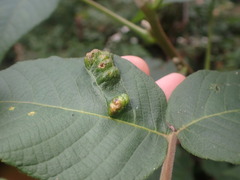
Aceria cinereae: taxon details and analytics
- Domain
- Kingdom
- Animalia
- Phylum
- Arthropoda
- Class
- Arachnida
- Order
- Endeostigmata
- Family
- Eriophyidae
- Genus
- Aceria
- Species
- Aceria cinereae
- Scientific Name
- Aceria cinereae
Aceria cinereae in languages:
- English
- butternut erineum mite
Images from inaturalist.org observations:
We recommend you sign up for this excellent, free service.
Parent Taxon
Sibling Taxa
- Aceria abalis
- Aceria absinthii
- Aceria acerismonspessulani
- Aceria acris
- Aceria aechmaspus
- Aceria albidae
- Aceria alniviridis
- Aceria aloinis
- Aceria alpestris
- Aceria ambrosiae
- Aceria ambrosioides
- Aceria amnicolus
- Aceria amosi
- Aceria anceps
- Aceria anisoti
- Aceria annonae
- Aceria anthonoma
- Aceria antonima
- Aceria argentae
- Aceria artemisiae
- Aceria artemisiifoliae
- Aceria baccharices
- Aceria baccharipha
- Aceria barbertoni
- Aceria barbujanae
- Aceria barroisi
- Aceria belarexi
- Aceria bipedis
- Aceria boisi
- Aceria bosforus
- Aceria boycei
- Aceria brachytarsa
- Aceria breakeyi
- Aceria brevipes
- Aceria calaceris
- Aceria caliberberis
- Aceria calidensis
- Aceria calystegiae
- Aceria camdeboo
- Aceria campestricola
- Aceria capreae
- Aceria capreifoliae
- Aceria cardaminis
- Aceria carinifex
- Aceria carmichaeliae
- Aceria caryae
- Aceria caulis
- Aceria caulleryi
- Aceria caulobia
- Aceria ceanothi
- Aceria celtis
- Aceria centaureae
- Aceria cephalanthi
- Aceria cephalonea
- Aceria cernua
- Aceria cerrea
- Aceria chiridensis
- Aceria chondrillae
- Aceria chrysophylli
- Aceria ciansensis
- Aceria cichorii
- Aceria cinereae
- Aceria clianthi
- Aceria clutiae
- Aceria combreti
- Aceria convolvuli
- Aceria craspedophyes
- Aceria cretica
- Aceria cumanorum
- Aceria cuscutae
- Aceria cynodoniensis
- Aceria daigluni
- Aceria daleae
- Aceria davidmansoni
- Aceria depressae
- Aceria destructor
- Aceria diastolus
- Aceria dichrostachia
- Aceria dictynus
- Aceria dina
- Aceria diospyri
- Aceria dispar
- Aceria doctersi
- Aceria drabae
- Aceria echii
- Aceria elongata
- Aceria erinea
- Aceria erodii
- Aceria euaspis
- Aceria eucricotes
- Aceria exigua
- Aceria feijoae
- Aceria feketeistvani
- Aceria ficarius
- Aceria ficus
- Aceria flynni
- Aceria forskaoliae
- Aceria franseriae
- Aceria fraxini
- Aceria fraxinicola
- Aceria fraxiniflora
- Aceria fraxinivora
- Aceria galiobia
- Aceria genistae
- Aceria geranii
- Aceria gersoni
- Aceria giraffae
- Aceria gleicheniae
- Aceria granati
- Aceria grewiae
- Aceria guazumae
- Aceria gymnoprocta
- Aceria hagleyensis
- Aceria halesiana
- Aceria hastatum
- Aceria healyi
- Aceria heteronyx
- Aceria hexensis
- Aceria hibisci
- Aceria hippophaena
- Aceria hulli
- Aceria ilicis
- Aceria ingensi
- Aceria isoglossae
- Aceria italici
- Aceria iteina
- Aceria jaapi
- Aceria jourdani
- Aceria karrooi
- Aceria keetchi
- Aceria kiefferi
- Aceria korelli
- Aceria korykis
- Aceria kraftella
- Aceria kuko
- Aceria labiatiflorae
- Aceria lantanae
- Aceria laticincta
- Aceria leioprocta
- Aceria leptum
- Aceria linosyrina
- Aceria liopeltus
- Aceria litchii
- Aceria lycopersici
- Aceria mackiei
- Aceria macrochela
- Aceria macrocheluserinea
- Aceria macrorhyncha
- Aceria major
- Aceria malherbae
- Aceria mangiferae
- Aceria manukae
- Aceria marginemvolvens
- Aceria marshalli
- Aceria massalongoi
- Aceria mayae
- Aceria meconychus
- Aceria megacera
- Aceria melicopis
- Aceria melicyti
- Aceria merwei
- Aceria mesembryanae
- Aceria microcarpae
- Aceria microcis
- Aceria micropa
- Aceria microphyllae
- Aceria minuta
- Aceria modesta
- Aceria moehringiae
- Aceria monspessulani
- Aceria mori
- Aceria morindae
- Aceria multistriata
- Aceria myriadeum
- Aceria myrtifoliae
- Aceria nalepai
- Aceria negundi
- Aceria nelensis
- Aceria neobeevori
- Aceria neocondaliae
- Aceria nervisequa
- Aceria neseri
- Aceria nyssae
- Aceria obiones
- Aceria ocellatum
- Aceria oleae
- Aceria ononidis
- Aceria onychia
- Aceria opulifolii
- Aceria oxalidis
- Aceria pallida
- Aceria paniculatae
- Aceria paracalifornica
- Aceria paraceltis
- Aceria paralus
- Aceria paramackiei
- Aceria parapopuli
- Aceria parulmi
- Aceria parvensis
- Aceria passerinae
- Aceria pentheriae
- Aceria perplexa
- Aceria peucedani
- Aceria picridis
- Aceria pimeliae
- Aceria pistaciae
- Aceria plagianthi
- Aceria platanoidea
- Aceria pobuzii
- Aceria pongamiae
- Aceria populi
- Aceria potamius
- Aceria prima
- Aceria proteae
- Aceria pseudoplatani
- Aceria pyracanthi
- Aceria quercerina
- Aceria querci
- Aceria quercina
- Aceria raynaudeti
- Aceria rhusi
- Aceria rigidae
- Aceria rosalia
- Aceria rubifaciens
- Aceria rusti
- Aceria salicina
- Aceria salsolae
- Aceria salviae
- Aceria sanguisorbae
- Aceria scaber
- Aceria senegalensei
- Aceria sheldoni
- Aceria silvicola
- Aceria simonensis
- Aceria skukuzae
- Aceria smithmeyeri
- Aceria snetsingeri
- Aceria spartii
- Aceria spicati
- Aceria spinosciae
- Aceria squalida
- Aceria stefanii
- Aceria stenaspis
- Aceria strictae
- Aceria subtilis
- Aceria suri
- Aceria swezeyi
- Aceria tamaricis
- Aceria tenella
- Aceria tenuifolii
- Aceria tenuis
- Aceria terminaliphagus
- Aceria thalgi
- Aceria theospyri
- Aceria thomasi
- Aceria thonningi
- Aceria titirangiensis
- Aceria tournefortiae
- Aceria transvaalensis
- Aceria trichophila
- Aceria trifolii
- Aceria trinema
- Aceria triplacis
- Aceria tristriata
- Aceria tuberculata
- Aceria tulipae
- Aceria tumisetus
- Aceria ulmi
- Aceria vaga
- Aceria varia
- Aceria vermicularis
- Aceria victoriae
- Aceria virgatae
- Aceria virosae
- Aceria vitalbae
- Aceria zelkoviana
- Aceria zhejiangensis
- Aceria zoysima





























































































































































