Aceria myriadeum: taxon details and analytics
- Domain
- Kingdom
- Animalia
- Phylum
- Arthropoda
- Class
- Arachnida
- Order
- Endeostigmata
- Family
- Eriophyidae
- Genus
- Aceria
- Species
- Aceria myriadeum
- Scientific Name
- Aceria myriadeum
Summary description from Wikipedia:
Aceria myriadeum
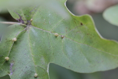
Aceria myriadeum est une espèce d'acariens de la famille des Eriophyidae et du genre Aceria. Elle est responsable de la formation de galles sur les feuilles d'Érable champêtre (Acer campestre).
...Aceria myriadeum in languages:
- Czech
- vlnovník Murrayův
- Czech
- vlnovník babykový
- Swedish
- naverlönnsknottror
Images from inaturalist.org observations:
We recommend you sign up for this excellent, free service.
Parent Taxon
Sibling Taxa
- Aceria abalis
- Aceria absinthii
- Aceria acerismonspessulani
- Aceria acris
- Aceria aechmaspus
- Aceria albidae
- Aceria alniviridis
- Aceria aloinis
- Aceria alpestris
- Aceria ambrosiae
- Aceria ambrosioides
- Aceria amnicolus
- Aceria amosi
- Aceria anceps
- Aceria anisoti
- Aceria annonae
- Aceria anthonoma
- Aceria antonima
- Aceria argentae
- Aceria artemisiae
- Aceria artemisiifoliae
- Aceria baccharices
- Aceria baccharipha
- Aceria barbertoni
- Aceria barbujanae
- Aceria barroisi
- Aceria belarexi
- Aceria bipedis
- Aceria boisi
- Aceria bosforus
- Aceria boycei
- Aceria brachytarsa
- Aceria breakeyi
- Aceria brevipes
- Aceria calaceris
- Aceria caliberberis
- Aceria calidensis
- Aceria calystegiae
- Aceria camdeboo
- Aceria campestricola
- Aceria capreae
- Aceria capreifoliae
- Aceria cardaminis
- Aceria carinifex
- Aceria carmichaeliae
- Aceria caryae
- Aceria caulis
- Aceria caulleryi
- Aceria caulobia
- Aceria ceanothi
- Aceria celtis
- Aceria centaureae
- Aceria cephalanthi
- Aceria cephalonea
- Aceria cernua
- Aceria cerrea
- Aceria chiridensis
- Aceria chondrillae
- Aceria chrysophylli
- Aceria ciansensis
- Aceria cichorii
- Aceria cinereae
- Aceria clianthi
- Aceria clutiae
- Aceria combreti
- Aceria convolvuli
- Aceria craspedophyes
- Aceria cretica
- Aceria cumanorum
- Aceria cuscutae
- Aceria cynodoniensis
- Aceria daigluni
- Aceria daleae
- Aceria davidmansoni
- Aceria depressae
- Aceria destructor
- Aceria diastolus
- Aceria dichrostachia
- Aceria dictynus
- Aceria dina
- Aceria diospyri
- Aceria dispar
- Aceria doctersi
- Aceria drabae
- Aceria echii
- Aceria elongata
- Aceria erinea
- Aceria erodii
- Aceria euaspis
- Aceria eucricotes
- Aceria exigua
- Aceria feijoae
- Aceria feketeistvani
- Aceria ficarius
- Aceria ficus
- Aceria flynni
- Aceria forskaoliae
- Aceria franseriae
- Aceria fraxini
- Aceria fraxinicola
- Aceria fraxiniflora
- Aceria fraxinivora
- Aceria galiobia
- Aceria genistae
- Aceria geranii
- Aceria gersoni
- Aceria giraffae
- Aceria gleicheniae
- Aceria granati
- Aceria grewiae
- Aceria guazumae
- Aceria gymnoprocta
- Aceria hagleyensis
- Aceria halesiana
- Aceria hastatum
- Aceria healyi
- Aceria heteronyx
- Aceria hexensis
- Aceria hibisci
- Aceria hippophaena
- Aceria hulli
- Aceria ilicis
- Aceria ingensi
- Aceria isoglossae
- Aceria italici
- Aceria iteina
- Aceria jaapi
- Aceria jourdani
- Aceria karrooi
- Aceria keetchi
- Aceria kiefferi
- Aceria korelli
- Aceria korykis
- Aceria kraftella
- Aceria kuko
- Aceria labiatiflorae
- Aceria lantanae
- Aceria laticincta
- Aceria leioprocta
- Aceria leptum
- Aceria linosyrina
- Aceria liopeltus
- Aceria litchii
- Aceria lycopersici
- Aceria mackiei
- Aceria macrochela
- Aceria macrocheluserinea
- Aceria macrorhyncha
- Aceria major
- Aceria malherbae
- Aceria mangiferae
- Aceria manukae
- Aceria marginemvolvens
- Aceria marshalli
- Aceria massalongoi
- Aceria mayae
- Aceria meconychus
- Aceria megacera
- Aceria melicopis
- Aceria melicyti
- Aceria merwei
- Aceria mesembryanae
- Aceria microcarpae
- Aceria microcis
- Aceria micropa
- Aceria microphyllae
- Aceria minuta
- Aceria modesta
- Aceria moehringiae
- Aceria monspessulani
- Aceria mori
- Aceria morindae
- Aceria multistriata
- Aceria myriadeum
- Aceria myrtifoliae
- Aceria nalepai
- Aceria negundi
- Aceria nelensis
- Aceria neobeevori
- Aceria neocondaliae
- Aceria nervisequa
- Aceria neseri
- Aceria nyssae
- Aceria obiones
- Aceria ocellatum
- Aceria oleae
- Aceria ononidis
- Aceria onychia
- Aceria opulifolii
- Aceria oxalidis
- Aceria pallida
- Aceria paniculatae
- Aceria paracalifornica
- Aceria paraceltis
- Aceria paralus
- Aceria paramackiei
- Aceria parapopuli
- Aceria parulmi
- Aceria parvensis
- Aceria passerinae
- Aceria pentheriae
- Aceria perplexa
- Aceria peucedani
- Aceria picridis
- Aceria pimeliae
- Aceria pistaciae
- Aceria plagianthi
- Aceria platanoidea
- Aceria pobuzii
- Aceria pongamiae
- Aceria populi
- Aceria potamius
- Aceria prima
- Aceria proteae
- Aceria pseudoplatani
- Aceria pyracanthi
- Aceria quercerina
- Aceria querci
- Aceria quercina
- Aceria raynaudeti
- Aceria rhusi
- Aceria rigidae
- Aceria rosalia
- Aceria rubifaciens
- Aceria rusti
- Aceria salicina
- Aceria salsolae
- Aceria salviae
- Aceria sanguisorbae
- Aceria scaber
- Aceria senegalensei
- Aceria sheldoni
- Aceria silvicola
- Aceria simonensis
- Aceria skukuzae
- Aceria smithmeyeri
- Aceria snetsingeri
- Aceria spartii
- Aceria spicati
- Aceria spinosciae
- Aceria squalida
- Aceria stefanii
- Aceria stenaspis
- Aceria strictae
- Aceria subtilis
- Aceria suri
- Aceria swezeyi
- Aceria tamaricis
- Aceria tenella
- Aceria tenuifolii
- Aceria tenuis
- Aceria terminaliphagus
- Aceria thalgi
- Aceria theospyri
- Aceria thomasi
- Aceria thonningi
- Aceria titirangiensis
- Aceria tournefortiae
- Aceria transvaalensis
- Aceria trichophila
- Aceria trifolii
- Aceria trinema
- Aceria triplacis
- Aceria tristriata
- Aceria tuberculata
- Aceria tulipae
- Aceria tumisetus
- Aceria ulmi
- Aceria vaga
- Aceria varia
- Aceria vermicularis
- Aceria victoriae
- Aceria virgatae
- Aceria virosae
- Aceria vitalbae
- Aceria zelkoviana
- Aceria zhejiangensis
- Aceria zoysima































































































































































