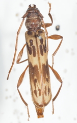
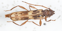
Xystrocera skeletoides: taxon details and analytics
- Domain
- Kingdom
- Animalia
- Phylum
- Arthropoda
- Class
- Insecta
- Order
- Coleoptera
- Family
- Cerambycidae
- Genus
- Xystrocera
- Species
- Xystrocera skeletoides
- Scientific Name
- Xystrocera skeletoides
Parent Taxon
Sibling Taxa
- Xystrocera abrupta
- Xystrocera ansorgei
- Xystrocera apiculata
- Xystrocera asperata
- Xystrocera australasiae
- Xystrocera bomfordi
- Xystrocera brunnea
- Xystrocera chalybeata
- Xystrocera cyanicollis
- Xystrocera devittata
- Xystrocera dispar
- Xystrocera erosa
- Xystrocera femorata
- Xystrocera ferreirae
- Xystrocera festiva
- Xystrocera globosa
- Xystrocera laeta
- Xystrocera natalensis
- Xystrocera nigrita
- Xystrocera rhodesiana
- Xystrocera ruficornis
- Xystrocera skeletoides
- Xystrocera velutina
- Xystrocera vicina
- Xystrocera virescens
- Xystrocera vittata

