Xanthochroina: taxon details and analytics
- Domain
- Kingdom
- Animalia
- Phylum
- Arthropoda
- Class
- Insecta
- Order
- Coleoptera
- Family
- Oedemeridae
- Genus
- Xanthochroina
- Species
- Scientific Name
- Xanthochroina
Summary description from Wikipedia:
Xanthochroina
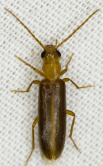
Xanthochroina is a genus of false blister beetles in the family Oedemeridae. There are at least three described species in Xanthochroina.
...Images from inaturalist.org observations:
We recommend you sign up for this excellent, free service.
Parent Taxon
Sibling Taxa
- Afrochitona
- Alloxantha
- Anacerdochroa
- Ananca
- Anisomallus
- Apterosessinia
- Asclerosibutia
- Baculipalpus
- Chitona
- Colobostomoides
- Copidita
- Danerces
- Diplectroides
- Diplectrus
- Ditylomorphula
- Ditylomorphus
- Dohrnia
- Eobia
- Eumecomera
- Heliocis
- Hypasclera
- Indasclera
- Ischnomera
- Koniaphassa
- Mecopselaphus
- Melananthia
- Melananthoides
- Microsessinia
- Nacatrorus
- Nacerdochroa
- Oxacis
- Oxycopis
- Parisopalpus
- Paroxacis
- Platylytra
- Probosca
- Pseudohyperasclera
- Pseudolycus
- Rhinoplatia
- Selenopalpus
- Sessinia
- Sisenecantharis
- Sisenes
- Thelyphassa
- Xanthochroina





