Andricus curvator: taxon details and analytics
- Domain
- Kingdom
- Animalia
- Phylum
- Arthropoda
- Class
- Insecta
- Order
- Hymenoptera
- Family
- Cynipidae
- Genus
- Andricus
- Species
- Andricus curvator
- Scientific Name
- Andricus curvator
Summary description from Wikipedia:
Andricus curvator in languages:
- Czech
- žlabatka svinutková
- Dutch
- Gordelgalwesp
- English
- Oak Curved-leaf Gall Wasp
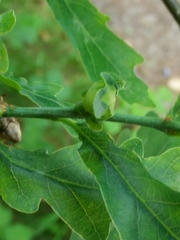
Images from inaturalist.org observations:
We recommend you sign up for this excellent, free service.
Parent Taxon
Sibling Taxa
- Andricus albicomus
- Andricus albobalani
- Andricus amblycerus
- Andricus amenti
- Andricus amphorus
- Andricus anthracina
- Andricus apiarium
- Andricus archboldi
- Andricus aries
- Andricus atrimentus
- Andricus aztecus
- Andricus bakkeri
- Andricus balanaspis
- Andricus balanella
- Andricus biconicus
- Andricus bonanseai
- Andricus bracteatus
- Andricus brunneus
- Andricus burnetti
- Andricus caepula
- Andricus caliciformis
- Andricus californicum
- Andricus callidoma
- Andricus capillatus
- Andricus caputmedusae
- Andricus catalinensis
- Andricus cecconii
- Andricus chapmanii
- Andricus chico
- Andricus chinquapin
- Andricus chiricahuensis
- Andricus chrysobalani
- Andricus chrysolepidicola
- Andricus cinnamomeus
- Andricus clarkei
- Andricus coconinoensis
- Andricus columbiensis
- Andricus comata
- Andricus confertus
- Andricus conglomeratus
- Andricus conificus
- Andricus cooki
- Andricus coortus
- Andricus coquilletti
- Andricus coriarius
- Andricus coronatus
- Andricus coronus
- Andricus corruptrix
- Andricus costatus
- Andricus crystallinus
- Andricus curtisii
- Andricus curvator
- Andricus cylindrata
- Andricus deciduatus
- Andricus dentimitratus
- Andricus dimorphus
- Andricus discalis
- Andricus discularis
- Andricus dugesi
- Andricus durangensis
- Andricus fimbrialis
- Andricus fitzpatricki
- Andricus foecundatrix
- Andricus foliaformis
- Andricus formosalis
- Andricus frondeum
- Andricus furnaceus
- Andricus galeatus
- Andricus gallaetinctoriae
- Andricus gallaeurnaeformis
- Andricus gemmeus
- Andricus geniale
- Andricus gigas
- Andricus glandulae
- Andricus glutinosus
- Andricus grossulariae
- Andricus guanajuatensis
- Andricus hakonensis
- Andricus hartigi
- Andricus highlandensis
- Andricus hispanicus
- Andricus howertoni
- Andricus hungaricus
- Andricus hystrix
- Andricus incertus
- Andricus indistinctus
- Andricus infectorius
- Andricus inflator
- Andricus insanus
- Andricus integrum
- Andricus kashiwaphilus
- Andricus kingi
- Andricus kollari
- Andricus korlevici
- Andricus lapiei
- Andricus legitimus
- Andricus lignicola
- Andricus longipennis
- Andricus lucidus
- Andricus lustrans
- Andricus lusum
- Andricus maculosus
- Andricus malpighi
- Andricus malpighii
- Andricus mamillaformis
- Andricus mammadovi
- Andricus marmoreus
- Andricus maxwelli
- Andricus mayri
- Andricus mellificus
- Andricus menkei
- Andricus mexicanus
- Andricus mitratus
- Andricus mogollonensis
- Andricus montezumus
- Andricus moreae
- Andricus mukaigawae
- Andricus multiplicatus
- Andricus murtfeldtae
- Andricus nichollsi
- Andricus nigricens
- Andricus nodifex
- Andricus noliquercicola
- Andricus notholithocarpi
- Andricus occultatus
- Andricus ocri
- Andricus opertus
- Andricus paradoxus
- Andricus parmula
- Andricus pattersonae
- Andricus pedicellatus
- Andricus peredurus
- Andricus perfectus
- Andricus perfulvum
- Andricus pictus
- Andricus pilula
- Andricus pilularis
- Andricus pisiformis
- Andricus polycerus
- Andricus prescotti
- Andricus projectus
- Andricus pseudocurvator
- Andricus pseudoinflator
- Andricus quadrilineatus
- Andricus quercusbatatoides
- Andricus quercuscalicis
- Andricus quercuscalifornicus
- Andricus quercuscorticis
- Andricus quercusfoliatus
- Andricus quercusformosus
- Andricus quercusfrondosus
- Andricus quercuslaurinus
- Andricus quercuspetiolicola
- Andricus quercusradicis
- Andricus quercusramuli
- Andricus quercusstrobilanus
- Andricus quercustozae
- Andricus quercusutriculus
- Andricus receptus
- Andricus repandae
- Andricus reticulata
- Andricus reticulatus
- Andricus rhizoxenus
- Andricus rhyzomae
- Andricus robustus
- Andricus rochai
- Andricus rotundula
- Andricus rugatus
- Andricus ruginosus
- Andricus ruidus
- Andricus schickae
- Andricus scutella
- Andricus seckendorffi
- Andricus seminationis
- Andricus setifer
- Andricus sieboldi
- Andricus solitarius
- Andricus spicatus
- Andricus splendens
- Andricus stefanii
- Andricus stellaris
- Andricus stellulus
- Andricus sternlichti
- Andricus stramineus
- Andricus stropus
- Andricus strues
- Andricus sulfureus
- Andricus superfetationis
- Andricus tecturnarum
- Andricus testaceipes
- Andricus texanus
- Andricus theophrasteus
- Andricus tibialis
- Andricus tomentosus
- Andricus torreyaensis
- Andricus tostus
- Andricus toumeyi
- Andricus trotteri
- Andricus truncicolus
- Andricus tubalis
- Andricus tubifaciens
- Andricus tubularius
- Andricus turcicus
- Andricus turnerii
- Andricus uterinus
- Andricus vacciniifoliae
- Andricus vacciniiformis
- Andricus validus
- Andricus verensis
- Andricus verutum
- Andricus verutus
- Andricus vitreus
- Andricus weldi
- Andricus wheeleri
- Andricus williami
- Andricus wiltzae































































































































































