserved (CC-BY-NC)
Tylonotus bimaculatus
©barbaragiguere, some rights reserved (CC-BY-NC)
Tylonotus bimaculatus
©Jared Gorrell, some rights reserved (CC-BY-NC)
Tylonotus bimaculatus
©Paul Bedell, some rights reserved (CC-BY-SA)
Tylonotus bimaculatus
©Jason J. Dombroskie, some rights reserved (CC-BY-NC)
Tylonotus bimaculatus
©Jesse C., some rights reserved (CC-BY-NC)
Tylonotus bimaculatus
©Danny, some rights reserved (CC-BY-NC)
Tylonotus bimaculatus
©Danny, some rights reserved (CC-BY-NC)
Tylonotus bimaculatus
©nathanwise, some rights reserved (CC-BY-NC)
Tylonotus bimaculatus
©nathanwise, some rights reserved (CC-BY-NC)
Tylonotus bimaculatus
©Matt Parr, some rights reserved (CC-BY-NC)
Tylonotus bimaculatus
©Steve King, some rights reserved (CC-BY-NC)
Tylonotus bimaculatus
©Ray Simpson, some rights reserved (CC-BY-NC)
Tylonotus bimaculatus
©smuller, some rights reserved (CC-BY-NC)
Tylonotus bimaculatus
©danwise, some rights reserved (CC-BY-NC)
Tylonotus bimaculatus
©danwise, some rights reserved (CC-BY-NC)
Tylonotus bimaculatus
©allenwoodliffe, some rights reserved (CC-BY-NC)
Tylonotus bimaculatus
©Steve King, some rights reserved (CC-BY-NC)
Tylonotus bimaculatus
©Steve King, some rights reserved (CC-BY-NC)
Tylonotus bimaculatus
©Danny, some rights reserved (CC-BY-NC)
Tylonotus bimaculatus
©privatenoaccess, some rights reserved (CC-BY-NC)
Tylonotus bimaculatus
©Lee Thomas, some rights reserved (CC-BY-NC)

Parent Taxon

Top Observation Places